en Prihlásenie | Registrácia | Zoznam prispievateľov

« Späť na výpis

Voška zemolezová

Rhopalomyzus lonicerae

Popis druhu

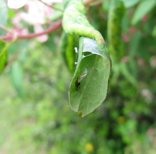
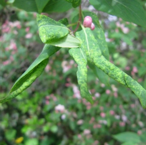
Rhopalomyzus lonicerae, známa ako voška zemolezová, má zložitý životný cyklus.  Primárnym hostiteľom je Lonicera (zemolez) a sekundárnymi hostiteľmi sú druhy tráv z čeľadi Poaceae, najmä Phalaris arundinacea. Prezimuje vo forme vajíčok na zemoleze, pričom skoro na jar sa liahnu fundatrixy, ktoré cicajú na listoch. Spôsobujú zvinovanie okrajov listov smerom nadol a vytvárajú žltkasté až červenkasté pseudohálky. Okrídlené jedince následne migrujú na trávy, kde vytvárajú veľké kolónie svetlých bezkrídlych jedincov.

Tonto druh je rozšírený po celej Európe, v strednej Ázii a na Sibíri. Vyskytuje sa v prirodzených aj mestských biotopoch a môže vytvárať husté populácie na hostiteľských rastlinách. Napadnutie spôsobuje deformácie listov zemolezu a znižuje jeho estetickú hodnotu. Na trávach môže husté napadnutie voškami mierne obmedziť fotosyntézu. Aj keď pôsobenie tohto druhy zvyčajne nevedie k úhynu hostiteľských rastlín, opakované napadnutia ich môžu oslabiť a zvýšiť ich náchylnosť na sekundárnych škodcov a choroby.

Symptóm

Na zemoleze sú listy skrútené smerom nadol a sfarbené do žlta alebo červena, pričom. Na spodnej strane listov sú prítomné vošky.

Ohrozené dreviny: Zemolez

Miesto poškodenia: List/ihlica

Významnosť: Významný

Kategória škodcov: Hmyz

Zistený na Slovensku: Áno

Invázny druh: Nie

Zistený v EÚ: Áno


Pridaj komentár: Voška zemolezová


Mapa výskytu: Voška zemolezová

Legenda:

1

Body verifikované expertom

3

Neverifikované body


Podobné poškodenie

Voška dráčová

Voška dráčová

Voška egrešová

Voška egrešová

Voška Aphis farinosa

Voška Aphis farinosa

Voška bavlníková

Voška bavlníková

Návrat hore