Priadzovček olivový
Prays oleae
Popis druhu
Priadzovček olivový Prays oleae, je malý motýľ s rozpätím krídel 11–13 mm. Predné krídla sú sivé so strieborným odtieňom a rozptýlenými tmavými škvrnami. Vyskytuje sa najmä v oblasti Stredozemného mora a príležitostne aj v južnej strednej Európe, aj keď tam len ťažko prežije drsné zimné podmienky. Larvy tohto druhu sú významnými škodcami, najmä olivovníkov (Olea europaea). Larva po vyliahnutí vytvorí krátku úzku chodbičku na vrchu listu a neskôr na inom mieste na liste vytvoria nepravidelnú, hlbokú mínu - požerok. Larvy sa v týchto miestach aj zakuklia. Na jar prvá generácia lariev poškodzuje listy, zatiaľ čo druhá a tretia generácia môže napadnúť aj kvety a plody. Každá samica môže po spárení naklásť viac ako 200 vajec a tento druh má zvyčajne tri generácie za rok.
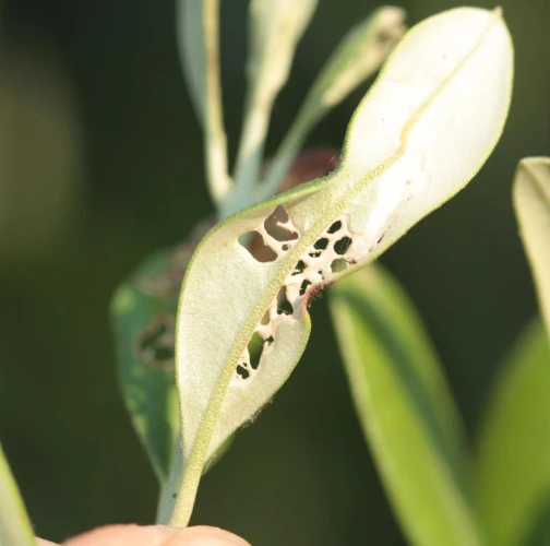
Symptóm
Mína na liste. Požerok, trus. Malá húsenice.
Ohrozené dreviny: Oliva
Miesto poškodenia: List/ihlica, Plod/Semeno
Významnosť: Veľmi významný
Kategória škodcov: Hmyz
Zistený na Slovensku: Nie
Invázny druh: Nie
Zistený v EÚ: Áno
Pridaj komentár: Priadzovček olivový
Mapa výskytu: Priadzovček olivový
náhľad mapy pre tlačLegenda:

Body verifikované expertom

Neverifikované body
Najviac pozorovaní druhu
Posledné pozorovania
V systéme je celkom 1 pozorovaní druhu Prays oleae





