en Prihlásenie | Registrácia | Zoznam prispievateľov

« Späť na výpis

Psota brezová

Anacampsis blattariella

Popis druhu

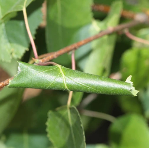
Psota brezová Anacampsis blattariella, bežne známa ako škodca briez, je nočný motýľ patriaci do čeľade Gelechiidae. Vyskytuje sa bežne v celej Európe, s výnimkou Írska, Pyrenejského polostrova a väčšiny Balkánskeho polostrova. Psota brezová Anacampsis blattariella má rozpätie krídel od 16 do 19 mm. Imága sú sivé a možno ich pozorovať počas júla a septembra. Larvy Anacampsis blattariella sa primárne živia listami rôznych druhov briez Betula spp. Larvy možno zvyčajne nájsť v mesiacoch máj a jún. Vykazujú jedinečné správanie, pri ktorom rolujú list svojej hostiteľskej rastliny prevažne (ale nie výlučne) pozdĺž stredového rebra, čím vytvárajú chránenú oblasť kŕmenia. Po dokončení larválneho štádia sa v liste zakuklia.

Symptóm

Vykazujú jedinečné správanie, pri ktorom rolujú list svojej hostiteľskej rastliny prevažne (ale nie výlučne) pozdĺž stredového rebra, čím vytvárajú chránenú oblasť kŕmenia. Veľmi typické je to, že list drží takto zrolovaný pomocou krátkych bielych úväzkov z bielych vlákien, ktoré používa húsenica na spevnenie listovej rolky. Toto je typické aj pre iné druhy rodu Gelechidae a nevyskytuje sa u druhov rodu Tortricidae, ktoré tiež stáčajú listy podobným spôsobom.

Ohrozené dreviny: Breza

Miesto poškodenia: List/ihlica

Významnosť: Málo významný

Kategória škodcov: Hmyz

Zistený na Slovensku: Áno

Zistený v EÚ: Áno


Pridaj komentár: Psota brezová


Mapa výskytu: Psota brezová

Legenda:

1

Body verifikované expertom

3

Neverifikované body


Podobné poškodenie

Puklica dubová

Puklica dubová

Psotka agátová

Psotka agátová

Lupeňovka brezová

Lupeňovka brezová

Psota americká

Psota americká

Návrat hore