Roztoč Aceria macrochela
Aceria macrochela
Popis druhu
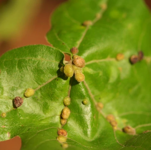
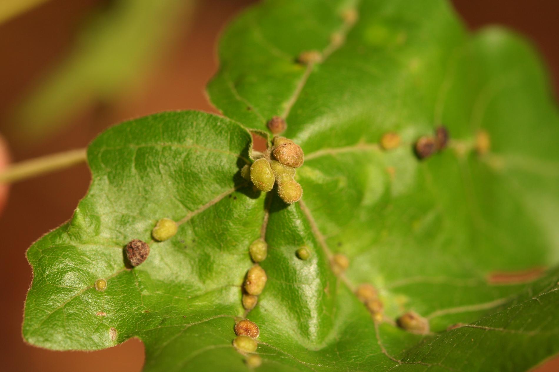
Na vrchnej strane listov javora poľného sa vyskytujú do 2 mm veľké, okrúhle, svetlozelené jemne ochlpené hálky. Obyčajne sa objavujú v skupinách po 10 – 20 kusov. Umiestnené sú na žilkách. Takmer vždy sú 2 - 4 umiestnené aj na mieste spojenia listovej stopky a čepele. Menej hojný druh.
Symptóm
Drobné nádorovité útvary na vrchnej strane listov umiestnené vždy na žilkách.
Ohrozené dreviny: Javor
Miesto poškodenia: List/ihlica
Významnosť: Málo významný
Kategória škodcov: Roztoče
Zistený na Slovensku: Áno
Invázny druh: Nie
Zistený v EÚ: Áno
Pridaj komentár: Roztoč Aceria macrochela
Mapa výskytu: Roztoč Aceria macrochela
náhľad mapy pre tlačLegenda:

Body verifikované expertom

Neverifikované body
Pozorovaný užívateľmi na týchto drevinách
Najviac pozorovaní druhu
Posledné pozorovania
V systéme je celkom 4 pozorovaní druhu Aceria macrochela
Aceria macrochela Roztoč Aceria macrochela
Milan Zúbrik
Počet hlasov: 0
Uverejnené: 14.5.2025
Drevina: Javor
Aceria macrochela Roztoč Aceria macrochela
Marián Slamka
Počet hlasov: 0
Uverejnené: 8.10.2023
Drevina: Javor





