en Prihlásenie | Registrácia | Zoznam prispievateľov

« Späť na výpis

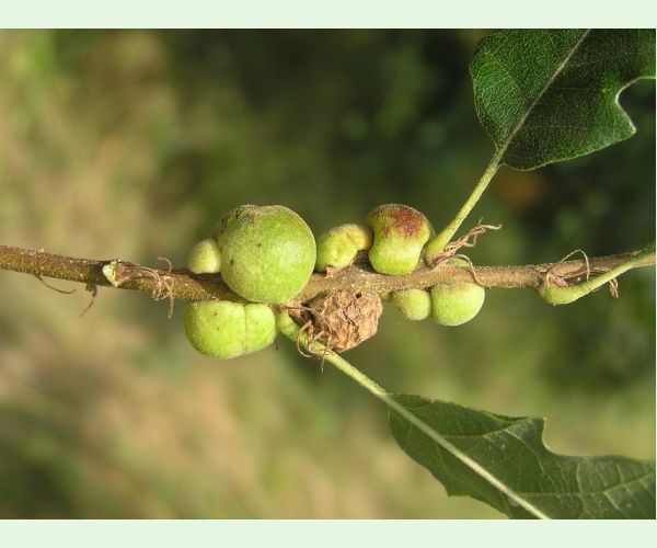
Hrčiarka Aphelonyx cerricola

Aphelonyx cerricola

Autor fotografie: majo

Uverejnené: 1.4.2023

Drevina: Dub

Vlastníkom tejto fotografie je užívateľ majo. Môžete si stiahnuť túto fotografiu v aktuálnej veľkosti (1900 x akt. výška px) a použiť ju na edukačné (prezentácie, prednášky a pod.) účely. Platí to len v tom prípade, ak uvediete pri fotografii autorstvo - napríklad takto: Foto: majo, Skodcoviadrevin.sk alebo podobne.
V prípade, že chcete fotografiu použiť na komerčné účely, alebo potrebujete vyššiu kvalitu fotografie, prosím spojte sa s užívateľom majo a dohodnite si podmienky použitia jeho fotografie.

Kontaktovať užívateľa majo

Počet hlasov: 0

Vybrané fotografie tohto druhu

Hrčiarka Aphelonyx cerricola Hrčiarka Aphelonyx cerricola Hrčiarka Aphelonyx cerricola Hrčiarka Aphelonyx cerricola Hrčiarka Aphelonyx cerricola Hrčiarka Aphelonyx cerricola Hrčiarka Aphelonyx cerricola Hrčiarka Aphelonyx cerricola Hrčiarka Aphelonyx cerricola Hrčiarka Aphelonyx cerricola Hrčiarka Aphelonyx cerricola Hrčiarka Aphelonyx cerricola Hrčiarka Aphelonyx cerricola Hrčiarka Aphelonyx cerricola Hrčiarka Aphelonyx cerricola Hrčiarka Aphelonyx cerricola Hrčiarka Aphelonyx cerricola Hrčiarka Aphelonyx cerricola

Všetky fotografie tohto druhu

Návrat hore