Roztoč Aculus craspedobius
Aculus craspedobius
Popis druhu
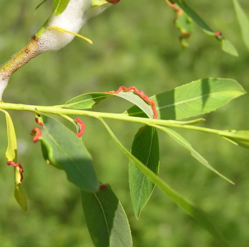
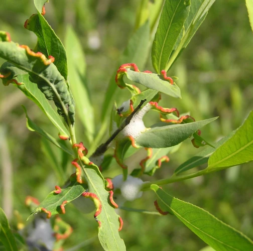
Aculus craspedobius je roztoč z čeľade Eriophyidae, ktorý sa vyvíja na vŕbach (Salix spp.) a spôsobuje drobné hálkovité deformácie listov. Prezimuje v púčikoch a na jar sa presúva na mladé listy, kde sa živí cicaním a rozmnožuje sa. Počas vegetačného obdobia vytvára viacero generácií a môže pretrvávať až do jesene. Druh je rozšírený v Európe a vyskytuje sa aj na Slovensku. Intenzita napadnutia zvyčajne nebýva silná, no pri vyššej početnosti môže opakované poškodenie znížiť asimilačnú plochu listov a tým zhoršiť celkový zdravotný stav a estetický vzhľad vŕb.
Symptóm
Na listoch vŕb sú drobné zvinutia (často žlto až červeno sfarbené) okrajov alebo mierne deformácie, často sprevádzané farebnými zmenami.
Ohrozené dreviny: Vŕba
Miesto poškodenia: List/ihlica
Významnosť: Málo významný
Kategória škodcov: Roztoče
Zistený na Slovensku: Áno
Invázny druh: Nie
Zistený v EÚ: Áno
Pridaj komentár: Roztoč Aculus craspedobius
Mapa výskytu: Roztoč Aculus craspedobius
Legenda:

Body verifikované expertom

Neverifikované body




