Ploskáčik dubinový
Phyllonorycter roboris
Popis druhu
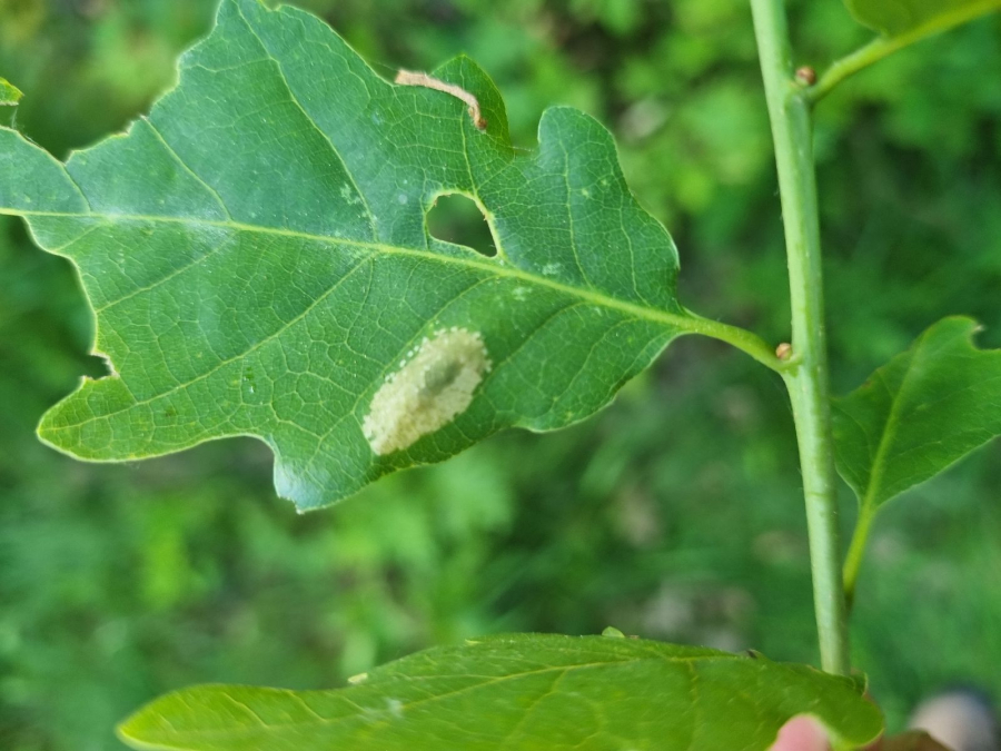
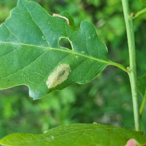
Oválna mína na spodnej strane listu sťahuje list k sebe a vytvára mierne vypuklé miesto, ktoré z vrchnej strany vyzerá ako malý ostrovček v strede oválu. Húsenica sa kuklí v míne a motýľ ju opúšťa okrúhlym otvorom. Veľmi častá všade spolu s dubom.
Symptóm
Vytvára mierne vypuklé miesto, ktoré z vrchnej strany vyzerá ako malý ostrovček v strede oválu.
Ohrozené dreviny: Dub
Miesto poškodenia: List/ihlica
Významnosť: Málo významný
Kategória škodcov: Hmyz
Zistený na Slovensku: Áno
Invázny druh: Nie
Zistený v EÚ: Áno
Pridaj komentár: Ploskáčik dubinový
Mapa výskytu: Ploskáčik dubinový
náhľad mapy pre tlačLegenda:

Body verifikované expertom

Neverifikované body
Pozorovaný užívateľmi na týchto drevinách
Najviac pozorovaní druhu
Posledné pozorovania
V systéme je celkom 1 pozorovaní druhu Phyllonorycter roboris




