en Prihlásenie | Registrácia | Zoznam prispievateľov

« Späť na výpis

Roztoč Eriophyes sorbi

Eriophyes sorbi

Popis druhu

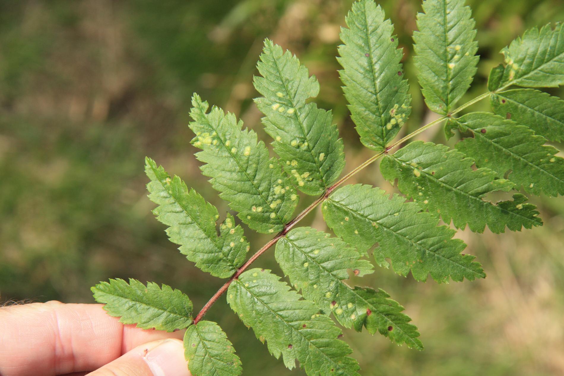
Roztoč Eriophyes sorbi je druh, ktorý špecificky infikuje stromy a kríky rodu Sorbus, medzi ktoré patrí napríklad jarabina vtáčia (Sorbus aucuparia) a iné druhy. Taxonomický status roztočov v tejto skupine nie je ešte úplne ustálený, a preto nie je úplne jasné ani ich taxonomické postavenie vzhľadom na príbuzné druhy Eriophyes arianus alebo Eriophyes pyri. Tieto roztoče sú mikroskopické, zvyčajne menej ako 0,2 mm dlhé, a sú ťažko viditeľné voľným okom. Prezimujú ako dospelé jedince v škárach na kôre alebo v púčikoch a na jar sa objavujú, aby sa živili na nových listoch. Napriek svojej malej veľkosti môžu spôsobovať viditeľné škody na hostiteľských rastlinách. Odstránenie a likvidácia silno infikovaných listov môže pomôcť znížiť populáciu roztočov. V extrémnych prípadoch možno použiť chemické ošetrenia, aj keď zvyčajne nie sú potrebné pri miernom napadnutí.

Symptóm

Hlavným príznakom napadnutia druhom Eriophyes sorbi je tvorba hálok na listoch hostiteľskej rastliny. Tieto hálky sú abnormálne zdurenia, ktoré sa vyvíjajú v reakcii na cicanie roztočov. Na hornej aj spodnej strane listov sa objavujú malé, pľuzgierovité vyvýšeniny alebo pľuzgiere. Tieto hálky môžu meniť farbu od svetlozelenej po červenú alebo hnedú, keď dozrievajú. 

Ohrozené dreviny: Jarabina

Miesto poškodenia: List/ihlica

Významnosť: Málo významný

Kategória škodcov: Roztoče

Zistený na Slovensku: Áno

Invázny druh: Nie

Zistený v EÚ: Áno


Pridaj komentár: Roztoč Eriophyes sorbi


Mapa výskytu: Roztoč Eriophyes sorbi

Legenda:

1

Body verifikované expertom

3

Neverifikované body


Podobné poškodenie

Roztoč Eriophyes similis

Roztoč Eriophyes similis

Eutypelka jarabinová

Eutypelka jarabinová

Hrdzavka jarabinová

Hrdzavka jarabinová

Roztoč Eriophyes exilis

Roztoč Eriophyes exilis

Návrat hore