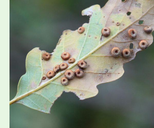
Hrčiarka Neuroterus numismalis
Neuroterus numismalis
Autor fotografie: milan
Uverejnené: 10.9.2025
Drevina: Dub
Vlastníkom tejto fotografie je užívateľ milan. Môžete si stiahnuť túto fotografiu v aktuálnej veľkosti (1900 x akt. výška px) a použiť ju na edukačné (prezentácie, prednášky a pod.) účely. Platí to len v tom prípade, ak uvediete pri fotografii autorstvo - napríklad takto: Foto: milan, Skodcoviadrevin.sk alebo podobne.
V prípade, že chcete fotografiu použiť na komerčné účely, alebo potrebujete vyššiu kvalitu fotografie, prosím spojte sa s užívateľom milan a dohodnite si podmienky použitia jeho fotografie.
Kontaktovať užívateľa milan



























