Roztoč Eriophyes padi
Eriophyes padi
Popis druhu
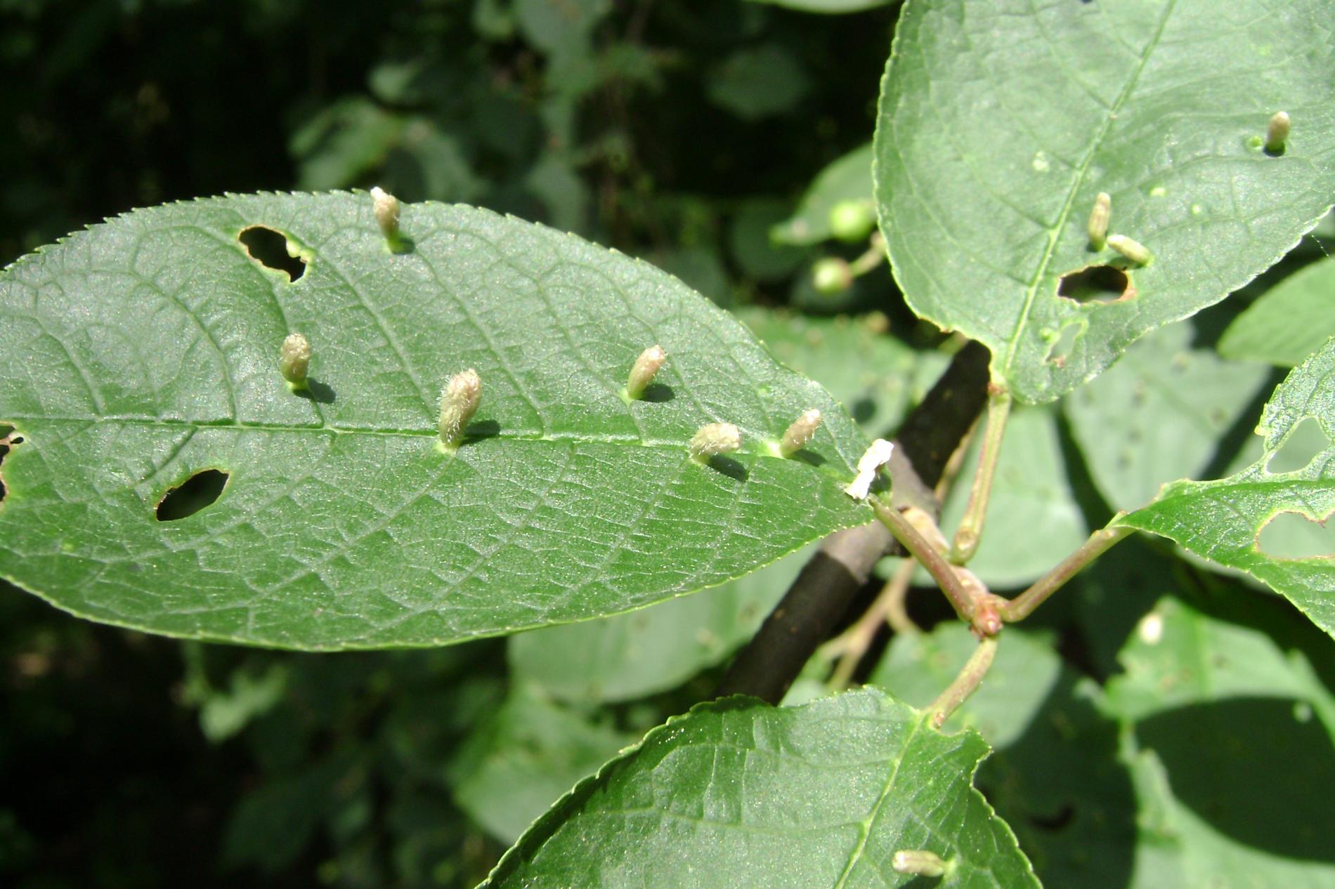
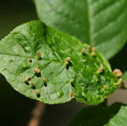
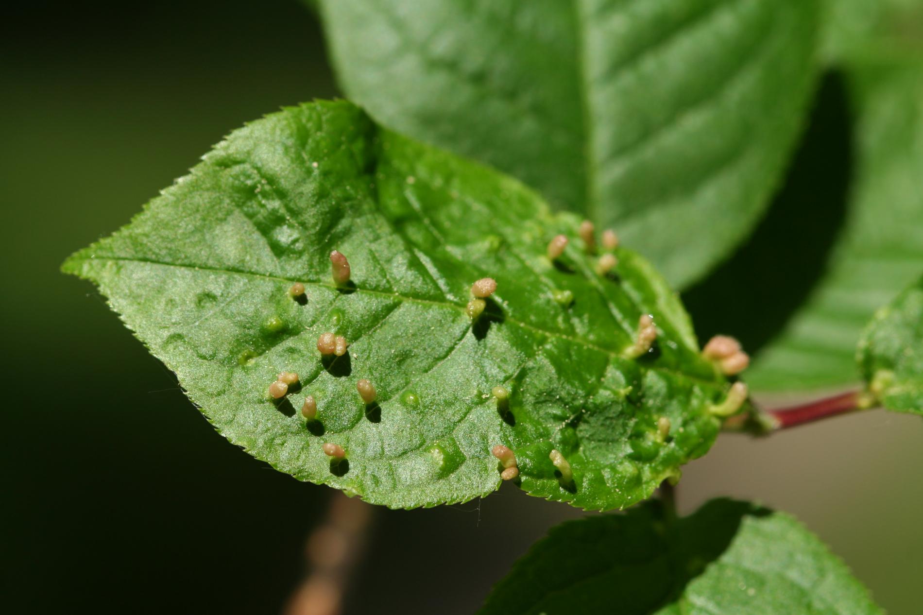
Tento roztoč tvorí chlpaté, guľovité hálky, vysoké 1–2 mm, nachádzajúce sa na vrchnej strane listu. Môžu byť guľovité, elipsovité až pretiahnuto elipsovité, zelenej, žltej, ružovej alebo červenej farby. Obyčajne sa na liste vyskytuje viac hálok. Pri veľkom výskyte sa listy deformujú. Tento druh je rozšírený v celej Európe, ale častejší je v južných častiach. Hlavný hostiteľ je čremcha strapcovitá (Prunus padus - Padus avium).
Symptóm
Drobné hálky na vrchnej strane listu. Môžu byť guľovité, elipsovité až pretiahnuto elipsovité, zelenej, žltej, ružovej alebo červenej farby.
Ohrozené dreviny: Čerešňa, Čremcha obyčajná
Miesto poškodenia: List/ihlica
Významnosť: Málo významný
Kategória škodcov: Roztoče
Zistený na Slovensku: Áno
Invázny druh: Nie
Zistený v EÚ: Áno
Pridaj komentár: Roztoč Eriophyes padi
Mapa výskytu: Roztoč Eriophyes padi
náhľad mapy pre tlačLegenda:

Body verifikované expertom

Neverifikované body
Pozorovaný užívateľmi na týchto drevinách
Najviac pozorovaní druhu
Posledné pozorovania
V systéme je celkom 4 pozorovaní druhu Eriophyes padi




