Žiadosti o určenie príčiny poškodenia
Tu nájdete žiadosti o určenie príčiny poškodenia. Môžete si pozrieť žiadosti ostatných užívateľov a môžete ich triediť podľa zvolených kritérií. Môžete získať informáciu o vašej žiadosti a môžete sledovať priebeh jej riešenia. Ak sa stalo, že vaša žiadosť nebola schválená na riešenie, stalo sa tak pravdepodobne preto, lebo zaslané fotografie neumožňujú identifikáciu poškodenia, alebo pretože žiadosť sa netýka našej témy – identifikácia škodcov drevín a krov. O stave vašej žiadosti budete informovaný aj e-mailom.
Zamietnuté žiadosti sa nezobrazujú. O zamietnutí žiadosti ste boli informovaný e-mailom.
Otázka
Odpoveď
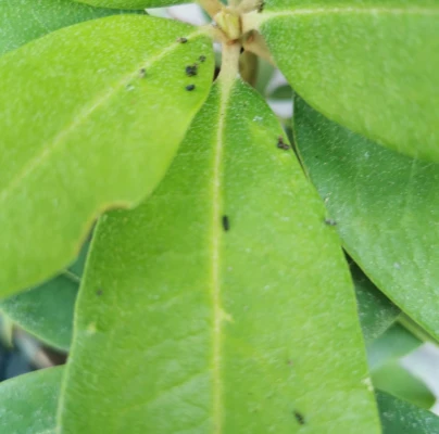
Príčina poškodenia
Psotka agátová
Parectopa robiniella

Pridaj komentár: Psotka agátová
Otázka
Odpoveď
Príčina poškodenia
Ploskáčik pagaštanový
Cameraria ohridella

Pridaj komentár: Ploskáčik pagaštanový
Otázka
Odpoveď
Príčina poškodenia
Cifruša bezkrídla
Pyrrhocoris apterus

Pridaj komentár: Cifruša bezkrídla
Otázka
Odpoveď
Príčina poškodenia
Teplo, sucho a úpal
Heat, drought and bark burn

Pridaj komentár: Teplo, sucho a úpal
Otázka
Odpoveď
Príčina poškodenia
Pílovka veľká
Urocerus gigas

Pridaj komentár: Pílovka veľká
Otázka
Odpoveď
Príčina poškodenia
Lesklokôrovka plochá
Ganoderma applanatum (= lipsiense)
Pridaj komentár: Lesklokôrovka plochá
Otázka
Odpoveď
Príčina poškodenia
Nosánik ryhovaný
Otiorhynchus sulcatus

Pridaj komentár: Nosánik ryhovaný
Otázka
Odpoveď
Príčina poškodenia
A - nejednoznačne určený, nie sme si istí
A - nejednoznačne určený, nie sme si istí

Pridaj komentár: A - nejednoznačne určený, nie sme si istí
Otázka
Odpoveď
Príčina poškodenia
Pošvovec stromový
Volvariella bombycina
Pridaj komentár: Pošvovec stromový
Otázka
Odpoveď
Príčina poškodenia
Ploskáčik pagaštanový
Cameraria ohridella

Pridaj komentár: Ploskáčik pagaštanový
Otázka
Odpoveď
Príčina poškodenia
Pílovka veľká
Urocerus gigas

Pridaj komentár: Pílovka veľká
Otázka
Odpoveď
Príčina poškodenia
Drobník Ectoedemia liebwerdella
Ectoedemia liebwerdella






















