Určenie príčiny poškodenia
Milan Zúbrik
FP hodnotenie je vyššie ako 90% užívateľov
Pracujem v lesníctve vyše 30 rokov preto, lebo mám rád lesy, hmyz a prírodu. Chcem pomôcť vlastníkom a užívateľom lesov les poznať a rozumieť mu. Verím, že vďaka tomu vypestujú viac dreva pri menších nákladoch. Dúfam, že sa vďaka tomu budú mať lepšie oni aj ich rodiny a že drevo bude v budúcnosti vďaka tomu lacnejšie a dostupnejšie pre všetkých. Teší ma, že produkcia dreva má toľko mimo-produkčných benefitov. Les nám okrem dreva dáva kyslík, skladuje CO2, zadržiava vodu, je krásnym prostredím pre trávenie voľného času... Poznanie škodcov je dôležitý krok na ceste k vyššie uvedenému.
Štatistiky Fotografie Mapovanie užívateľa
Ukáž len jeden druh škodcu
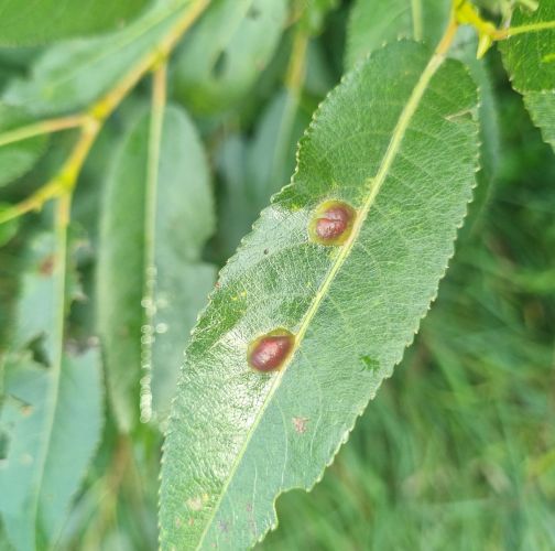
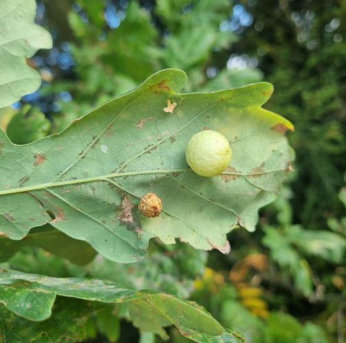
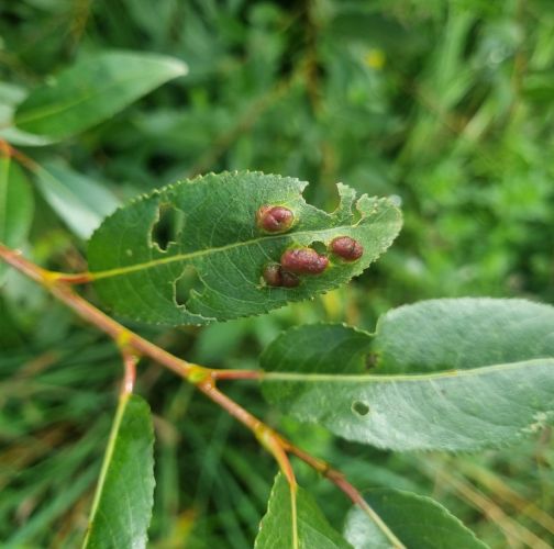
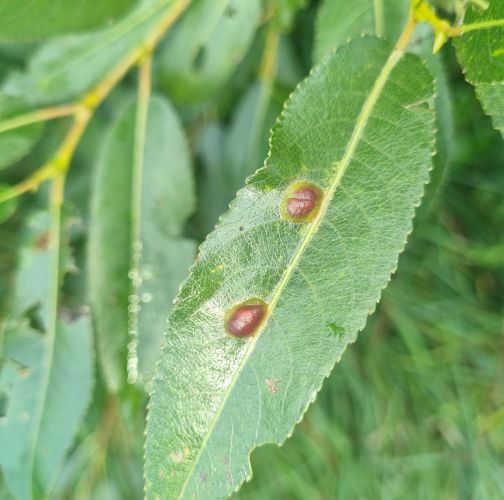
A - Ambiguously determined, we are not sure A - nejednoznačne určený, nie sme si istí A - nie je v databáze A - This species is not in the database yet Acizzia jamatonica Agátová listová škvrnitosť Akútne hynutie dubov Alternária premenlivá Ambrózia palinolistá Americká múčnatka egreša Antraknóza krivoľaká Antraknóza pagaštanová Atélia listová Babôčka brestová Babôčka zubatokrídla Bakteriálne ochorenie oleandrov Behavka brezová Belák horský Biela škvrnitosť hrušky Bieloškvrnáč púpavcový Bieloústka Kunzeova Blesk Blumerielka čerešňová Blyštek bukový Bobor európsky Boľševník obrovský Brezovník obyčajný Bronzovníček svíbový Bronzovníček Treitschkeho Byľomor agátový Byľomor borovicový Byľomor bukový Byľomor Craneiobia corni Byľomor Dasineura gleditchiae Byľomor Dasineura kellneri Byľomor Hartigiola annulipes Byľomor Lasioptera populnea Byľomor lipový Byľomor Macrodiplosis pustularis Byľomor Monarthropalpus flavus Byľomor ostružinový Byľomor Rabdophaga saliciperda Byľomor Rabdophaga salicis Byľomor ružicový Byľomorka tisová Bzdocha Halyomorpha halys Bzdocha Nezara viridula Bzdocha sivá Čalúnicovité Cenangium hrdzavé Cerkosporová škvrnitosť lipy Čerň javorová Červec brestový Červec bukový Červec citrusový Červec japonský Červec Kermes ilicis Červec Kermes vermilio Červec Matsucoccus pini Červec olivový Červec Protopulvinaria pyriformis Červec Pulvinaria floccifera Červec Pulvinaria hydrangeae Červec Pulvinaria regalis Červec Pulvinaria vitis Červec smrekový Červec Sphaerolecanium prunastri Červená sypavka borovíc Červenica rumelková Červotoč hnedý Červotoč Microbregma emarginatum Červotoč obyčajný Červotoč pásikavý Červotoč šiškový Chalcidka Bruchophagus sophorae Chalcidka Eurytoma amygdali Chlpatica jednofarebná Chochlatka dubová Chrastavitosť jabloní Chrastavitosť kôstkovín Chrastavitosť vŕby Chrastavka pivničná Chrastavník osikový Chrúst Anoxia australis Chrúst mramorový Chrúst obyčajný Chrúst pagaštanový Chrústik Amphimallon burmeisteri Chrústik letný Chrústik záhradný Chrústovec japonský Čiašočka jaseňová Čierna škvrnitosť brestu Čierna škvrnitosť ruží Cifruša bezkrídla Cikádka Cikádka Acanalonia conica Cikádka Japananus hyalinus Cikádka Rhytidodus decimusquartus Cikádka rododendronová Cikádka viničová Cikádky na javori Cikádočka ružová Cylindrokládiové odumieranie krušpánu Cytospora chrysosperma Daldínia koncentrická Daniel škvrnitý Diatrypka bodkovaná Diatrypka diskovitá Diskovník múrový Diviak lesný Drevár fialový Drevnatec kyjakovitý Drevokaz bukový Drevokaz čiarkovaný Drevokaz slzivý Drevotoč hruškový Drevotoč obyčajný Drevovček bukový Drobné hlodavce Drobník bukový Drobník Ectoedemia liebwerdella Drobník hrabový Drobník hruškový Drobník javorový Drobník lieskový Drobník lipový Drobník slivkový Drobník Stigmella confusella Drobník Stigmella hemargyrella Drobník Stigmella microtheriella Drobník Stigmella speciosa Drobník trnkový Drobník záhradný Drobnomúčka dubová Drobnoplodka škvrnitá Drozofila japonská Drvinár hnedý Drvinárik čierny Drvinárik ovocný Drvinárik pňový Drvinárik Xylosandrus crassiusculus Dutinárka listová Dutinárka orgovánová Dutinárka Pemphigus immunis Dutinárka Pemphigus phenax Dutinárka Pemphigus populi Dutinárka Pemphigus vesicarius Dutinárka skrutkovitá Dutinárka topoľová Dvojpustulovka drsná Eutypelka jarabinová Eutypelka javorová Faléra lipová Foto: Radoslav Nigríni Fuzáč alpský Fuzáč ázijský Fuzáč borovicový Fuzáč bukový Fuzáč Cerambyx welensii Fuzáč červenohlavý Fuzáč červenokrký Fuzáč červený Fuzáč Chlorophorus herbstii Fuzáč Chlorophorus varius Fuzáč citrusový Fuzáč Clytus arietis Fuzáč drsnotykadlový Fuzáč dubinový Fuzáč dubový Fuzáč dvojbodkový Fuzáč fialový Fuzáč hnedý Fuzáč hrubý Fuzáč Isotomus speciosus Fuzáč kôrový Fuzáč krovový Fuzáč pestrý Fuzáč pižmový Fuzáč Pogonocherus hispidus Fuzáč polokrovkový Fuzáč Rhagium mordax Fuzáč Ropalopus clavipes Fuzáč Semanotus laurasi Fuzáč Semanotus russicus Fuzáč sivohnedý Fuzáč skladový Fuzáč smrekovcový Fuzáč smrekový Fuzáč Trichoferus campestris Fuzáč veľký Fuzáč Xylotrechus antilope Fuzáč Xylotrechus chinensis Fuzáč zavalitý Fuzáč žltoškvrný Fuzárium Fusarium spp. Fuzárium lepkasté Fyloxéra na duboch Fyloxéra viničová Fytoftóra buková Fytoftóra jelšová Fytoftóra kambiová Fytoftóra škoricová Glejovka americká Grafióza dubov Grmaník slivkový Grmaník Taphrina kruchii Grmanník brezový Háďatko borovicové Hliva buková Hliva ustricovitá Hlivka Fuckelova Hlivka Šarlátová Hnedák Schweinitzov Hnedé škvrny na forzítii Hnedospórka topoľová Hnedospórka vŕbová Hranostajník bukový Hranostajník iberský Hrbohlav hnedý Hrčiarka Acericecis campestre Hrčiarka Andricus albipes Hrčiarka Andricus caputmedusae Hrčiarka Andricus conglomeratus Hrčiarka Andricus conificus Hrčiarka Andricus coriarius Hrčiarka Andricus coronatus Hrčiarka Andricus crispator Hrčiarka Andricus curtisii Hrčiarka Andricus curvator Hrčiarka Andricus dentimitratus Hrčiarka Andricus foecundatrix Hrčiarka Andricus galeatus Hrčiarka Andricus glutinosus Hrčiarka Andricus grossulariae Hrčiarka Andricus hartigi Hrčiarka Andricus hungaricus Hrčiarka Andricus inflator Hrčiarka Andricus lignicolus Hrčiarka Andricus lucidus Hrčiarka Andricus pictus Hrčiarka Andricus polycerus Hrčiarka Andricus quercusradicis Hrčiarka Andricus quercusramuli Hrčiarka Andricus quercustozae Hrčiarka Andricus solitarius Hrčiarka Andricus testaceipes Hrčiarka Andricus theophrasteus Hrčiarka Andricus tomentosus Hrčiarka Andricus truncicola Hrčiarka Aphelonyx cerricola Hrčiarka bezkrídla Hrčiarka Chilaspis nitida Hrčiarka Contarinia subulifex Hrčiarka Cynips cornifex Hrčiarka Cynips divisa Hrčiarka Cynips longiventris Hrčiarka Diplolepis eglanteriae Hrčiarka Diplolepis mayri Hrčiarka Dryocosmus cerriphilus Hrčiarka Dryocosmus kuriphilus Hrčiarka Dryomyia circinans Hrčiarka dubienková Hrčiarka Harmandiola tremulae Hrčiarka Janetia cerris Hrčiarka javorová Hrčiarka kalichová Hrčiarka listová Hrčiarka Macrodiplosis volvens Hrčiarka Neuroterus anthracinus Hrčiarka Neuroterus lanuginosus Hrčiarka Neuroterus numismalis Hrčiarka Neuroterus quercusbaccarum Hrčiarka Oligotrophus szepligetii Hrčiarka Pontania proxima Hrčiarka Pseudoneuroterus macropterus Hrčiarka ružová Hrčiarka Trigonaspis synaspis Hrčkotvorné baktérie Hrdza Aecidium clematidis Hrdza Cronartium flaccidum Hrdza korunová Hrdza na černiciach Hrdza na malinách Hrdza ostružinová Hrdza ružová Hrdzavka hlohová Hrdzavka hrušková Hrdzavka jarabinová Hrdzovníčka šišková Hrdzovníčka vŕbovková Hrdzovník brezový Hrdzovník Hiratsukanov Hrebenárka borovicová Hrebenárka Diprion similis Hrebenárka Gilpinia pallida Hrebenárka Gilpinia virens Hrebenárka hrdzavá Hrzda trávová Huba Paraconiothyrium tiliae Huba Petrakia echinata Imelo biele Imelovec európsky Imelovka borievková Jadrohlod dubový Jahňadka Batschova Jeleň lesný Kalichovka jedľová Klanolupeňovka obyčajná Kobylka Barbitistes yersini Kobylka stromová Kolpóma dubová Koreňovka vrstevnatá Kornatka mäsovočervená Kôrnik bukový Kôrnik jedľový Kôrnik pňový Kôrovka orlíčková Kôrovnica Dreyfusia prelli Kôrovnica duglasková Kôrovnica jedľová Kôrovnica kaukazská Kôrovnica Pineus orientalis Kôrovnica smrekovcová Kôrovnica vejmutovková Kôrovnica zelená Kováčikovité Elateridae Kovovníček orechový Kožnačka hrdzavohnedá Krasoň Agrilus derasofasciatus Krasoň Agrilus planipennis Krasoň Agrilus suvorovi populneus Krasoň Anthaxia manca Krasoň borievkový Krasoň borovicový Krasoň brezový Krasoň Buprestis cupressi Krasoň Coraebus florentinus Krasoň Coraebus rubi Krasoň dubový Krasoň dvojškvrnný Krasoň lipový Krasoň modrý Krasoň šesťbodý Krasoň štvorbodý Krasoň tmavosivý Krasoň topoľový Krasoň Trachypteris picta Krasoň zelenkastý Krasoň žltoškvrnný Krasoňovité Krasuľka duglasková Krídlatka japonská = pohánkovec Krúžkovanie stromov - ďateľ Krytonos Gasterocercus depressirostris Krytonos jelšový Kučeravosť listov broskýň Kučeravosť listov čremchy Kukurbitária smreková Kyjačka buková Kyjačka Cimbex quadrimaculatus Lavíny Lesklokôrovka ihličnanová Lesklokôrovka plochá Lesklokôrovka tmavá Lesný požiar Líčidlo jedlé Lienka východná Lišaj lipový Lišaj oleandrový Lišaj topoľový Lišajníkovec lišajníkový Liskavka Altica quercetorum Liskavka brestová Liskavka Chrysomela vigintipunctata Liskavka Crepidodera spp. Liskavka Gonioctena quinquepunctata Liskavka jelšová Liskavka Lachnaia sexpunctata Liskavka Phratora laticollis Liskavka Phyllodecta vitellinae Liskavka topoľová Liskavky na malinách Listárka dubová Listnatka lipová Listnatka neskorá Listomôľka figovníková Listovníček citrusový Listovníček Phyllocnistis labyrinthella Listovníček Phyllocnistis xenia Listovníček topolový Listovníček viničový Listovníček vŕbový Lupeňovka brezová Lykokaz Lykokaz borievkový Lykokaz borinový Lykokaz borovicový Lykokaz brestový Lykokaz chlpatý Lykokaz Hylesinus wachtli orni Lykokaz jaseňový Lykokaz konárový Lykokaz matný Lykokaz pňový Lykokaz Pteleobius kraatzi Lykokaz sadenicový Lykokaz smrekový Lykokaz tujový Lykokaz zrnitý Lykožrút borovicový Lykožrút bukový Lykožrút dubový Taphrorychus villifrons Lykožrút dvojzubý Lykožrút jedľový Lykožrút korunový Lykožrút lesklý Lykožrút obyčajný Lykožrút Orthotomicus erosus Lykožrút Orthotomicus laricis Lykožrút Orthotomicus longicollis Lykožrút prostredný Lykožrút severský Lykožrút smrečinový Lykožrút smrekovcový Lykožrút smrekový Lykožrút štvorzubý Lykožrút úzky Lykožrút vrcholcový Lyšaj borovicový Marcovka brezová Marsonína brezová Marsonína orechová Marsonína topoľová Marsonína vŕbová Mechúrnatka vejmutovková Medovnica borovicová Medovnica Cinara curvipes Medovnica dubová Medovnica Schizolachnus pineti Medvedík obyčajný Méra Cacopsylla ulmi Méra jaseňová Méra jelšová Méra krušpánová Méra ršetliaková Metlovka jedľová Mínerka Amauromyza elaeagni Mínerka Aulagromyza fraxini Mínerka Aulagromyza luteoscutellata Mínerka drieňová Mínerka Liriomyza amoena Mínerka Liriomyza congesta Mínerka Phytomyza cytisi Mínovník dubový Mníška obyčajná Mníška pižmová Mníška veľkohlavá Mníška vŕbová Mníška zlatoritka Molica Aleurocanthus spiniferus Molička topoľová Moníliová hniloba jadrovín Monilióza kôstkovín Mora borovicová Mora dubinová Mora dubová Mora hájová Mora jarná Mora lipová Mora Lithophane ornithopus Mora mnohotvárna Mora Orthosia miniosa Mora ovocná Môrka dubinová Môrka dubová Môrka marcová Mramorovka modrohlavá Mramorovka trnková Mramorovka veľkohlavá Mravce rodu Camponotus Mravec čiernolesklý Mráz Múčnatka bršlenová Múčnatka Erysiphe azaleae Múčnatka Erysiphe berberidis Múčnatka Erysiphe elevata Múčnatka- Erysiphe euonymi Múčnatka Erysiphe flexuosa Múčnatka Erysiphe tortilis Múčnatka jabloňová Múčnatka na vŕbach Múčnatka orgovánová Múčnatka Palczewskeho Múčnatka platanová Múčnatka Podosphaera macularis Múčnatka viniča Mušica marcová Námraza Nepravé jadro Netýkavka malokvetá Netýkavka žliazkatá Nosánik borovicový Nosánik Brachyderes suturalis Nosánik brezový Nosánik dubový Nosánik Gonipterus scutellatus Nosánik Isochnus sequensi Nosánik jablčný Nosánik lieskový Nosánik Magdalis memnonia Nosánik olivový Nosánik Orchestes testaceus Nosánik palmový Nosánik ryhovaný Nosánik Stereonychus fraxini Nosánik topoľový Nosánik viničový Nosánik žaľuďový Nosániky Phyllobius a Polydrusus Obaľovač Ancylis laetana Obaľovač Archips xylosteana Obaľovač bukvicový Obaľovač černastý Obaľovač Clavigesta sylvestrana Obaľovač Cydia conicolana Obaľovač dubový Obaľovač Epinotia subsequana Obaľovač Gypsonoma minutana Obaľovač jablčný Obaľovač jedľový Obaľovač Lozotaeniodes cupressana Obaľovač mládnikový Obaľovač plánkový Obaľovač ríbezľový Obaľovač šiškový Obaľovač smolový Obaľovač smrekový Obaľovač trnkový Obaľovač úhľadný Obaľovač zelený Obrubnica americká Odumieranie kmeňa Botryosphaeria dothidea Ofiostóma brestová Ofiostoma smreková Ohňovec Hartigov Ohňovec hrboľkatý Ohňovec hrdzavohnedý Ohňovec obyčajný Ohňovec slivkový Ohňovec smrekový Okáň bukový Okáň dubový Okáň Graellsia isabellae Okáň hruškový Opadavka Douglasova Ophelimus maskelli Oranžová kôra Ostrôžkár cezmínový Ostrôžkár dubový Pabodkovec duglaskový Pačiaška vŕbová Pajaseň žliazkatý Pakôrnik Scobicia chevrieri Pakôrnik Sinoxylon perforans Paysandisia archon Pečeňovec dubový Peniarka Haematoloma dorsata Peniarka jelšová Peniarka nížinná Peniarka vŕbová Peniazovček početný Peronospóra viniča Pestalotia hartigii Pevník červenejúci Pevník chlpatý Pevník žltnúci Pevník zvrásnený Pevníkovec purpurový Pezikula škoricová Phytomyza kaltenbachi Piadivka chlpatá Piadivka hrušková Piadivka jesenná Piadivka osiková Piadivka pomarančová Piadivka tmavoškvrnná Piadivka zimná Pierkavec šípkový Piliarka Piliarka agátová Piliarka Allantus cinctus Piliarka Apethymus apicalis Piliarka brezová Piliarka Caliroa cinxia Piliarka čerešňová Piliarka Cladius pectinicornis Piliarka Croesus latitarsus Piliarka dráčová Piliarka drobná Piliarka Endelomyia aethiops Piliarka Fenusa dohrnii Piliarka Fenusella nana Piliarka Hemichroa australis Piliarka Hemichroa crocea Piliarka Heterarthrus aceris Piliarka Hoplocampoides xylostei Piliarka horská Piliarka hrčková Piliarka jaseňová Piliarka jelšová Piliarka lipová Piliarka Nematinus luteus Piliarka Periclista spp. Piliarka Pontania dolichura Piliarka Pontania gallarum Piliarka Pontania vesicator Piliarka Pristiphora appendiculata Piliarka ružová Piliarka smreková Piliarka smrekovcová Piliarka Strongylogaster multifasciata Piliarka topoľová Pílovka čierna Pílovka fialová Pílovka listnáčová Pílovka smreková Pílovka veľká Pílovka Xiphydria camelus Pílovka Xiphydria longicollis Pílovka Xiphydria prolongata Plamienka zimná Pleseň sivá Plesňovka zemná Plodokaz praslenový Plodokaz zlatohnedý Plodomor Resseliella skuhravyorum Plodomorka Contarinia acerplicans Plodomorka Contarinia petioli Plodomorka Contarinia quercicola Plodomorka Contarinia tiliarum Plodomorka Dasineura acrophila Plodomorka Dasineura fraxini Plodomorka Dasineura tiliae Plodomorka Dasineura tortilis Plodomorka Drisina glutinosa Plodomorka lipová Plodomorka Physemocecis hartigi Plodomorka ružová Plodomorka Sackenomyia reaumurii Plodomorka Zygiobia carpini Ploskáčik agátový Ploskáčik brestovcový Ploskáčik dubinový Ploskáčik hlohyňový Ploskáčik hrabový Ploskáčik jelšový Ploskáčik lieskový Ploskáčik lipový Ploskáčik Nicelliho Ploskáčik pagaštanový Ploskáčik Parornix devoniella Ploskáčik Phyllonorycter cerasicolella Ploskáčik Phyllonorycter heegeriella Ploskáčik Phyllonorycter joannisi Ploskáčik Phyllonorycter maestingella Ploskáčik Phyllonorycter tenerella Ploskáčik Phyllonorycter ulmifoliella Ploskáčik platanový Ploskáčik vŕbový Ploskanka Acantholyda erythrocephala Ploskanka Aproceros leucopoda Ploskanka hrušková Ploskanka sadenicová Ploskanka smreková Plôškavec krušinový Plôškavec lipový Ploštička Belonochilus numenius Ploštička lipová Ploštička platanová Ploštička šišková Pľuzgiernička Pľuzgiernik lekársky Pňovka malá Pňovka neskorá Podkopáčik ovocný Podkopáčik špirálový Podkôrnik brezový Podkôrnik dubový Podkôrnik hrabový Podkôrnik Hylurgops glabratus Podkôrnik ovocný Podkôrnik slivkový Podkôrniky Scolytus na breste Podobník ovadovitý Podobník sršňovitý Podpňovka obyčajná Podpňovka smreková Podpňovka žltá Polník stromový Pórovník jaseňový Pošvovec stromový Práchnovček pásikavý Práchnovec kopytovitý Priadkovček dubový Priadkovček Thaumetopoea pinivora Priadkovček Thaumetopoea pityocampa Priadkovec borovicový Priadkovec brezový Priadkovec obrúčkavý Priadkovec ovocný Priadkovec sibírsky Priadkovec trnkový Priadzovček borievkový Priadzovček olivový Priadzovček tujový Priadzovec borovicový Priadzovec čremchový Priadzovec mukyňový Priadzovec ovocný Priadzovec trnkový Priadzovec vŕbový Prosthecium pyroforme Psota americká Psota borievčia Psota borievková Psota brezová Psota osiková Psotka Acrocercops brongniardella Psotka agátová Psotka Caloptilia fidella Psotka jabloňová Psotka orechová Psotka orgovánová Psotka Stenolechia gemmella Psyla Blastopsylla occidentalis Psyla Ctenarytaina spatulata Psyla eukalyptová Psyla Lauritrioza alacris Puklica dubová Pyknidovka beľová Rakovina borovíc Rakovina kôry gaštana Rakovina kôry javora Rakovina kôry platanov Rakovinové ochorenie orecha Roháč obyčajný Roháčik obyčajný Roztoč Aceria brachytarsus Roztoč Aceria brevitarsa brevitarsa Roztoč Aceria campestricola Roztoč Aceria carinifex Roztoč Aceria cerreus Roztoč Aceria erinea Roztoč Aceria fraxinivora Roztoč Aceria heteronyx Roztoč Aceria ilicis Roztoč Aceria kuko Roztoč Aceria macrochela Roztoč Aceria macrocheluserinea Roztoč Aceria macrotrichus Roztoč Aceria nervisequa faginea Roztoč Aceria pseudoplatani Roztoč Aceria pyracanthi Roztoč Aceria tenellus Roztoč Aceria tristriata Roztoč Aculus craspedobius Roztoč Aculus tetanothrix Roztoč Aculus xylostei Roztoč brezový Roztoč Cecidophyopsis psilaspis Roztoč Eotetranychus pruni Roztoč Eotetranychus tiliarium Roztoč Epitrimerus trilobus Roztoč Eriophyes convolvens Roztoč Eriophyes exilis Roztoč Eriophyes inangulis Roztoč Eriophyes leionotus Roztoč Eriophyes leiosoma = exilis Roztoč Eriophyes nervalis Roztoč Eriophyes padi Roztoč Eriophyes similis Roztoč Eriophyes sorbi Roztoč Eurytetranychus latus Roztoč hrabový Roztoč hruškový Roztoč Phyllocoptes populi Roztoč Phytoptus tetratrichus Roztoč smrekový Roztoč vlnovník jelšový Roztoč Vlnovník lipový Roztočec ovocný Rúrkovček Coleophora kuehnella Rúrkovček smrekovcový Rúrkovček tavoľníkový Rúrkovčekovité Coleophoridae Ružica dubová Ryhovec jedľový Ryšavec datlí Ryšavec kôrovitý Ryšavec šikmý Ryšavec slziaci Ryšavec srstnatý Savadea javorová Serropalpus barbatus Sféromúčka ružová Sieťkovček červenkastý Sieťkovec dubový Sietnačka hrušková Sietnička dubová Sietnička platanová Sietnička Stephanitis lauri Sietnička Stephanitis pyrioides Sietnička Stephanitis rhododendri Sietnička Stephanitis takeyai Sírovec obyčajný Sivkavec javorový Sivopórovka tmavá Sivopórovka zadymená Skákač bukový Skočky Škvrnitosť listov bazy Škvrnitosť listov D. mespili Škvrnitosť listov drieňa Škvrnitosť listov eukalyptu Škvrnitosť listov moruše Škvrnitosť listov oleandra Slnečnica hľúznatá = topinambur Smoliar jedľový Smoliar mladinový Smoliar šiškový Sneh Šošovičkovec ihličnanový Špirálovka Tulasneova Spletovka ihličinová Spriadač americký Srnec lesný Srpokrídlovec jelšový Sršeň ázijský Sršeň obyčajný Šťavnatec smrekový Štetinavec orechový Štetinavec trnkový Štítnička Aonidia lauri Štítnička Asterodiaspis ilicicola Štítnička borievková Štítnička borovicová Štítnička bršlenová Štítnička Leucaspis lowi Štítnička oleandrová Štítnička Planchonia arabidis Štítnička Pseudaulacaspis pentagona Strakáč brezový Štrbinovka smreková Stromárka buková Stromárka Chromaphis juglandicola Stromárka orechová Stužkavec cudzokrajný Šupinovka šupinatá Šupinovka zhubná Sypavka borová Sypavka borovíc hnedá Sypavka borovicová Sypavka červená Sypavka jedľová Sypavka Kalkhoffova Sypavka mramorová Sypavka švajčiarska Sypavníčka borovicová Teplo, sucho a úpal Termit juhoeurópsky Tipula Tmavorôsolovec mozgovitý Trámovka anízová Trámovka plotová Treptoplatypus oxyurus Trichoderma zelená Trichotécium ružové Tŕňovka liesková Trúdnik plástovitý Trúdnik premenlivý Trúdnik šupinatý Trúdnik tmavohlúbikový Trúdnikovec chlpatý Trúdnikovec hrbatý Trúdnikovec pestrý Trúdnikovec zamatový Tvarohovník vankúšovitý Tvrdoň deväťsilový Tvrdoň smrekovcový Tvrdoň smrekový Uchovka bazová Uchovka pásikavá Uhliarik pálený Ušiak mitrovitý Váhavec Galerucella lineola Váhavec jelšový Váhavec Pyrrhalta viburni Váhavec rakytový Valsa sivá Valsa smreková Vandalizmus Vejárovec obrovský Veľkomúčka jaseňová Veľkomúčka liesková Veverica obyčajná Vietor Vijačka Dioryctria mendacella Vijačka dubinová Víjačka krušpánová Vijačka smreková Vijačka úzkokrídla Vijačka živicová Vírusové ochorenia malín a černíc Vírusové ochorenie listov bazy Vlnačka brestová Vlnačka Eriosoma ulmi Vlnačka hladká Vlnačka hrebienková Vlnačka Tetraneura nigriabdominalis Vlnovník Aculus hippocastani Vlnovník hlavičkový Vlnovník Murrayov Vlnovník štvornohý Vlnovník topoľový Vlnovník veľkozobý Vlnovník viničový Vlnovník vŕbový Vlnuška kosodrevinová Vlnuška Wilkomova Voška Acyrthosiphon caraganae Voška Anoecia corni Voška Aphis craccivora Voška Aphis euonymi Voška Aphis farinosa Voška Aphis sambuci Voška Aphis spiraecola Voška Aphis spiraephaga Voška Aphis viburni Voška Aploneura lentisci Voška Baizongia pistaciae Voška bavlníková Voška Callipterinella calliptera Voška Capitophorus elaeagni Voška čerešňová Voška Chaitophorus populeti Voška Cinara tujafilina Voška čremchová Voška dráčová Voška Dysaphis devecta Voška egrešová Voška Euceraphis betulae Voška Forda formicaria Voška Forda marginata Voška Geoica utricularia Voška Hamamelistes betulinus Voška hlohová Voška Hyadaphis foeniculi Voška jabloňová Voška javorová Voška jedľová Voška krvavá Voška ľaliovníková Voška maková Voška Myzocallis walshii Voška oleandrová Voška Periphyllus testudinaceus Voška Phloeomyzus passerinii Voška Pineus pini Voška Rhopalosiphoninus staphyleae Voška ríbezľová Voška ružová Voška slivková Voška smreková Voška Thecabius affinis Voška Tuberculatus annulatus Voška zemolezová Vrbinár hladký Vredovka topoľová Vrtivka čerešňová Vrtivka orechová Vrzúnik Acanthocinus reticulatus Vrzúnik borovicový Vrzúnik Mesosa nebulosa Vrzúnik Monochamus galloprovincialis Vrzúnik mramorový Vrzúnik orechový Vrzúnik osikový Vrzúnik pralesový Vrzúnik Saperda perforata Vrzúnik Saperda punctata Vrzúnik smrekový Vrzúnik topoľový Zajac poľný, králik divý Zamokrenie, záplavy Zdobka buková Zdobka jesenná Zelenka dubová Žilnačka oranžová Zlaté žltnutie viniča Flavescence dorée Zlatone Cetoniinae Zrniarka Acanthoscelides pallidipennis Zrnokaz Bruchidius siliquastri Zrnokaz Bruchidius terrenus Zrnokaz Megabruchidius dorsalis Zrnokaz Megabruchidius tonkineus Zubor európsky
Drevina
Agát Albízia Albízia Arónia Aukuba Azalka Baza Beztvarec Borievka Borovica Brečtan Brest Brestovec Breza Broskyňa Bršlen Buk Céder Čerešňa Černica Červienka Cezmína Chmeľ Citrónovník Čremcha neskorá Čremcha obyčajná Čučoriedka Cypruštek Dráč Drieň Dub Duglaska Dula Dulovec Egreš Eucalyptus Figovník Fotínia Gaštan Gledíčia Granátovník Hloh Hlohyňa Hlošina úzkolistá Hrab Hrabovec Hruška Ibištek Jabloň Jarabina Jaseň Javor Javor jaseňolistý Jedľa Jelša Judášovec Kalina Kamélia Karagana Katalpa Klokoč Krehovetvec Krušina Krušpán Kustovnica Ľaliovník Lieska Lipa Magnólia Mahónia Malina Mandľa Marhuľa Mechúrnik Mišpula Mišpuľa japonská Moruša Muchovník Oleander Oliva Orech Orgován Pagaštan Pajazmín Palma Pavinič Pieris Pistácia Plamienok Platan Rakytník Rašetliak Ríbezľa Rododendrón Rôzne dreviny Ruža Skalník Skímia Slivka Smrek Smrekovec Sofora Štedrec Tavoľník Tis Topoľ Trnka Tuja Vavrín Vavrínovec Vinič Vistéria Vŕba Vtáčí zob Zanoväť Zemolez Zlatý dážď
Zoradiť
Podľa dátumu ▼
Podľa dátumu ▲
Podľa abecedy ▼
Podľa abecedy ▲
Na stranu
20
40
60
80
100
Ukáž len jednu sezónu
2022 2023 2024 2025 2026
Najlepšie fotografie
Za posledných 30 dní Za tento rok Za celé obdobie
Reset filtra