Roztoč Vlnovník lipový
Eriophyes tiliae
Popis druhu
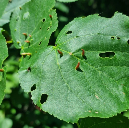
Už od jari spolu s rozvíjajúcimi sa listami rastú na ich vrchnej strane červenozelené, 0,3 – 0,5 mm veľké, podlhovasté hálky. Na spodnej strane takto postihnutých listov sa tvoria okrúhle, prípadne nepravidelné plstnaté vankúšiky. Hálok býva na jednom liste obyčajne niekoľko. Hojný druh, ktorý nespôsobuje vážnejšie poškodenie.
Symptóm
Na spodnej strane listov sa tvoria okrúhle, prípadne nepravidelné plstnaté vankúšiky. Hálok býva na jednom liste obyčajne niekoľko.
Ohrozené dreviny: Lipa
Miesto poškodenia: List/ihlica
Významnosť: Málo významný
Kategória škodcov: Roztoče
Zistený na Slovensku: Áno
Invázny druh: Nie
Zistený v EÚ: Áno
Pridaj komentár: Roztoč Vlnovník lipový
Mapa výskytu: Roztoč Vlnovník lipový
náhľad mapy pre tlačLegenda:

Body verifikované expertom

Neverifikované body
Pozorovaný užívateľmi na týchto drevinách
Najviac pozorovaní druhu
Posledné pozorovania
V systéme je celkom 13 pozorovaní druhu Eriophyes tiliae





