Vlnovník štvornohý
Vasates quadripedes
Popis druhu
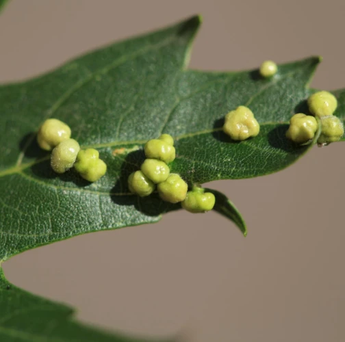
Tento druh nie je na Slovensku pôvodný. Pochádza zo severnej Ameriky. Na Slovensku je známy asi od roku 1970. Je to miniatúrny roztoč, ktorý má počas roka mnoho generácií a žije na listoch a kôre javorov. Samičky na jar sajú na listoch a vajíčka kladú do rozvíjajúcich sa hrčiek, kde žije ich potomstvo. Na jeseň sa spodná strana hrčiek otvára a roztoče preliezajú na miesta, kde prezimujú. Hostiteľskou drevinou tohoto druhu je javor cukrový (Acer sacharinum). Z pôvodného areálu roézšírnia tohot druhu je známe, že dokáže žiť aj na javory červenom Acer rubrum a Acer saccharum.
Symptóm
Pomerne veľké hrčky na vrchnej strane listov, ktoré môžu byť početné. Zo začiatku sú žlté alebo žltozelené, neskôr sa stávajú červenými, tmavočervenými a na jeseň až čiernymi.
Ohrozené dreviny: Javor
Miesto poškodenia: List/ihlica
Významnosť: Málo významný
Kategória škodcov: Roztoče
Zistený na Slovensku: Áno
Invázny druh: Nie
Zistený v EÚ: Áno
Pridaj komentár: Vlnovník štvornohý
Mapa výskytu: Vlnovník štvornohý
náhľad mapy pre tlačLegenda:

Body verifikované expertom

Neverifikované body
Pozorovaný užívateľmi na týchto drevinách
Najviac pozorovaní druhu
Posledné pozorovania
V systéme je celkom 2 pozorovaní druhu Vasates quadripedes





