Roztoč vlnovník jelšový
Eriophyes laevis
Popis druhu
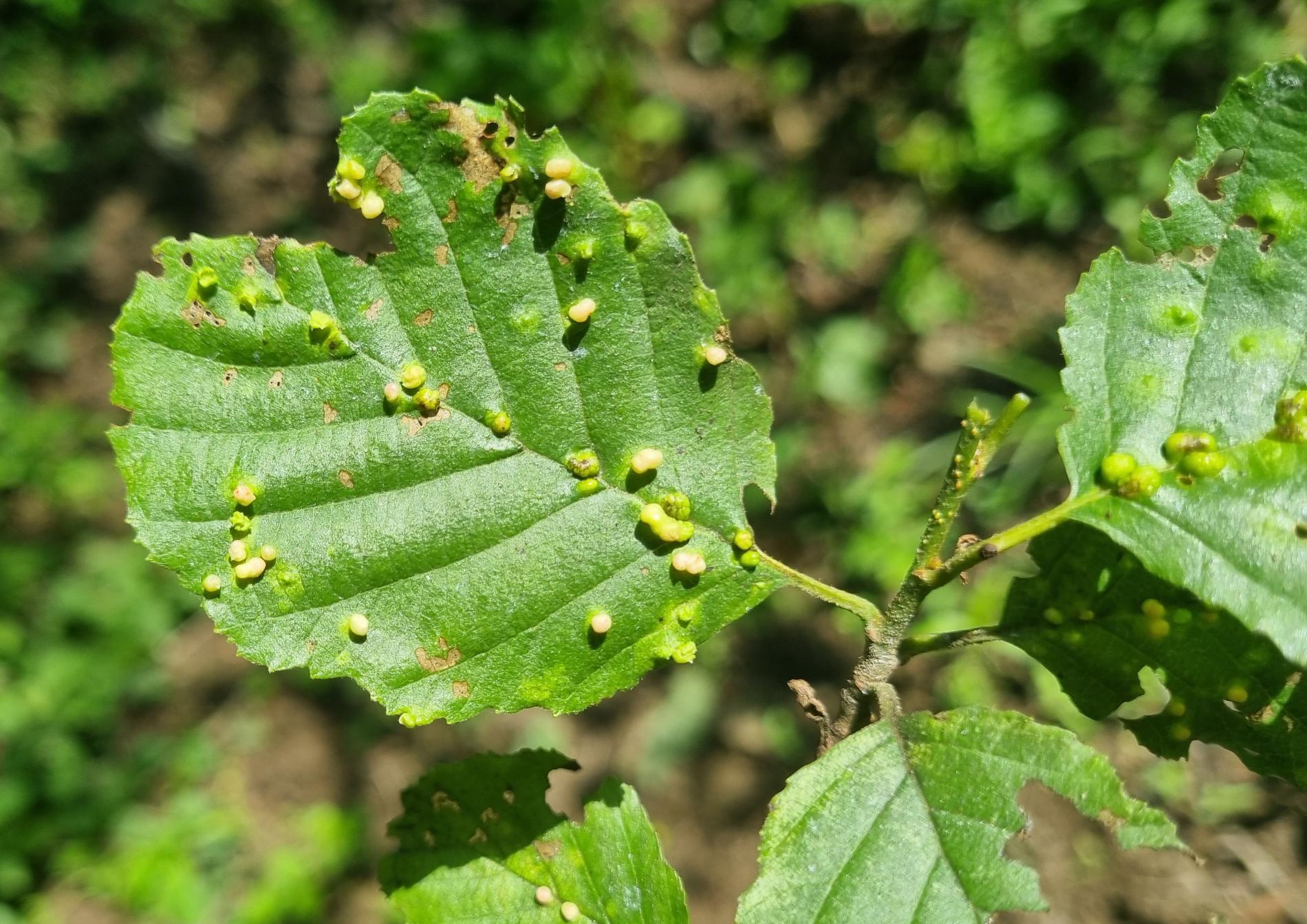
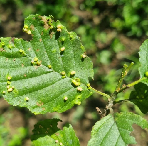
Na vrchnej strane listov je mnoho malých, okrúhlych výrastkov, veľkých 2 – 4 mm. Vyskytujú sa hromadne a na napadnutom strome sú nimi listy doslova posiate. Z počiatku sú žlté alebo zelené, neskôr červené až hnedé.
Symptóm
Drobné nádory na vrchnej strane listu.
Ohrozené dreviny: Jelša
Miesto poškodenia: List/ihlica
Významnosť: Málo významný
Kategória škodcov: Roztoče
Zistený na Slovensku: Áno
Invázny druh: Nie
Zistený v EÚ: Áno
Pridaj komentár: Roztoč vlnovník jelšový
Mapa výskytu: Roztoč vlnovník jelšový
Legenda:

Body verifikované expertom

Neverifikované body




