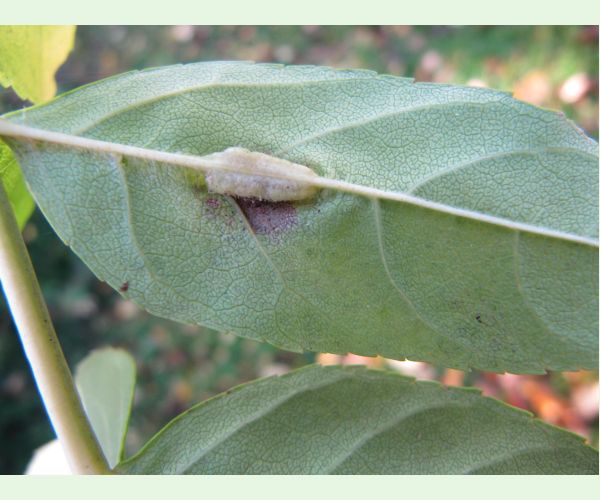
Plodomorka Dasineura fraxini
Dasineura fraxini
Autor fotografie: Ján Kollár
Uverejnené: 15.12.2024
Drevina: Jaseň
Vlastníkom tejto fotografie je užívateľ Ján Kollár. Môžete si stiahnuť túto fotografiu v aktuálnej veľkosti (1900 x akt. výška px) a použiť ju na edukačné (prezentácie, prednášky a pod.) účely. Platí to len v tom prípade, ak uvediete pri fotografii autorstvo - napríklad takto: Foto: Ján Kollár, Skodcoviadrevin.sk alebo podobne.
V prípade, že chcete fotografiu použiť na komerčné účely, alebo potrebujete vyššiu kvalitu fotografie, prosím spojte sa s užívateľom Ján Kollár a dohodnite si podmienky použitia jeho fotografie.
Kontaktovať užívateľa Ján Kollár








