Voška Dysaphis devecta
Dysaphis devecta
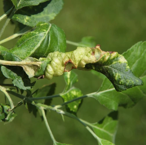
Popis druhu
Táto voška prezimuje vo fáze vajíčka. Zakladateľka na jar vytvára malú hálku na liste. Neskôr sa malé vošky vyskytujú najmä na spodnej strane listov. Má v roku aj 3-4 generácie. Listy sú rôznym spôsobom deformované, na vrchnej strane žlté až červené. To spôsobuje vážne škody v záhradách a sadoch ovocných drevín.
Symptóm
Žlté, neskôr červené sfarbenie povrchu deformovaných listov.
Ohrozené dreviny: Jabloň
Miesto poškodenia: List/ihlica
Významnosť: Významný
Kategória škodcov: Hmyz
Zistený na Slovensku: Áno
Invázny druh: Nie
Zistený v EÚ: Áno
Pridaj komentár: Voška Dysaphis devecta
Mapa výskytu: Voška Dysaphis devecta
náhľad mapy pre tlačLegenda:

Body verifikované expertom

Neverifikované body
Pozorovaný užívateľmi na týchto drevinách
Najviac pozorovaní druhu

1

Lucia
1
Posledné pozorovania
V systéme je celkom 2 pozorovaní druhu Dysaphis devecta




