en Prihlásenie | Registrácia | Zoznam prispievateľov

« Späť na výpis

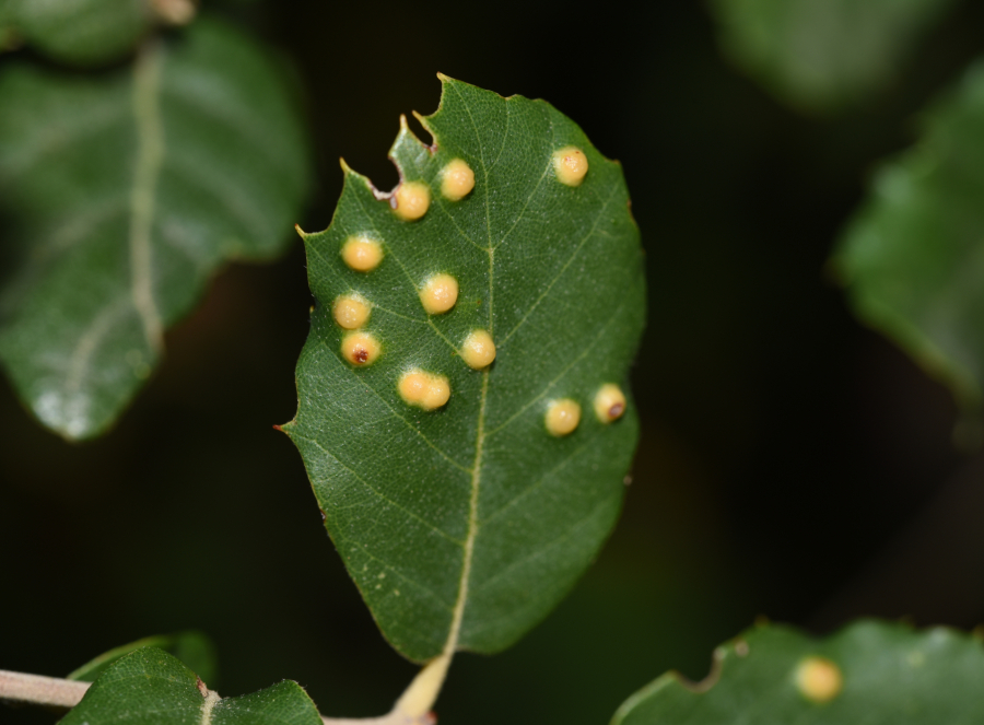
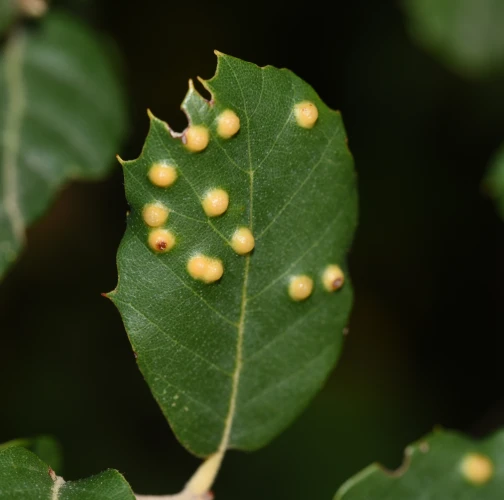
Roztoč Aceria ilicis

Aceria ilicis

Popis druhu

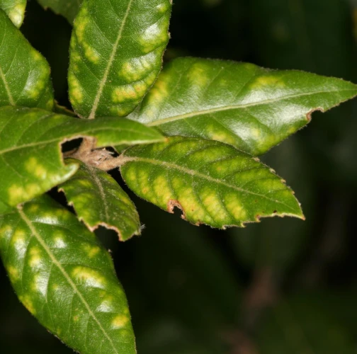
Tento roztoč tvorí hnedé povlaky na spodnej strane listov duba cezmínového Quercus ilex. Povlaky sa môžu spájať do veľkých plôch. V nich žijú drobné roztoče, ktoré nie sú voľným okom viditeľné. Na vrchnej strane sa poškodenie prejavuje miernou zdureninou a zmenou farby listu.

Symptóm

Tento roztoč tvorí hnedé povlaky na spodnej strane listov duba cezmínového Quercus ilex

Ohrozené dreviny: Cezmína, Dub

Miesto poškodenia: List/ihlica

Významnosť: Málo významný

Kategória škodcov: Roztoče

Zistený na Slovensku: Áno

Invázny druh: Nie

Zistený v EÚ: Áno


Pridaj komentár: Roztoč Aceria ilicis


Mapa výskytu: Roztoč Aceria ilicis

náhľad mapy pre tlač

Legenda:

1

Body verifikované expertom

3

Neverifikované body

Pozorovaný užívateľmi na týchto drevinách

 

Najviac pozorovaní druhu


Posledné pozorovania

V systéme je celkom 3 pozorovaní druhu Aceria ilicis

Pasquale

Aceria ilicisRoztoč Aceria ilicis
Pasquale
Počet hlasov: 0
Uverejnené: 22.11.2024
Drevina: Oak

Pasquale

Aceria ilicisRoztoč Aceria ilicis
Pasquale
Počet hlasov: 0
Uverejnené: 22.11.2024
Drevina: Oak

Sara

Aceria ilicisRoztoč Aceria ilicis
Sara
Počet hlasov: 0
Uverejnené: 1.7.2024
Drevina: Oak


Podobné poškodenie

Roztoč Aculus tetanothrix

Roztoč Aculus tetanothrix

Roztoč Aceria nervisequa faginea

Roztoč Aceria nervisequa faginea

Roztoč Aceria tristriata

Roztoč Aceria tristriata

Roztoč Aceria macrochela

Roztoč Aceria macrochela

Návrat hore