Voška Tuberculatus annulatus
Tuberculatus annulatus
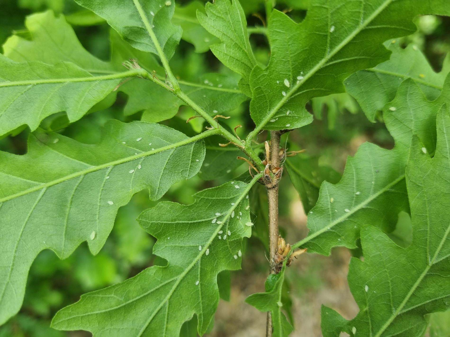
Popis druhu
Malá žltozelená voška žijúca v kolóniách na spodnej strane listov. Produkuje medovicu vďaka ktorej môže dochádzať k zachytávaniu nečistôt na listoch a znižovaniu fotosyntézy.
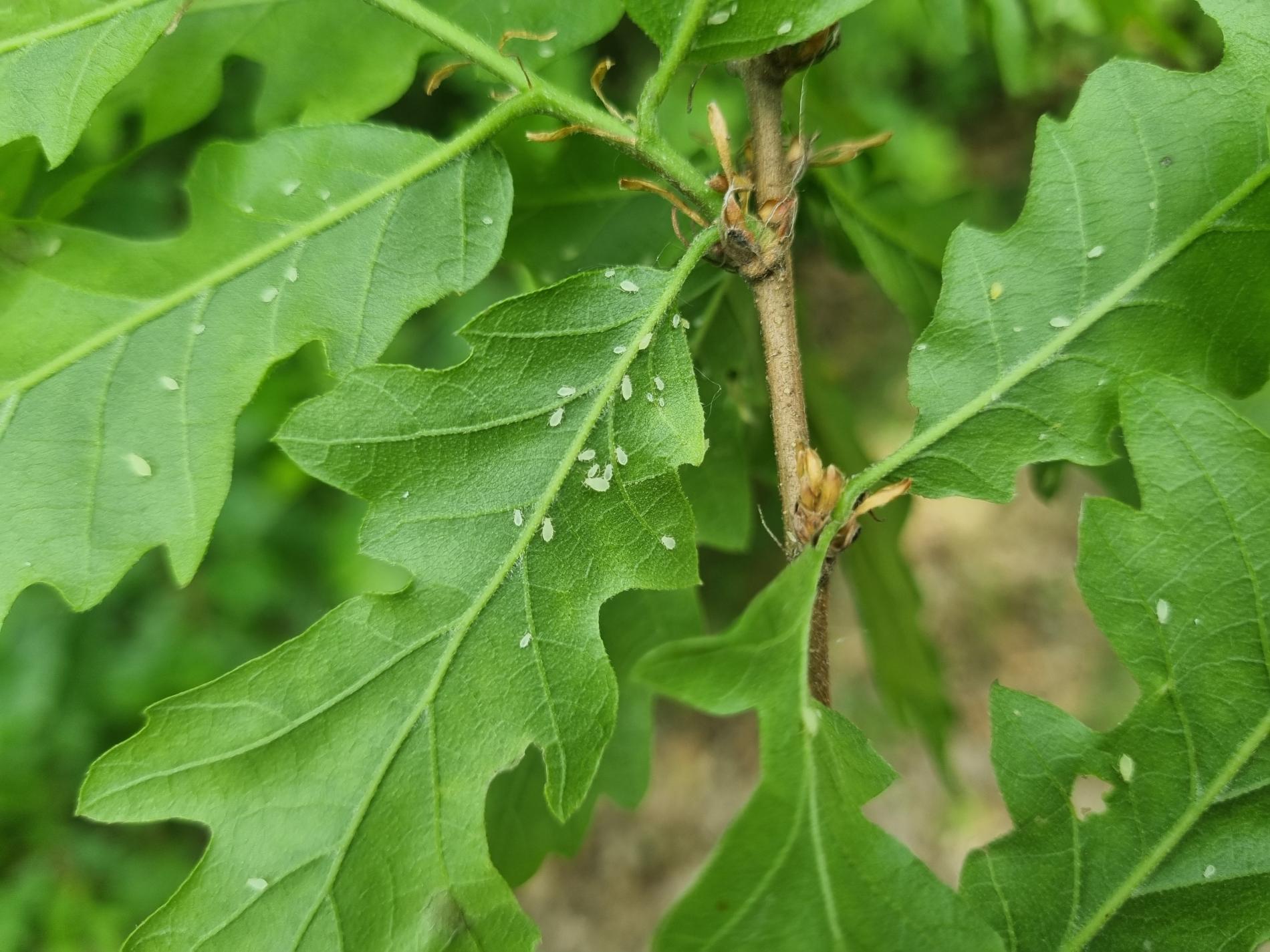
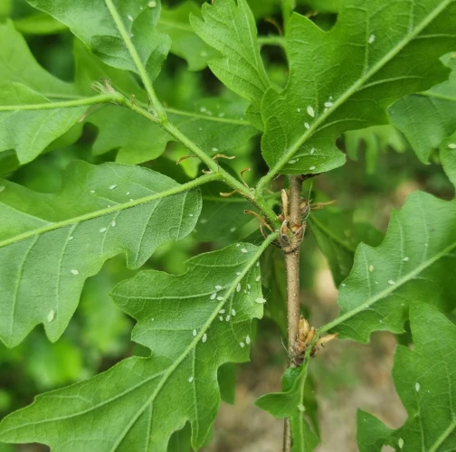
Symptóm
Produkuje medovicu vďaka ktorej môže dochádzať k zachytávaniu nečistôt na listoch a znižovaniu fotosyntézy.
Ohrozené dreviny: Dub
Miesto poškodenia: List/ihlica
Významnosť: Významný
Kategória škodcov: Hmyz
Zistený na Slovensku: Áno
Invázny druh: Nie
Zistený v EÚ: Áno
Pridaj komentár: Voška Tuberculatus annulatus
Mapa výskytu: Voška Tuberculatus annulatus
náhľad mapy pre tlačLegenda:

Body verifikované expertom

Neverifikované body
Pozorovaný užívateľmi na týchto drevinách
Najviac pozorovaní druhu
Posledné pozorovania
V systéme je celkom 1 pozorovaní druhu Tuberculatus annulatus




