en Prihlásenie | Registrácia | Zoznam prispievateľov

« Späť na výpis

Voška Baizongia pistaciae

Baizongia pistaciae

Popis druhu

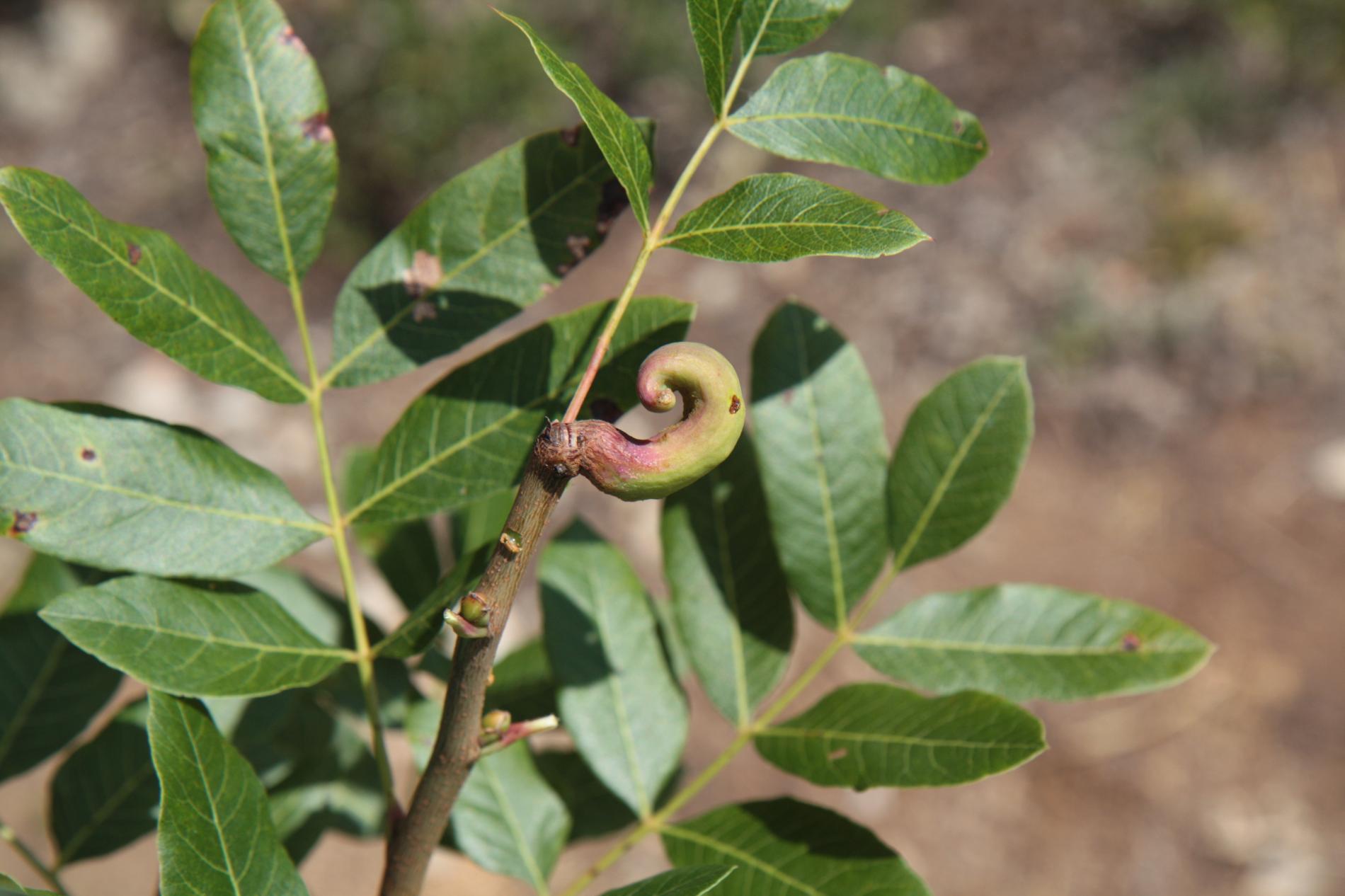
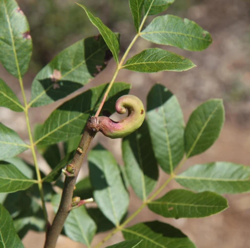
Baizongia pistaciae je druh vošky, ktorá primárne vytvára veľké, rohovité hálky na stromoch rodu Pistacia, najmä na Pistacia terebinthus a jej poddruhoch. V Stredomorských oblastiach má dvojročný holocyklický životný cyklus, počas ktorého strieda Pistacia stromy ako primárneho hostiteľa a korene tráv (Poaceae) ako sekundárneho hostiteľa. Na jar vošky indukujú tvorbu hálok na mladých výhonkoch stromov Pistacia, pričom tieto hálky môžu dorásť až do dĺžky 10-20 cm. V týchto hálkach prebieha niekoľko partenogenetických generácií, až kým sa koncom leta hálky neotvoria a nevytvoria sa okrídlené dospelé jedince (aláty), ktoré migrujú na korene tráv, kde tvoria podzemné kolónie. V oblastiach, kde Pistacia chýba, zostáva voška anholocyklická a celý životný cyklus prežíva na koreňoch tráv. Tento druh je rozšírený po celom Stredomorí, na Blízkom východe, v častiach Ázie, severnej Afriky a niektorých oblastiach Indie. Kolónie Baizongia pistaciae často chránia mravce, ktoré ich bránia pred predátormi.

Symptóm

Táto voška spôsobuje tvorbu veľkých, rohovitých hálok na stromoch Pistacia a oslabuje trávy tým, že sa živí na ich koreňoch, čo vedie k zníženému rastu a vitalite rastlín.

Ohrozené dreviny: Pistácia

Miesto poškodenia: List/ihlica

Významnosť: Málo významný

Kategória škodcov: Hmyz

Zistený na Slovensku: Nie

Invázny druh: Nie

Zistený v EÚ: Áno


Pridaj komentár: Voška Baizongia pistaciae


Mapa výskytu: Voška Baizongia pistaciae

Legenda:

1

Body verifikované expertom

3

Neverifikované body


Podobné poškodenie

Mora ovocná

Mora ovocná

Voška Periphyllus testudinaceus

Voška Periphyllus testudinaceus

Voška oleandrová

Voška oleandrová

Roztoč Aceria cerreus

Roztoč Aceria cerreus

Návrat hore