en Prihlásenie | Registrácia | Zoznam prispievateľov

« Späť na výpis

Voška Forda formicaria

Forda formicaria

Popis druhu

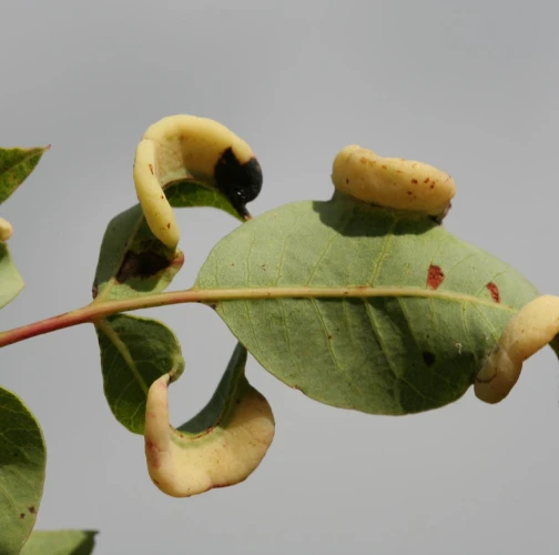
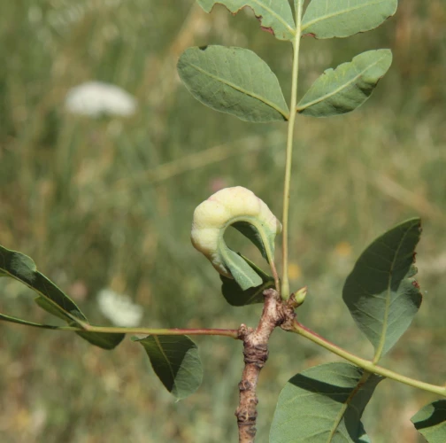
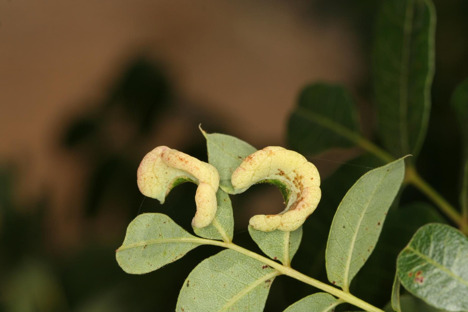
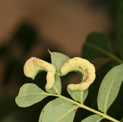
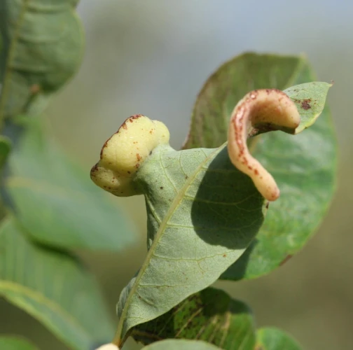
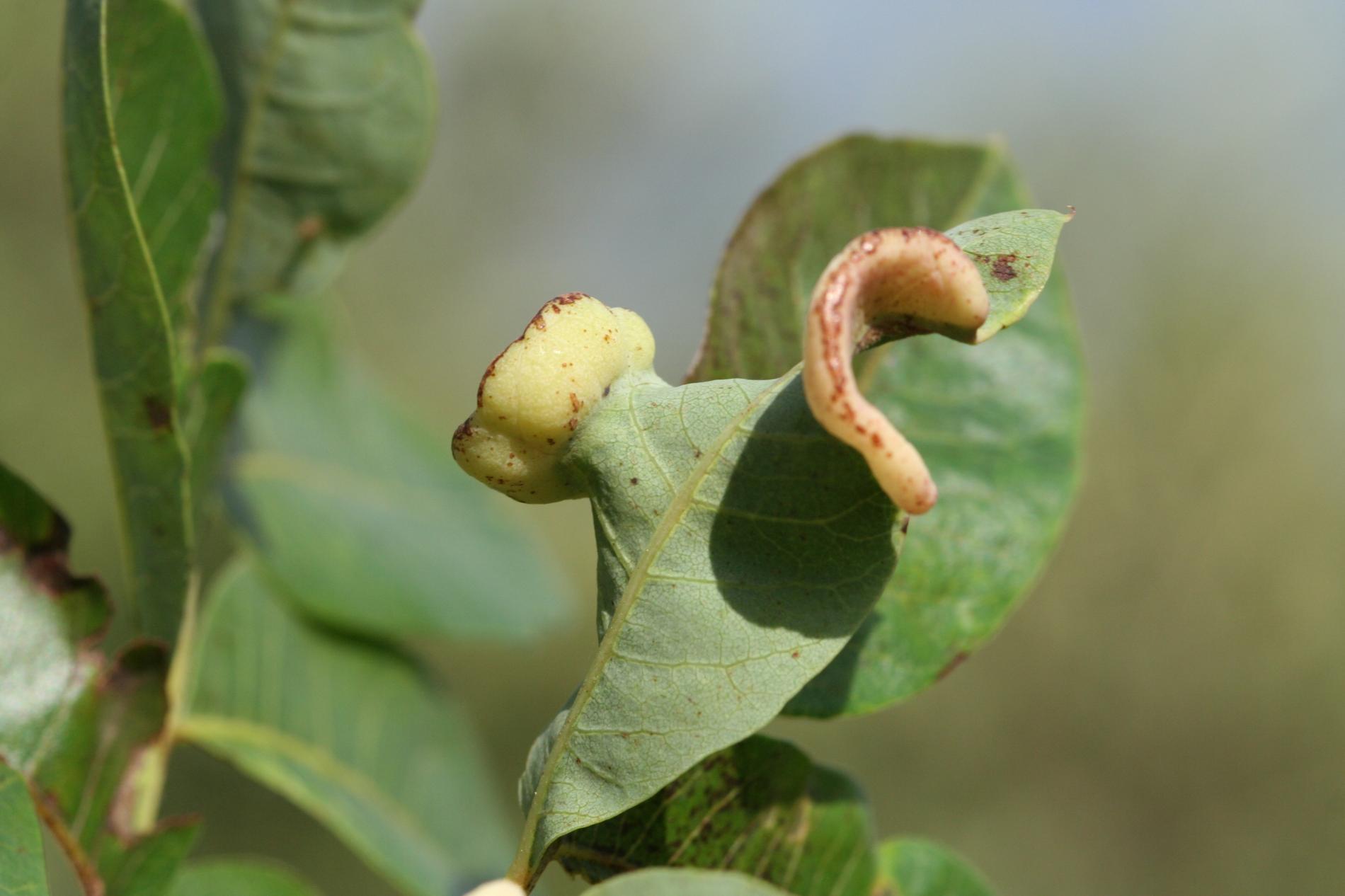
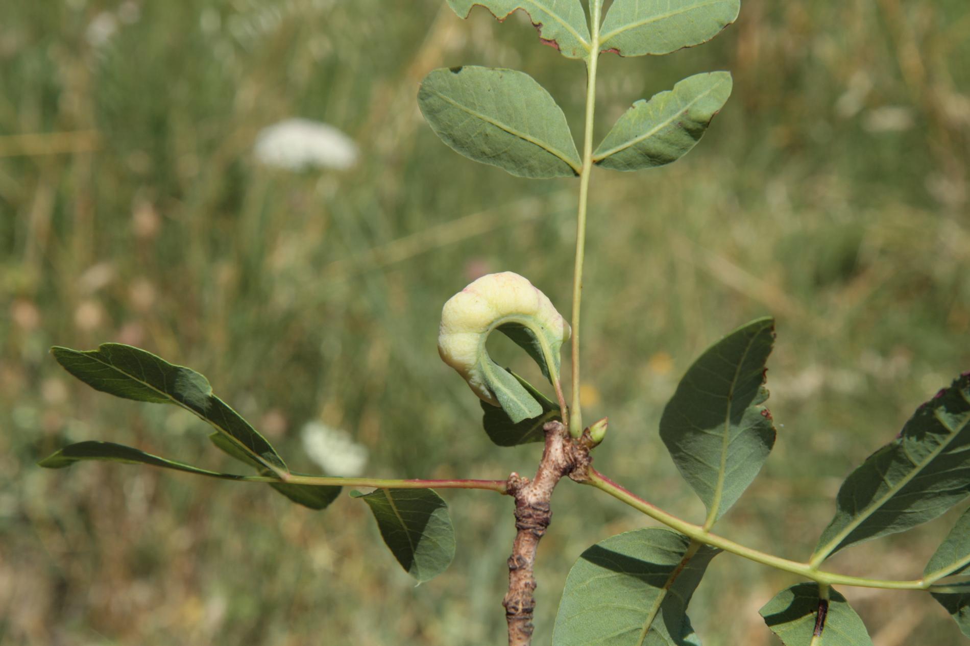
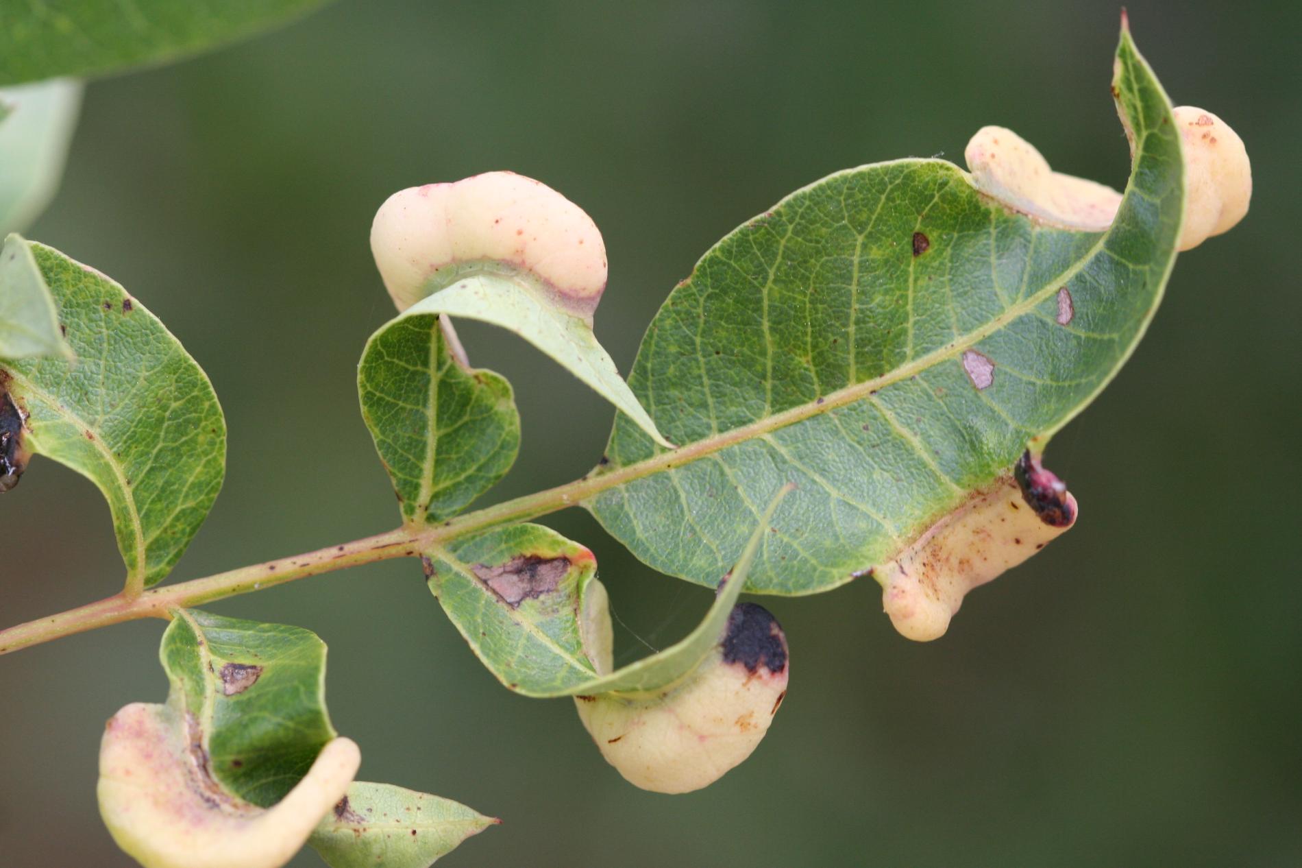
Voška Forda formicaria (Linnaeus, 1767) primárne napáda druhy rodu Pistacia, pričom uprednostňuje Pistacia terebinthus. Táto voška vytvára charakteristické polmesiacové hálky na listoch svojho primárneho hostiteľa. Tieto hálky môžu mať farbu od zelenej po červenú a obýva ich zakladateľská voška (fundatrix) a jej potomstvo. Na jeseň, alaty (okrídlené formy) opúšťajú hálky a migrujú k sekundárnemu hostiteľovi, ktorým sú zvyčajne korene tráv (Poaceae), kde zakladajú kolónie. V týchto kolóniách sa Forda formicaria cez zimu rozmnožuje partenogeneticky. V stredomorských oblastiach a juhozápadnej Ázii tento druh strieda hostiteľské rastliny. V iných častiach Európy, Ázie a Severnej Ameriky však môže dokončiť svoj životný cyklus len na koreňoch tráv, bez návratu na Pistacia. Táto voška sa často nachádza v symbióze s mravcami, ktoré sa o kolónie starajú a často žijú v ich hniezdach.

Symptóm

Symptómy napadnutia Forda formicaria zahŕňajú polmesiacové hálky na listoch Pistacia a odfarbenie alebo zakrpatenie koreňov tráv, kde sa tvoria kolónie.

Ohrozené dreviny: Pistácia

Miesto poškodenia: List/ihlica

Významnosť: Málo významný

Kategória škodcov: Hmyz

Zistený na Slovensku: Áno

Invázny druh: Nie

Zistený v EÚ: Áno


Pridaj komentár: Voška Forda formicaria


Mapa výskytu: Voška Forda formicaria

Legenda:

1

Body verifikované expertom

3

Neverifikované body


Podobné poškodenie

Voška Aploneura lentisci

Voška Aploneura lentisci

Voška Hamamelistes betulinus

Voška Hamamelistes betulinus

Voška Geoica utricularia

Voška Geoica utricularia

Voška Baizongia pistaciae

Voška Baizongia pistaciae

Návrat hore