Puklica dubová
Parthenolecanium rufulum
Popis druhu
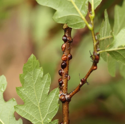
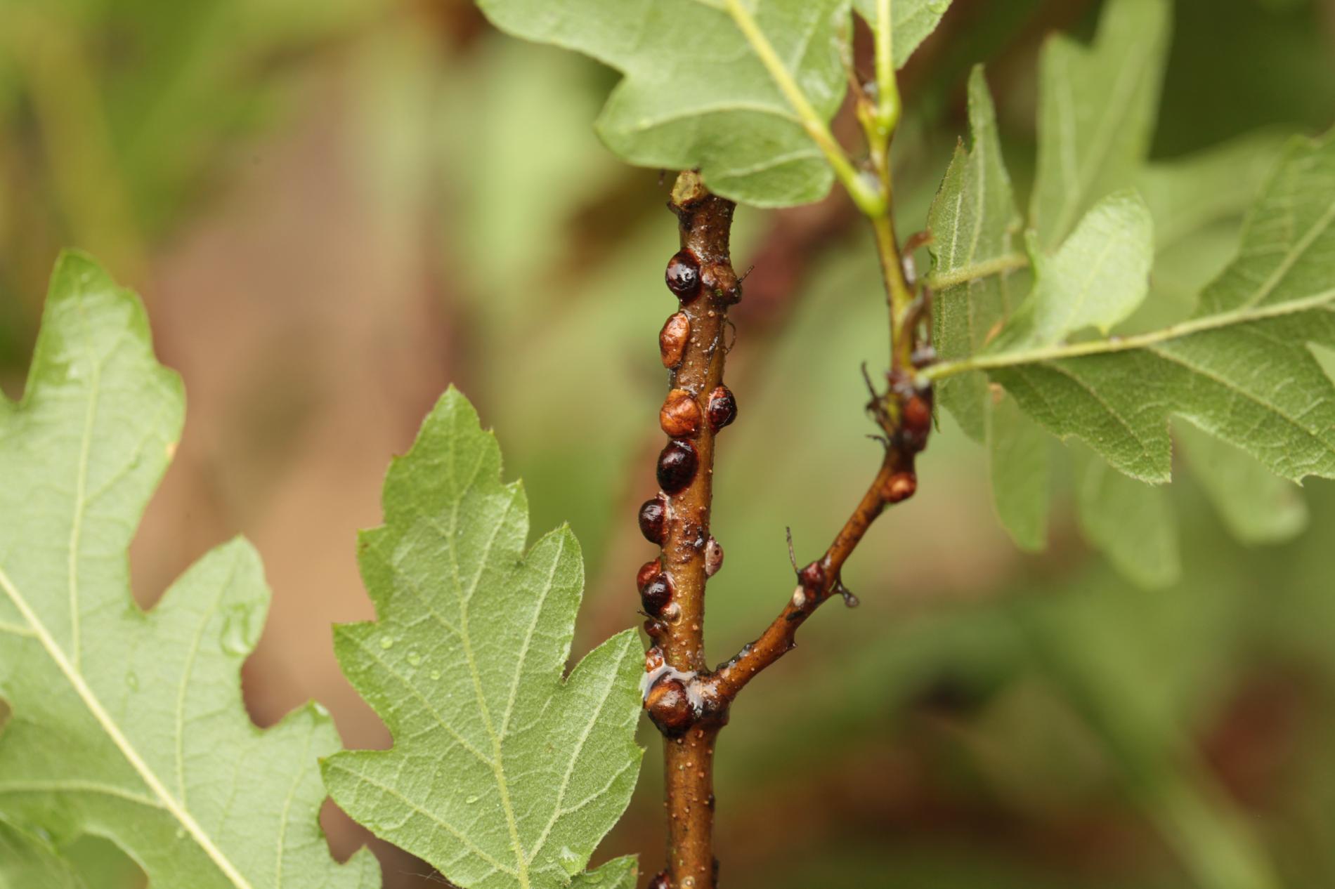
Na výhonkoch dubov sú prítomné okrúhle, štítkom podobné, hnedé, asi 3 – 4 mm veľké útvary. Tvorí ich samička tohto červca na kôre dubov (preferuje mladšie stromy do veku 10 rokov). Kladie pod ne v júli množstvo vajíčok. Larvy prezimujú v záhyboch kôry alebo na iných skrytých miestach. V priebehu jari dospievajú a menia sa na dospelé samičky. Vyskytuje sa hojne v dubových porastoch južných okresov. Príbuzný druh, puklica slivková Parthenolecanium corni Bouche žije aj na iných listnatých drevinách vrátane ovocných stromov.
Symptóm
Hnedé, okrúhle, asi 3 – 4 mm veľké útvary na výhonkoch.
Ohrozené dreviny: Agát, Brest, Buk, Dub, Gaštan, Hrab, Lieska, Ruža
Miesto poškodenia: Vetva
Významnosť: Málo významný
Kategória škodcov: Hmyz
Zistený na Slovensku: Áno
Invázny druh: Nie
Zistený v EÚ: Áno
Pridaj komentár: Puklica dubová
Mapa výskytu: Puklica dubová
náhľad mapy pre tlačLegenda:

Body verifikované expertom

Neverifikované body
Pozorovaný užívateľmi na týchto drevinách
Najviac pozorovaní druhu
Posledné pozorovania
V systéme je celkom 2 pozorovaní druhu Parthenolecanium rufulum
Parthenolecanium rufulum Puklica dubová
Martina Petrikova
Počet hlasov: 0
Uverejnené: 21.5.2018
Drevina: Tis





