en Prihlásenie | Registrácia | Zoznam prispievateľov

« Späť na výpis

Roztoč Aculus tetanothrix

Aculus tetanothrix

Popis druhu

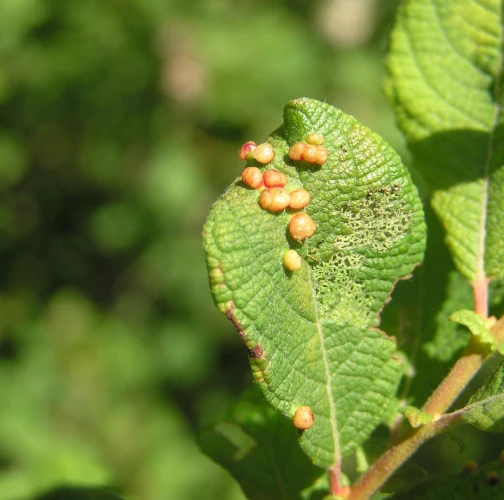
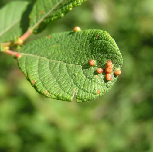
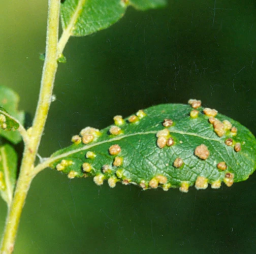
Na miestach výskytu červca sa na vrchnej strane listu vytvárajú bradavkovité útvary veľkosti asi 2 – 3 mm. Sú zeleno červené, jemne ochlpené. Vyskytujú sa v skupinách.

Symptóm

Drobné nádory na vrchnej strane listov. 

Ohrozené dreviny: Vŕba

Miesto poškodenia: List/ihlica

Významnosť: Málo významný

Kategória škodcov: Roztoče

Zistený na Slovensku: Áno

Invázny druh: Nie

Zistený v EÚ: Áno


Pridaj komentár: Roztoč Aculus tetanothrix


Mapa výskytu: Roztoč Aculus tetanothrix

Legenda:

1

Body verifikované expertom

3

Neverifikované body


Podobné poškodenie

Vlnovník veľkozobý

Vlnovník veľkozobý

Roztoč Eriophyes similis

Roztoč Eriophyes similis

Roztoč Aceria tristriata

Roztoč Aceria tristriata

Roztoč Aceria campestricola

Roztoč Aceria campestricola

Návrat hore