Psotka Acrocercops brongniardella
Acrocercops brongniardella
Popis druhu
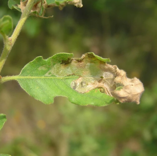
Acrocercops brongniardella je malý motýľ z čeľade Gracillariidae s rozpätím krídel 8–10 mm. Tento druh je rozšírený v Európe vrátane Turecka a primárne napáda duby (Quercus spp.), ako sú Quercus ilex, Quercus robur (dub letný) a Quercus cerris (dub cerový). Príležitostne sa môže vyskytovať aj na Castanea sativa (gaštan jedlý). Larvy vytvárajú na hornom povrchu listov nepravidelné, veľké, striebristo-biele škvrny, ktoré sa môžu spájať a spôsobiť tak výrazné estetické poškodenie napadnutého lístia. Hoci pôsobenie lariev zriedkavo ovplyvňuje zdravotný stav stromu, môže výrazne znižovať okrasnú hodnotu dubov, najmä v záhradách a parkoch.
Symptóm
Listy vykazujú nepravidelné, veľké striebristo-biele škvrny na hornej strane. Tieto škvrny často pokrývajú značnú časť listu. Mína začína najskôr kľukatou tenkou linkou, neskôr sa zväčšuje do plošnej míny.
Ohrozené dreviny: Dub, Gaštan
Miesto poškodenia: List/ihlica
Významnosť: Málo významný
Kategória škodcov: Hmyz
Zistený na Slovensku: Áno
Invázny druh: Nie
Zistený v EÚ: Áno
Pridaj komentár: Psotka Acrocercops brongniardella
Mapa výskytu: Psotka Acrocercops brongniardella
Legenda:

Body verifikované expertom

Neverifikované body




