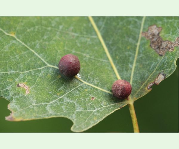
Hrčiarka Harmandiola tremulae
Harmandiola tremulae
Autor fotografie: Karol Ox
Uverejnené: 18.1.2023
Drevina: Dub
Vlastníkom tejto fotografie je užívateľ Karol Ox. Môžete si stiahnuť túto fotografiu v aktuálnej veľkosti (1900 x akt. výška px) a použiť ju na edukačné (prezentácie, prednášky a pod.) účely. Platí to len v tom prípade, ak uvediete pri fotografii autorstvo - napríklad takto: Foto: Karol Ox, Skodcoviadrevin.sk alebo podobne.
V prípade, že chcete fotografiu použiť na komerčné účely, alebo potrebujete vyššiu kvalitu fotografie, prosím spojte sa s užívateľom Karol Ox a dohodnite si podmienky použitia jeho fotografie.
Kontaktovať užívateľa Karol Ox














