en Prihlásenie | Registrácia | Zoznam prispievateľov

« Späť na výpis

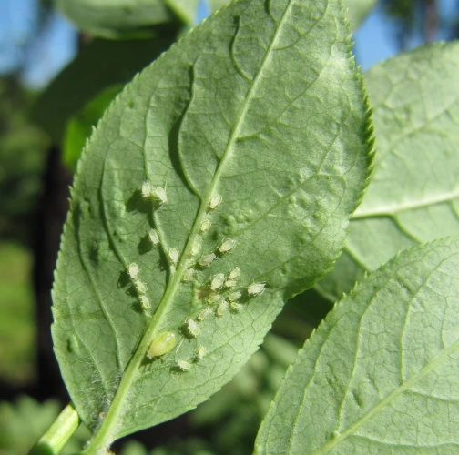
Voška Rhopalosiphoninus staphyleae

Rhopalosiphoninus staphyleae

Popis druhu

Voška Rhopalosiphoninus staphyleae je voška napádajúca klokoč (Staphylea pinnataS. colchica), kde vytvára kolónie na mladých výhonkoch a listoch. Vošky spôsobujú skrúcanie a žltnutie listov v dôsledku cicania. Počas leta migrujú na sekundárne hostiteľské rastliny, medzi ktoré patria zástupcovia čeľadí ľaliovité a kosatcovité, napríklad Tulipa, Hemerocallis a Crocus. Časť populácie zostáva na primárnom hostiteľovi počas celého roka. Vošky sú spočiatku svetložlté, no neskôr stmavnú do olivovozelenej alebo hnedej farby s tmavými znakmi na chrbte. Druh je rozšírený v celej Európe, Severnej Amerike a v častiach Afriky a Ázie. Silné napadnutie môže oslabiť dreviny, zhoršiť ich zdravotný stav a ovplyvniť vzhľad okrasných rastlín.

Symptóm

Listy na klokoči (Staphylea spp.) sú skrútené a majú žltkasté škvrny v dôsledku cicania vošiek. Kolónie vytvárajú husté zoskupenia na výhonkoch s voskovými sekrétmi.

Ohrozené dreviny: Klokoč

Miesto poškodenia: List/ihlica

Významnosť: Málo významný

Kategória škodcov: Hmyz

Zistený na Slovensku: Áno

Invázny druh: Nie

Zistený v EÚ: Áno


Pridaj komentár: Voška Rhopalosiphoninus staphyleae


Mapa výskytu: Voška Rhopalosiphoninus staphyleae

Legenda:

1

Body verifikované expertom

3

Neverifikované body


Podobné poškodenie

Voška Aploneura lentisci

Voška Aploneura lentisci

Voška Dysaphis devecta

Voška Dysaphis devecta

Voška oleandrová

Voška oleandrová

Voška Aphis sambuci

Voška Aphis sambuci

Návrat hore