Fotografie škodcov
Váš výber našiel 7 záznamov z celkového počtu 30081 fotografii v atlase
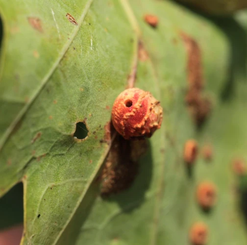
Trigonaspis synaspisHrčiarka Trigonaspis synaspis
milan
Počet hlasov: 0
Uverejnené: 5.8.2025
Drevina: Dub
Trigonaspis synaspisHrčiarka Trigonaspis synaspis
Marián Slamka
Počet hlasov: 0
Uverejnené: 27.3.2025
Drevina: Dub
Trigonaspis synapsisHrčiarka Trigonaspis synapsis
Milan Zúbrik
Počet hlasov: 0
Uverejnené: 16.1.2023
Drevina: Dub
Trigonaspis synapsisHrčiarka Trigonaspis synapsis
Milan Zúbrik
Počet hlasov: 0
Uverejnené: 16.1.2023
Drevina: Dub
Trigonaspis synapsisHrčiarka Trigonaspis synapsis
Milan Zúbrik
Počet hlasov: 0
Uverejnené: 16.1.2023
Drevina: Dub
Trigonaspis synapsisHrčiarka Trigonaspis synapsis
Milan Zúbrik
Počet hlasov: 0
Uverejnené: 16.1.2023
Drevina: Dub
Trigonaspis synapsisHrčiarka Trigonaspis synapsis
Milan Zúbrik
Počet hlasov: 0
Uverejnené: 16.1.2023
Drevina: Dub



