Voška ružová
Macrosiphum rosae
Popis druhu
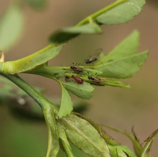
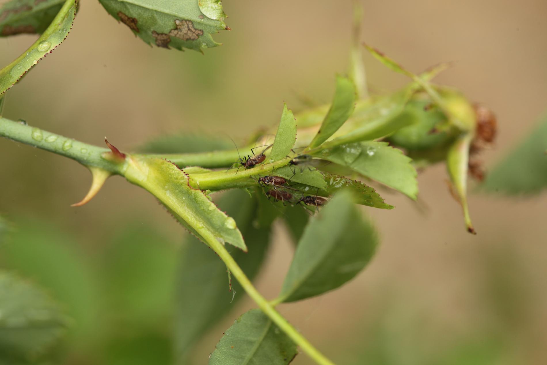
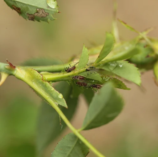
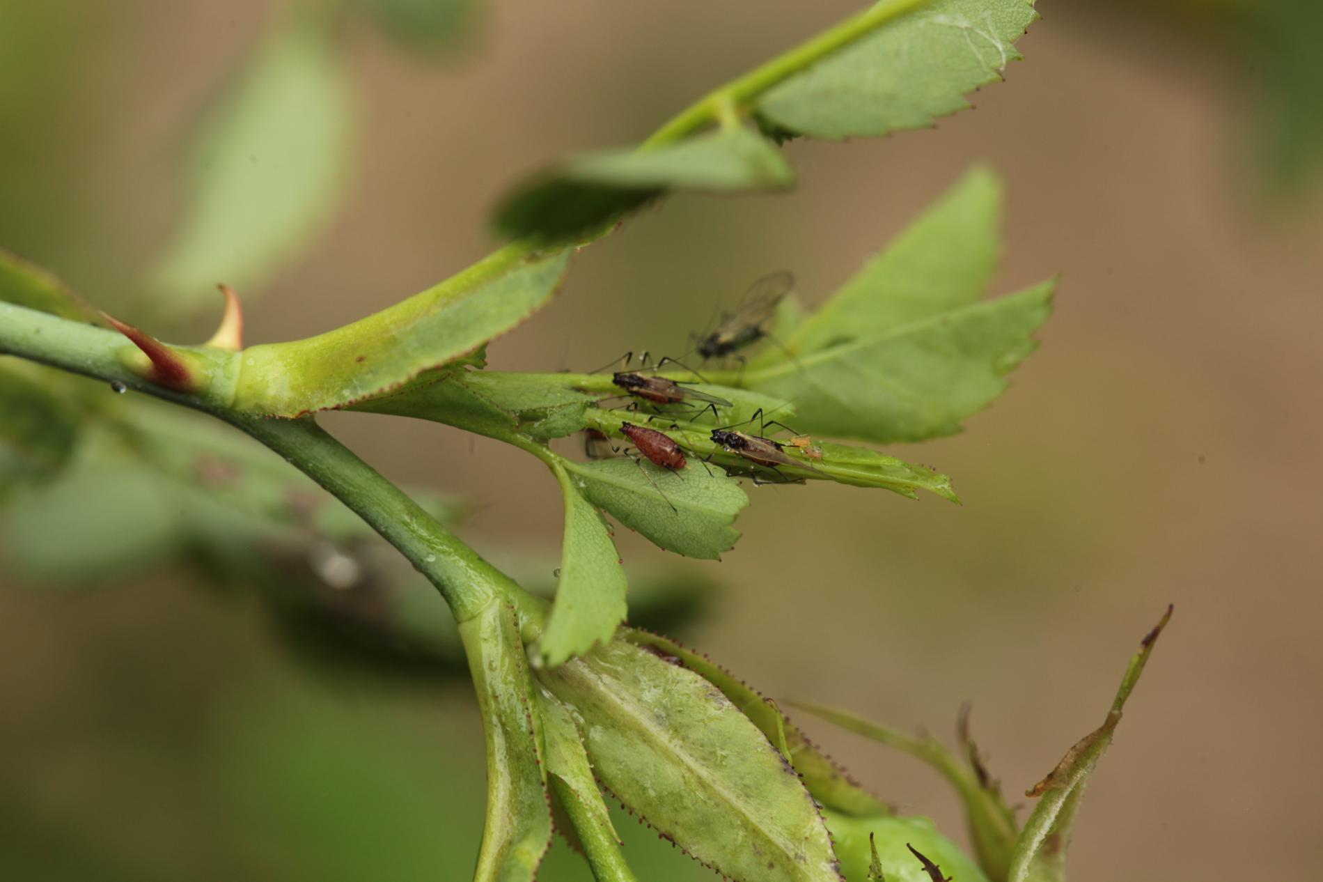
Voška ružová sa vyskytuje na ružiach, kde cicia v kolóniách na listoch a na koncoch výhonkov. Už skoro na jar vytvára početné kolónie, ktoré môže prežívať až do jesene. Ruže sa vplyvom cicania vošiek skrúcajú, listy chradnú, zakrpatievajú a nakoniec môžu dokonca aj uschnúť. Znižuje vitalitu rastliny, napadnuté rastliny kvitnutú menej intenzívne a kvety sú menšie.
Symptóm
Kolónie okrídlených vošiek na výhonkoch, v okolí kvetných pukov a na listoch.
Ohrozené dreviny: Ruža
Miesto poškodenia: List/ihlica, Vetva
Významnosť: Významný
Kategória škodcov: Hmyz
Zistený na Slovensku: Áno
Invázny druh: Nie
Zistený v EÚ: Áno
Pridaj komentár: Voška ružová
Mapa výskytu: Voška ružová
náhľad mapy pre tlačLegenda:

Body verifikované expertom

Neverifikované body
Pozorovaný užívateľmi na týchto drevinách
Najviac pozorovaní druhu
Posledné pozorovania
V systéme je celkom 2 pozorovaní druhu Macrosiphum rosae




