en Prihlásenie | Registrácia | Zoznam prispievateľov

« Späť na výpis

Plôškavec krušinový

Bucculatrix frangutella

Popis druhu

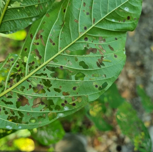
Bucculatrix frangutella je drobný motýľ z čeľade Bucculatricidae, ktorého húsenice sa vyvíjajú na krušine (Frangula alnus) a rašetliaku prečisťujúcom (Rhamnus cathartica). Druh má do roka jednu generáciu a prezimuje v štádiu kukly v typickom rebrovanom kokóne. Dospelce lietajú v júni a júli. Mladé húsenice tvoria nápadné špirálovité chodby na listoch, vyplnené tmavým trusom, neskôr mínu opúšťajú a živia sa na spodnej strane listov a spôsobujú drobné okienkovité požerky. Druh je rozšírený v Európe na lokalitách s výskytom krušiny a rašetliaku. Intenzita napadnutia zvyčajne nebýva silná, no pri silnom výskyte sa okienka môžu spájať do väčších dier a miestami môže dôjsť k väčšiemu poškodeniu listov, čo znižuje estetický vzhľad krov.

Symptóm

Na listoch sú špirálovité chodby s tmavým trusom; neskôr drobné priehľadné okienka na spodnej strane listov, ktoré s môžu spájať tak, že zostávajú len žilky.

Ohrozené dreviny: Krušina, Rašetliak

Miesto poškodenia: List/ihlica

Významnosť: Málo významný

Kategória škodcov: Hmyz

Zistený na Slovensku: Áno

Invázny druh: Nie

Zistený v EÚ: Áno


Pridaj komentár: Plôškavec krušinový


Mapa výskytu: Plôškavec krušinový

náhľad mapy pre tlač

Legenda:

1

Body verifikované expertom

3

Neverifikované body

 

Najviac pozorovaní druhu


Posledné pozorovania

V systéme je celkom 1 pozorovaní druhu Bucculatrix frangutella


Podobné poškodenie

Ploskáčik Phyllonorycter heegeriella

Ploskáčik Phyllonorycter heegeriella

Ploskáčik agátový

Ploskáčik agátový

Plôškavec lipový

Plôškavec lipový

Pľuzgiernička

Pľuzgiernička

Návrat hore