en Prihlásenie | Registrácia | Zoznam prispievateľov

« Späť na výpis

Roztoč Aceria brachytarsus

Aceria brachytarsus

Popis druhu

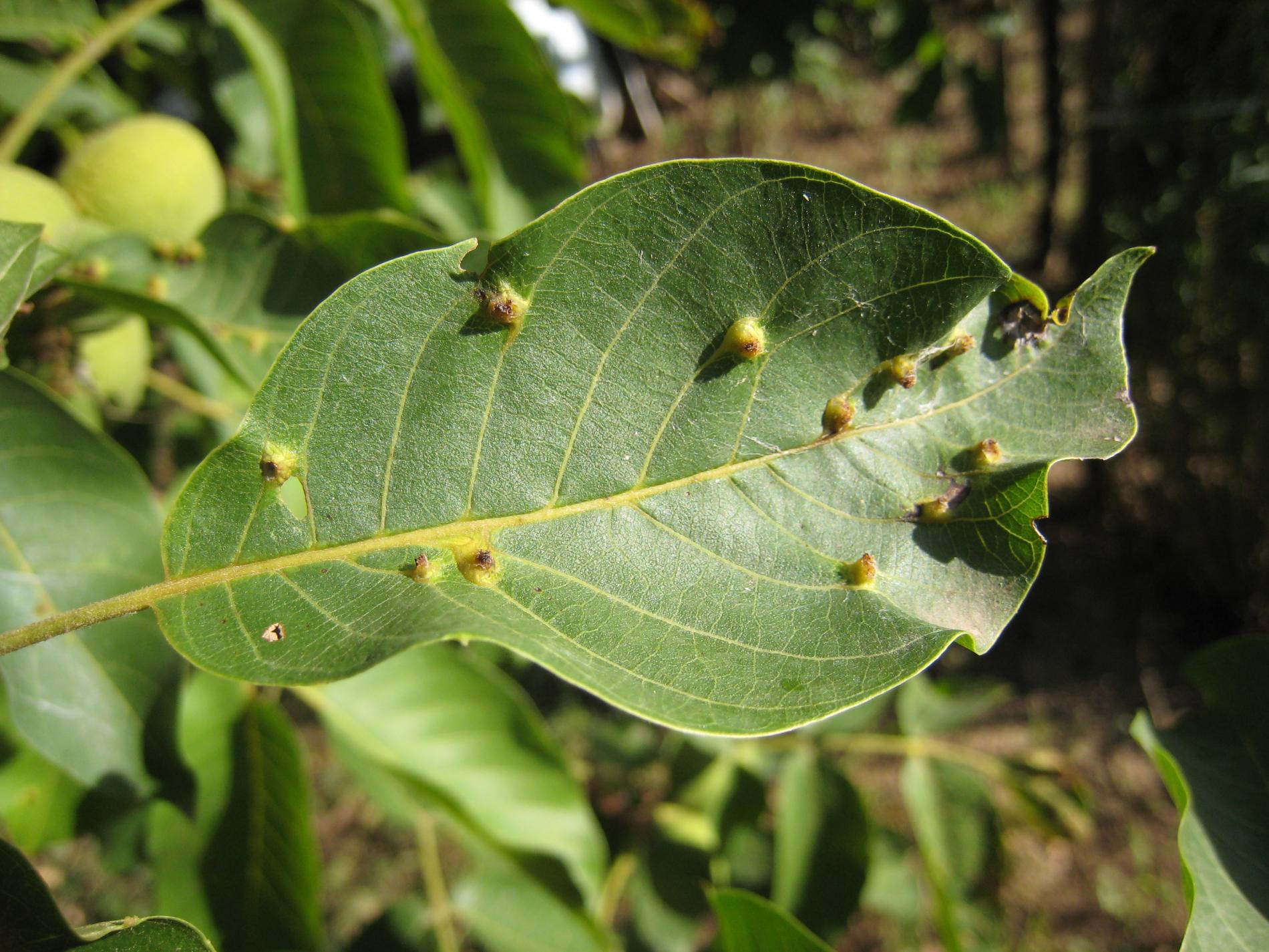
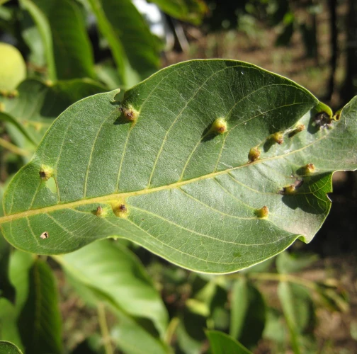
Aceria brachytarsus, je drobný roztoč z čeľade Eriophyidae, ktorý napáda orechy, najmä Juglans regia (vlašský orech) a Juglans nigra (čierny orech). Tento roztoč sa vyskytuje v niektorých častiach Severnej Ameriky, Iránu a nedávno bol zistený aj v Európe (napr. v Španielsku a Maďarsku). Na Slovensku je známy asi od roku 2005. Roztoč vytvára charakteristické hálky, viditeľné na oboch stranách listu. Tieto hálky najprv pripomínajú pľuzgiere, neskôr nadobúdajú nepravidelne zaoblený a kužeľovitý tvar, dorastajú do veľkosti až 3,6 mm (na spodnej strane listu) a majú lesklý povrch, ktorý pri dozrievaní mení farbu zo zelenej na červenkastohnedú. Hoci tento škodca významne neohrozuje zdravotný stav stromu, pri vysokom výskyte môže deformovať listy a znižovať estetický vzhľad stromu, čo môže byť problémom najmä v okrasných výsadbách.

Symptóm

Hálky sa objavujú ako lesklé, kužeľovité výrastky na vrchnej strane listov, často náhodne umiestnené medzi bočnými žilami. Na spodnej strane listov sú väčšie a viac kuželovité. Hálky môžu mať farbu od zelenej až po červenkastohnedú.

Ohrozené dreviny: Orech

Miesto poškodenia: List/ihlica

Významnosť: Málo významný

Kategória škodcov: Roztoče

Zistený na Slovensku: Áno

Invázny druh: Áno

Zistený v EÚ: Áno


Pridaj komentár: Roztoč Aceria brachytarsus


Mapa výskytu: Roztoč Aceria brachytarsus

Legenda:

1

Body verifikované expertom

3

Neverifikované body


Podobné poškodenie

Roztoč Aceria erinea

Roztoč Aceria erinea

Marsonína orechová

Marsonína orechová

Roztoč Aceria ilicis

Roztoč Aceria ilicis

Psotka orechová

Psotka orechová

Návrat hore