en Prihlásenie | Registrácia | Zoznam prispievateľov

« Späť na výpis

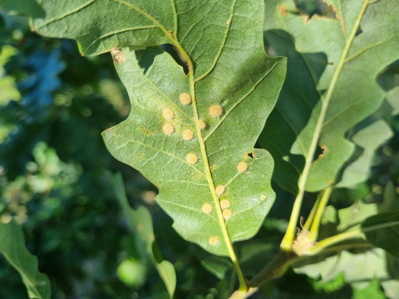
Hrčiarka Dryomyia circinans

Dryomyia circinans

Autor fotografie: milan

Uverejnené: 5.8.2025

Drevina: Dub

Vlastníkom tejto fotografie je užívateľ milan. Môžete si stiahnuť túto fotografiu v aktuálnej veľkosti (1900 x akt. výška px) a použiť ju na edukačné (prezentácie, prednášky a pod.) účely. Platí to len v tom prípade, ak uvediete pri fotografii autorstvo - napríklad takto: Foto: milan, Skodcoviadrevin.sk alebo podobne.
V prípade, že chcete fotografiu použiť na komerčné účely, alebo potrebujete vyššiu kvalitu fotografie, prosím spojte sa s užívateľom milan a dohodnite si podmienky použitia jeho fotografie.

Kontaktovať užívateľa milan

Počet hlasov: 0

Vybrané fotografie tohto druhu

Hrčiarka Dryomyia circinans Hrčiarka Dryomyia circinans Hrčiarka Dryomyia circinans Hrčiarka Dryomyia circinans Hrčiarka Dryomyia circinans Hrčiarka Dryomyia circinans Hrčiarka Dryomyia circinans Hrčiarka Dryomyia circinans Hrčiarka Dryomyia circinans Hrčiarka Dryomyia circinans Hrčiarka Dryomyia circinans Hrčiarka Dryomyia circinans Hrčiarka Dryomyia circinans Hrčiarka Dryomyia circinans Hrčiarka Dryomyia circinans Hrčiarka Dryomyia circinans Hrčiarka Dryomyia circinans Hrčiarka Dryomyia circinans Hrčiarka Dryomyia circinans Hrčiarka Dryomyia circinans Hrčiarka Dryomyia circinans Hrčiarka Dryomyia circinans Hrčiarka Dryomyia circinans Hrčiarka Dryomyia circinans

Všetky fotografie tohto druhu

Návrat hore