Hrčiarka Dryomyia circinans
Dryomyia circinans
Popis druhu
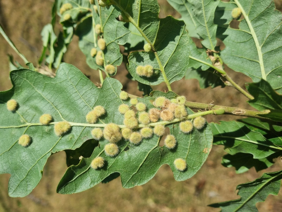
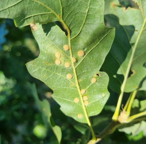
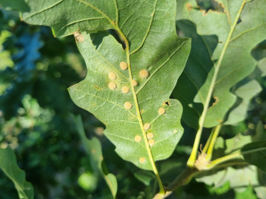
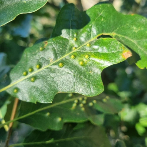
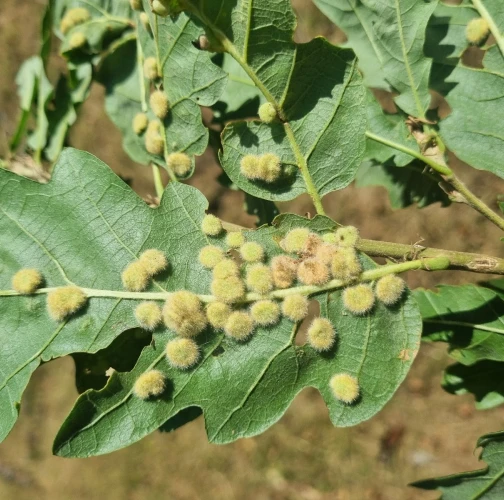
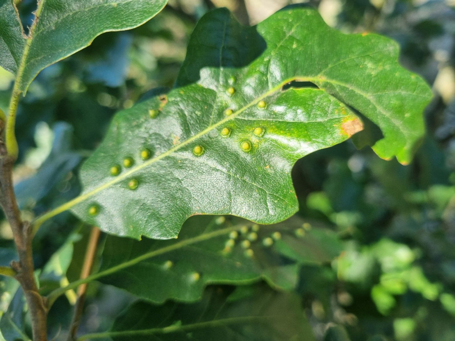
Tento druh vytvára na spodnej strane listov cera bohato ochlpené hálky, veľké v priemere 5 -7 mm. Z vrchnej strany listu je viditeľná malá zdurenina občas s otvorom uprostred. Táto muška býva veľmi hojná a na jednom liste sa môže vyskytovať aj 50 a viac hálok. Pri premnožení bývajú listy doslova obťažkané hálkami a vetvy sa môžu pod ich váhou lámať. Vo vnútri sa vyvíja malá larvička, ktorá sa v hálke aj kuklí. Na jar sa liahne a hálku opúšťa. Má v roku jednu generáciu. Hojnejší je na slnečných a teplých lokalitách.
Symptóm
Vytvára na spodnej strane listov bohato ochlpené hálky, veľké v priemere 5 -7 mm. Z vrchnej strany listu je viditeľná malá zdurenina občas s otvorom uprostred. Pri premnožení bývajú listy doslova obťažkané hálkami a vetvy sa môžu pod ich váhou lámať.
Ohrozené dreviny: Dub
Miesto poškodenia: List/ihlica
Významnosť: Málo významný
Kategória škodcov: Hmyz
Zistený na Slovensku: Áno
Invázny druh: Nie
Zistený v EÚ: Áno
Pridaj komentár: Hrčiarka Dryomyia circinans
Mapa výskytu: Hrčiarka Dryomyia circinans
náhľad mapy pre tlačLegenda:

Body verifikované expertom

Neverifikované body
Pozorovaný užívateľmi na týchto drevinách
Najviac pozorovaní druhu
Posledné pozorovania
V systéme je celkom 10 pozorovaní druhu Dryomyia circinans





