Vlnačka hrebienková
Colopha compressa
Popis druhu
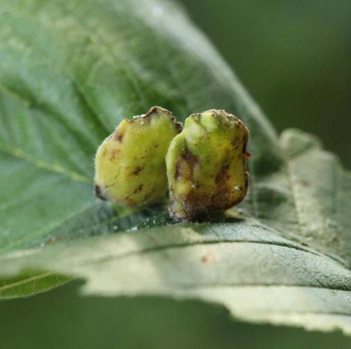
Na vrchnej strane listu – vždy na širšej strane čepele – sa nachádza mechúrikovitý výrastok vysoký cca 1 – 2 cm. Hálka je svetlozelená na okrajoch môže byť červená. Vyskytuje sa väčšinou jednotlivo. Vo vnútri sa nachádzajú vošky v rôznom štádiu vývoja.
Symptóm
Mechúrikovitý výrastok vysoký cca 1 – 2 cm.
Ohrozené dreviny: Brest
Miesto poškodenia: List/ihlica
Významnosť: Málo významný
Kategória škodcov: Hmyz
Zistený na Slovensku: Áno
Invázny druh: Nie
Zistený v EÚ: Áno
Pridaj komentár: Vlnačka hrebienková
Mapa výskytu: Vlnačka hrebienková
náhľad mapy pre tlačLegenda:

Body verifikované expertom

Neverifikované body
Pozorovaný užívateľmi na týchto drevinách
Najviac pozorovaní druhu
Posledné pozorovania
V systéme je celkom 4 pozorovaní druhu Colopha compressa





