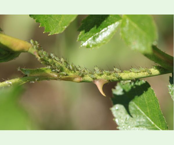
Voška ružová
Macrosiphum rosae
Autor fotografie: zahradkar
Uverejnené: 16.5.2022
Drevina: Ruža
Vlastníkom tejto fotografie je užívateľ zahradkar. Môžete si stiahnuť túto fotografiu v aktuálnej veľkosti (1900 x akt. výška px) a použiť ju na edukačné (prezentácie, prednášky a pod.) účely. Platí to len v tom prípade, ak uvediete pri fotografii autorstvo - napríklad takto: Foto: zahradkar, Skodcoviadrevin.sk alebo podobne.
V prípade, že chcete fotografiu použiť na komerčné účely, alebo potrebujete vyššiu kvalitu fotografie, prosím spojte sa s užívateľom zahradkar a dohodnite si podmienky použitia jeho fotografie.
Kontaktovať užívateľa zahradkar























