Voška Chaitophorus populeti
Chaitophorus populeti
Popis druhu
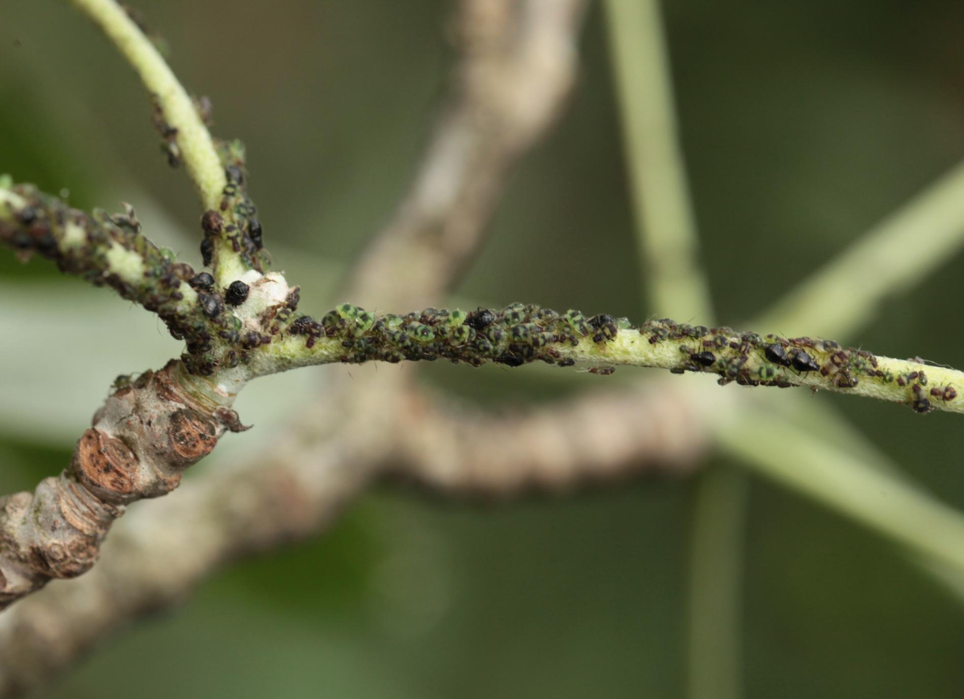
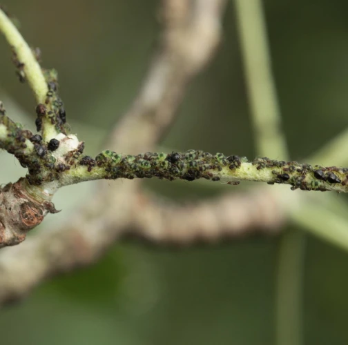
Vošky, 2-3 mm dlhé, farba hnedá alebo tmavozelená až čierna. Mladé štádiá sú zelené s čiernym vzorom. Táto voška žije v kolóniách na mladých výhonkoch alebo listových stopkách, menej často aj na spodnej strane listov. Kolónie sú intenzívne navštevované mravcami. Škodia v lesných porastoch aj na stromoch v urbanizovanom prostredí. Vyskytujú sa hojne v mesiacoch máj – jún. Podobne škodí druh Ch. populialbae.
Symptóm
Tmavé okrídlené vošky na koncoch výhonkov, žijúce v kolónii. Hojne navštevované mravcami.
Ohrozené dreviny: Topoľ
Miesto poškodenia: List/ihlica
Významnosť: Málo významný
Kategória škodcov: Hmyz
Zistený na Slovensku: Áno
Invázny druh: Nie
Zistený v EÚ: Áno
Pridaj komentár: Voška Chaitophorus populeti
Mapa výskytu: Voška Chaitophorus populeti
Legenda:

Body verifikované expertom

Neverifikované body




