Roztoč Aceria cerreus
Aceria cerreus
Popis druhu
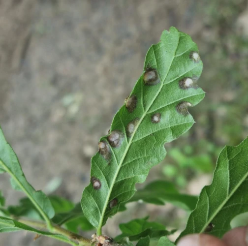
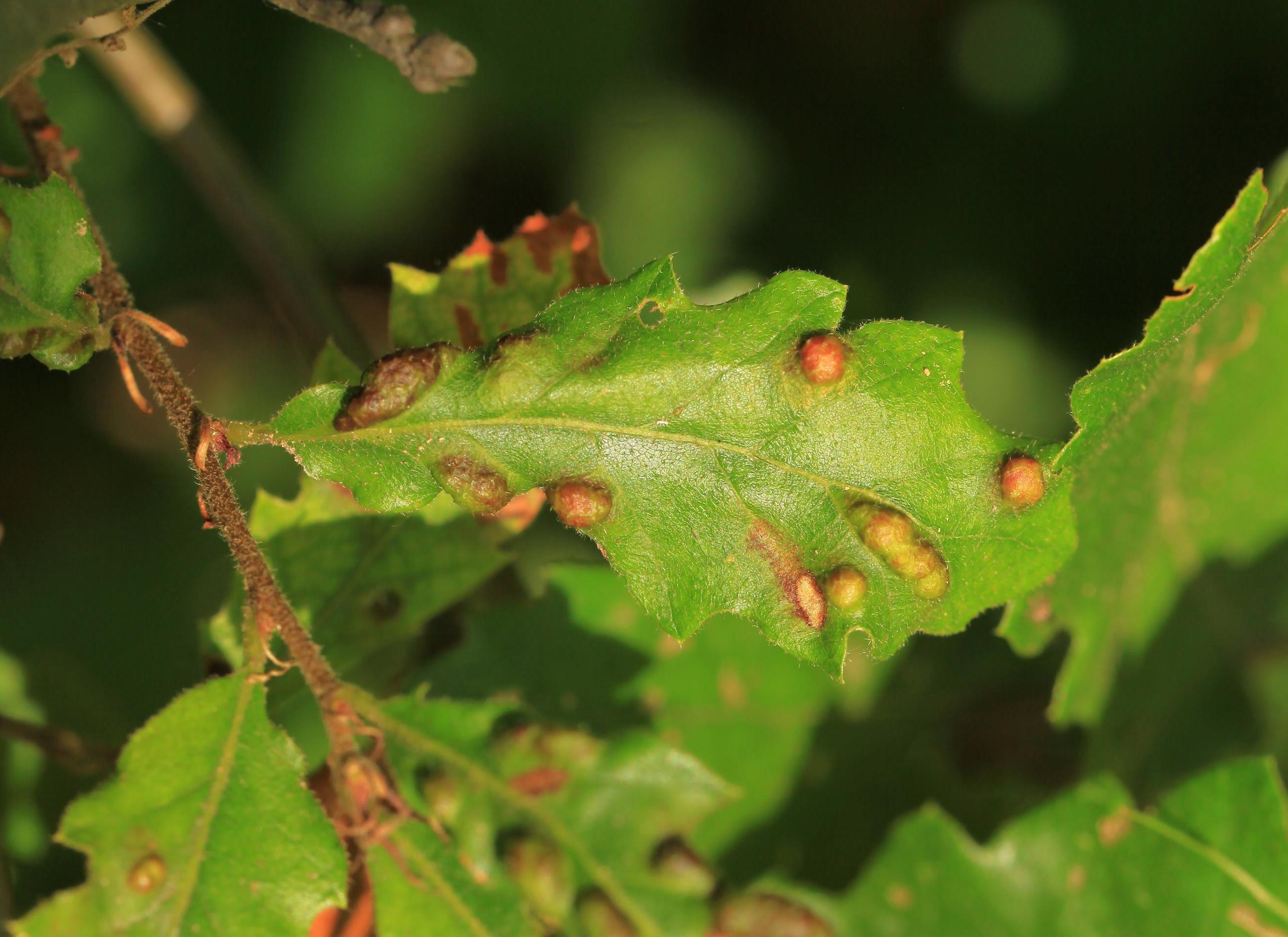
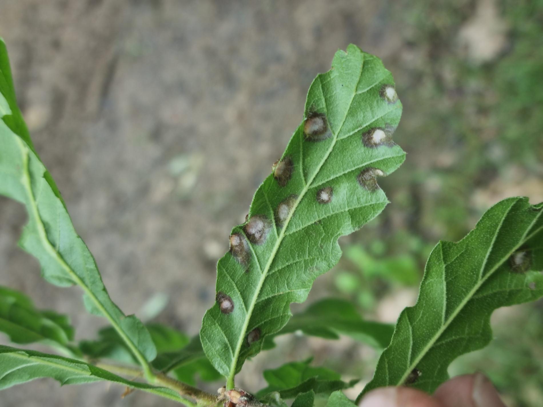
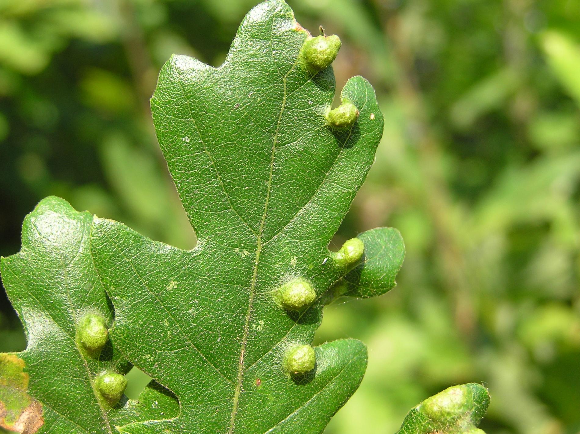
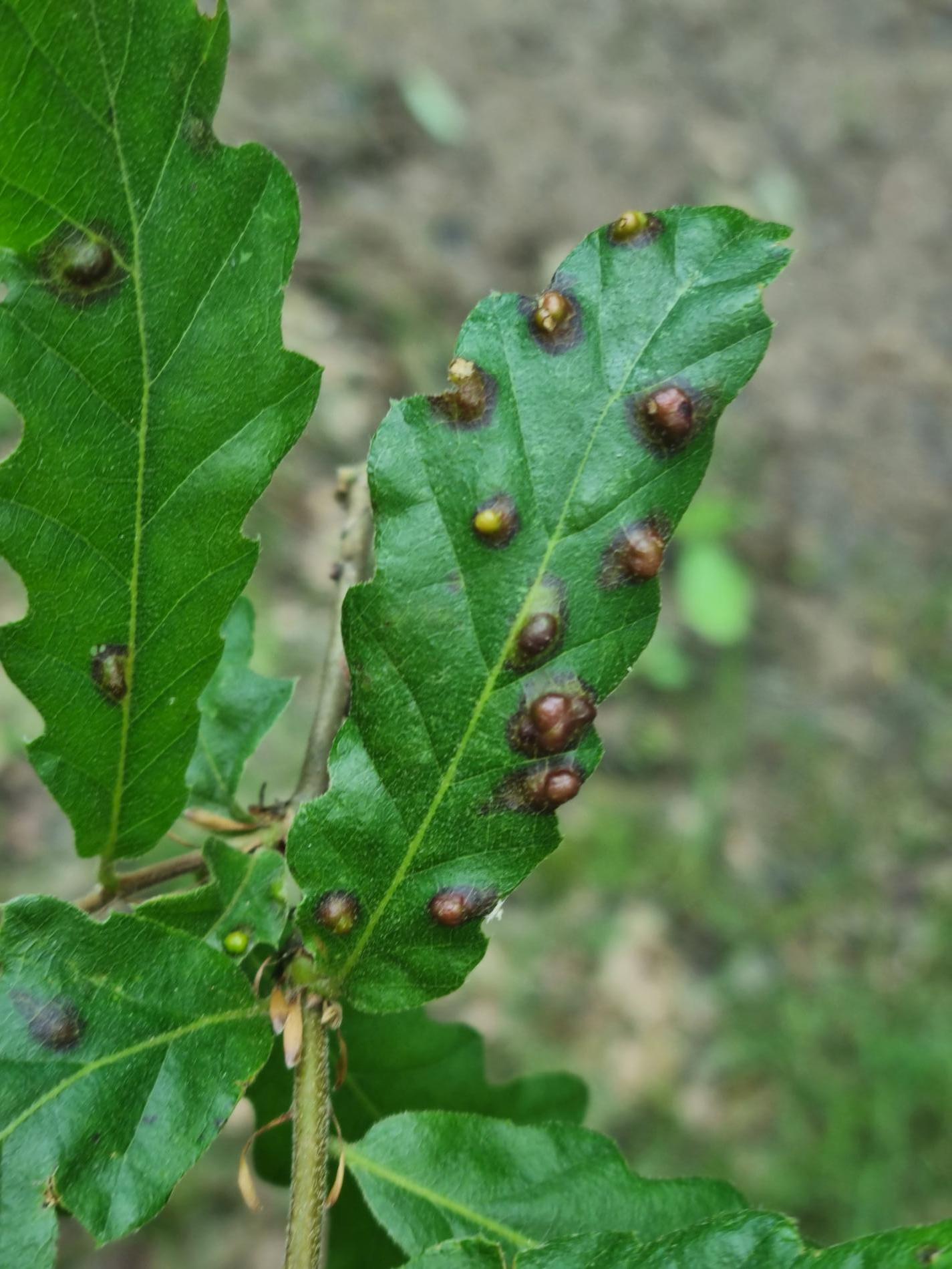
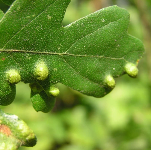
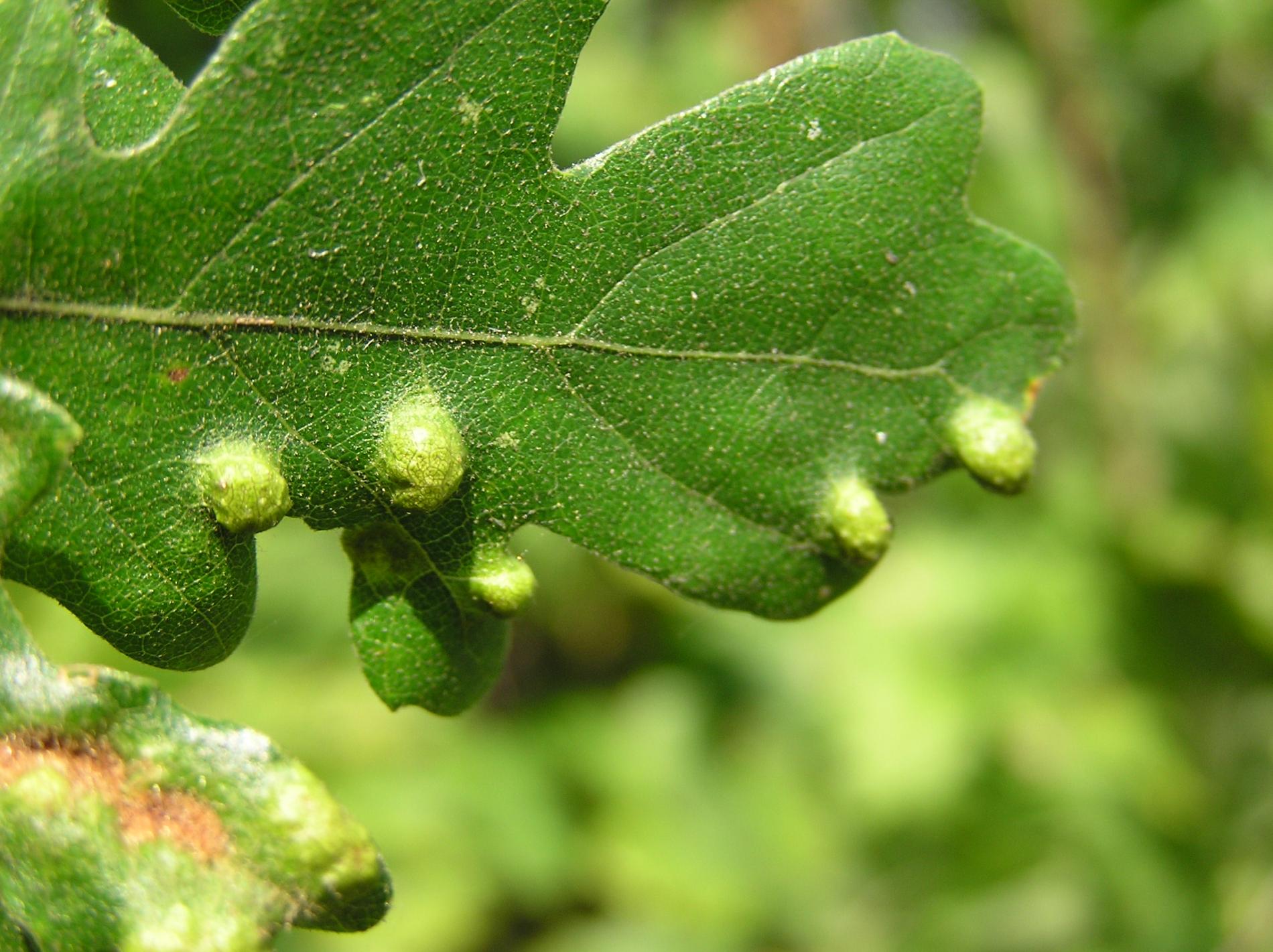
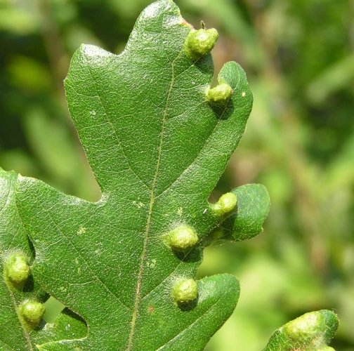
Medzi bočnými žilkami listov sa nachádzajú plstnaté, okrové, neskôr na starších listoch červenkavo hnedé povlaky. Spôsobuje ich cicanie tohto roztoča. Na vrchnej strane listu sa viditeľné zdurenia. Roztoč nie je viditeľný voľným okom.
Symptóm
Medzi bočnými žilkami listov sa nachádzajú plstnaté, okrové, neskôr červenkavo hnedé povlaky.
Ohrozené dreviny: Dub
Miesto poškodenia: List/ihlica
Významnosť: Málo významný
Kategória škodcov: Roztoče
Zistený na Slovensku: Áno
Invázny druh: Nie
Zistený v EÚ: Áno
Pridaj komentár: Roztoč Aceria cerreus
Mapa výskytu: Roztoč Aceria cerreus
náhľad mapy pre tlačLegenda:

Body verifikované expertom

Neverifikované body
Pozorovaný užívateľmi na týchto drevinách
Najviac pozorovaní druhu
Posledné pozorovania
V systéme je celkom 1 pozorovaní druhu Aceria cerreus





