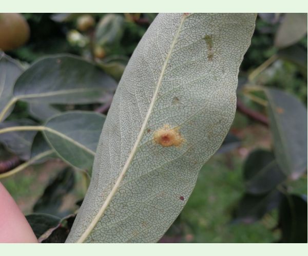
Hrdzavka hrušková
Gymnosporangium sabinae
Autor fotografie: Peter Ižold
Uverejnené: 8.10.2024
Drevina: Hruška
Vlastníkom tejto fotografie je užívateľ Peter Ižold. Môžete si stiahnuť túto fotografiu v aktuálnej veľkosti (1900 x akt. výška px) a použiť ju na edukačné (prezentácie, prednášky a pod.) účely. Platí to len v tom prípade, ak uvediete pri fotografii autorstvo - napríklad takto: Foto: Peter Ižold, Skodcoviadrevin.sk alebo podobne.
V prípade, že chcete fotografiu použiť na komerčné účely, alebo potrebujete vyššiu kvalitu fotografie, prosím spojte sa s užívateľom Peter Ižold a dohodnite si podmienky použitia jeho fotografie.
Kontaktovať užívateľa Peter Ižold




























