Roztoč Aceria erinea
Aceria erinea
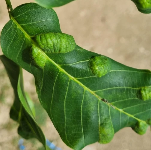
Popis druhu
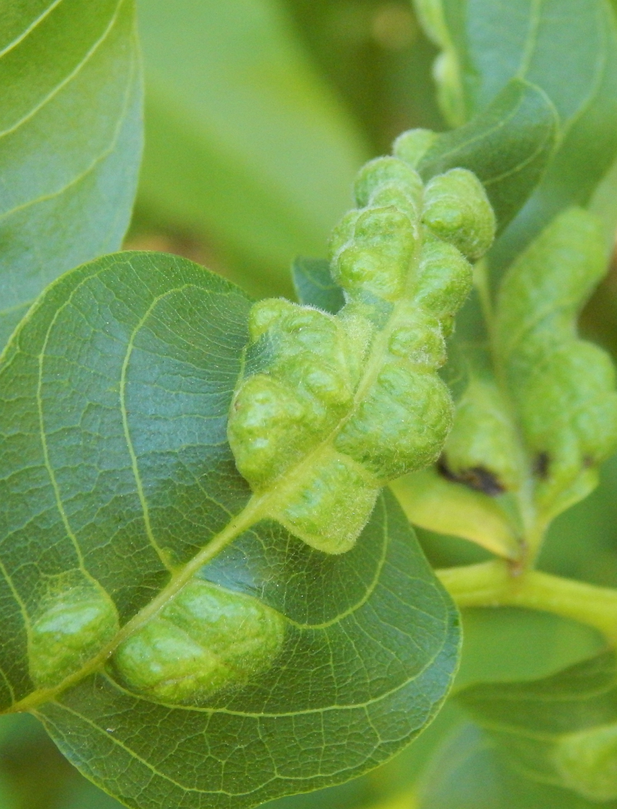
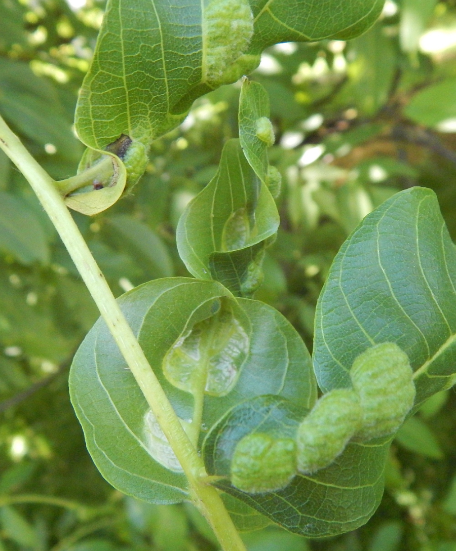
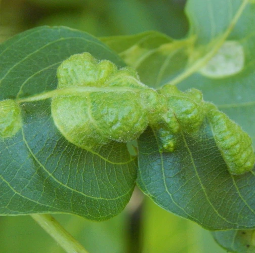
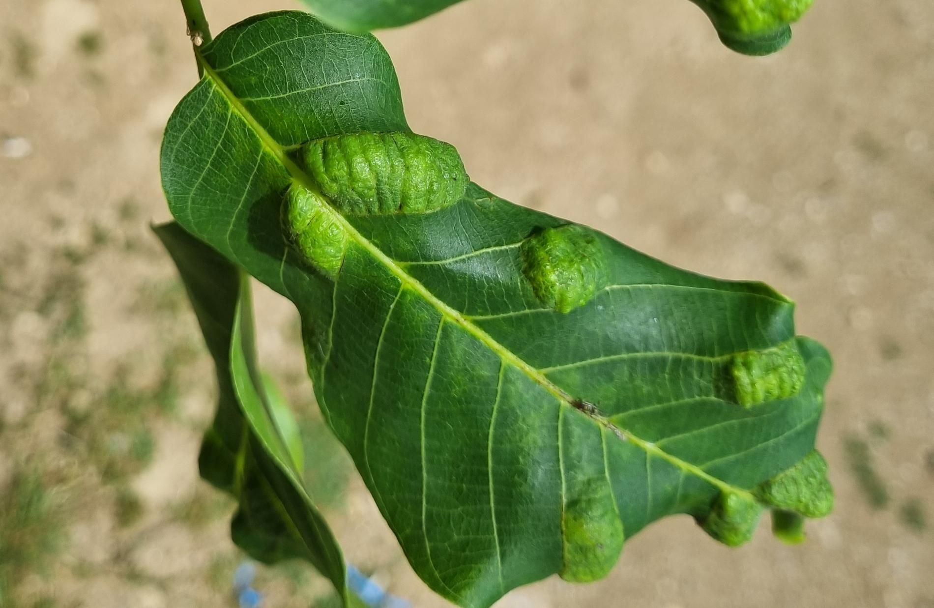
Aceria erinea je drobný roztoč veľký cca 0,08–0,2 mm. Prezimuje pri púčiku a na jar napáda rašiace listy. Výduť na vrchnej strane listu, rôzneho tvaru a veľkosti. Na spodnej strane výdute sa tvorí plstnatý povlak.
Symptóm
Zdureniny na listoch vytvárajúce svetlý hrboľ na vrchnej strane listu. Plstenný povlak na spodnej strane listu.
Ohrozené dreviny: Orech
Miesto poškodenia: List/ihlica
Významnosť: Málo významný
Kategória škodcov: Roztoče
Zistený na Slovensku: Áno
Invázny druh: Nie
Zistený v EÚ: Áno
Pridaj komentár: Roztoč Aceria erinea
Mapa výskytu: Roztoč Aceria erinea
náhľad mapy pre tlačLegenda:

Body verifikované expertom

Neverifikované body
Pozorovaný užívateľmi na týchto drevinách
Najviac pozorovaní druhu
Posledné pozorovania
V systéme je celkom 4 pozorovaní druhu Aceria erinea





