Hrčiarka Aphelonyx cerricola
Aphelonyx cerricola
Popis druhu
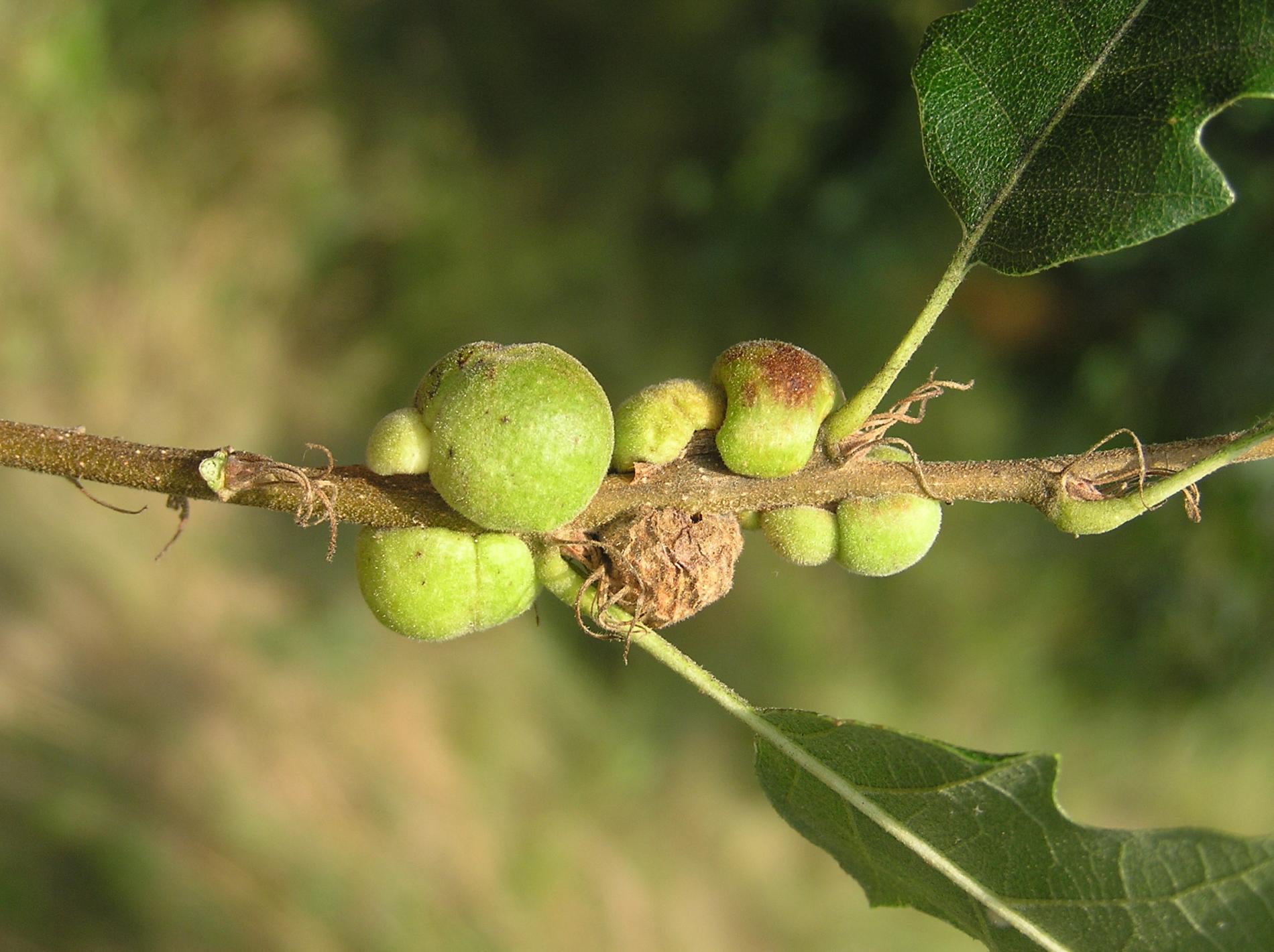
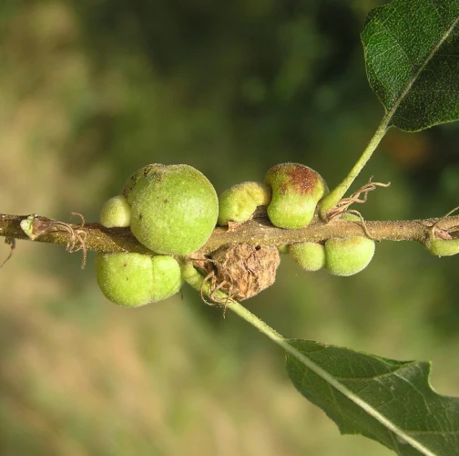
Hálky sa vyskytujú v skupinách na vetvičkách duba cerového. Sú veľké asi 10 – 30 mm, spočiatku zelené, neskôr hnedé, vráskavé. Vetvičku často obopínajú zo všetkých strán. Druh je v poslednom období stále hojnejší. Rozširuje sa z juhu na sever v súvislosti so zmenami klímy a bol zaznamenaný až aj v Anglicku.
Symptóm
Hálky sú veľké asi 10 – 30 mm, spočiatku zelené, neskôr hnedé, vráskavé, vyskytujú sa na vetvičkách.
Ohrozené dreviny: Dub
Miesto poškodenia: Vetva
Významnosť: Málo významný
Kategória škodcov: Hmyz
Zistený na Slovensku: Áno
Invázny druh: Nie
Zistený v EÚ: Áno
Pridaj komentár: Hrčiarka Aphelonyx cerricola
Mapa výskytu: Hrčiarka Aphelonyx cerricola
náhľad mapy pre tlačLegenda:

Body verifikované expertom

Neverifikované body
Pozorovaný užívateľmi na týchto drevinách
Najviac pozorovaní druhu
Posledné pozorovania
V systéme je celkom 1 pozorovaní druhu Aphelonyx cerricola




