en Prihlásenie | Registrácia | Zoznam prispievateľov

« Späť na výpis

Ploskáčik agátový

Macrosaccus robiniella

Popis druhu

Drobný motýľ s rozpätím krídel 0,6 cm. Predné krídla má hnedo oranžovej farby jasnejšie ku koncu krídel s niekoľkými bielymi pásikmi. Spodné krídla sú striebristé, na okraji rozstrapkané. Larva v dospelosti dorastá do dĺžky 0,5 cm.

Motýľ pravdepodobne prezimuje ako kukla, alebo ako imágo. V máji a začiatkom júna dospelce zakladjú nové pokolenie. Po spárení samičky kladú na spodnú stranu listov v blízkosti bočných žiliek vajíčka.  Húsenice sa po vyliahnutí zavŕtajú do parenchymatických pletív listu kde žerom vytvárajú typické požerky tzv. míny. Míny sa objavujú koncom mája a  amv polovici júna sa húsenice kuklia. Motýľ má u nás pravdepodobne dve generácie, v teplejších častiach Európy až 3 generácie.  Druhá generácia sa objavuje až v septembri a októbri, zvyčajne býva veľmi početná.

Druh pochádza zo Severnej Ameriky, rovnako ako jeho hostiteľská drevina agát biely. Prvý nález bol popísaný zo Švajčiarska (Basel), z roku 1983. Neskôr bol nájdený vo Francúzsku, Nemecku, Taliansku (1988), Rakúsku (1989). Na Slovensku bol objavený v roku 1992. V 90-tych rokoch minulého storočia gradovalo jeho rozšírenie v Európe. Často sa vyskytuje spolu s druhom Parectopa robiniella, ktorý spôsobuje podobné poškodenie listov agáta.

Poškodenie je možné zameniť s iným príbuzným druhom, psotkou agátovou (Parectopa robiniella), ktorý spôsobuje veľmi podobné poškodenie, ale míny sa objavujú v centrálnej časti hornej strany listov. Ohrozené sú všetky lokality výskytu agáta bieleho u nás (s výnimkou najvyššie položených ojedinelých miest výskytu tejto dreviny).

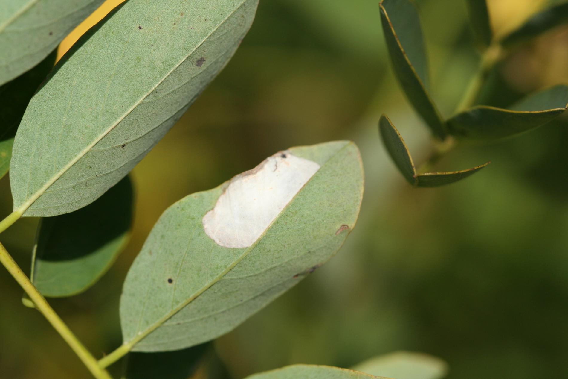
Symptóm

Na začiatku napadnutia sa poškodenie týmto monofágom prejavuje ako malé, neskôr väčšie bledé škvrny na spodnej strane listov agátov bielych (Robinia pseudoacacia), koncom mája a začiatkom júna. Míny neprekračujú stredovú žilku. Neskôr sa tieto škvrny zväčšujú, a koncom septembra je obyčajne celá spodná strana listu silne poškodená. V dôsledku defoliácie bol už v auguste pozorovaný predčasný opad listov.

Ohrozené dreviny: Agát

Miesto poškodenia: List/ihlica

Významnosť: Málo významný

Kategória škodcov: Hmyz

Zistený na Slovensku: Áno

Invázny druh: Áno

Zistený v EÚ: Áno


Pridaj komentár: Ploskáčik agátový


Mapa výskytu: Ploskáčik agátový

náhľad mapy pre tlač

Legenda:

1

Body verifikované expertom

3

Neverifikované body

Pozorovaný užívateľmi na týchto drevinách

 

Najviac pozorovaní druhu


Posledné pozorovania

V systéme je celkom 3 pozorovaní druhu Macrosaccus robiniella

Marián Slamka

Macrosaccus robiniellaPloskáčik agátový
Marián Slamka
Počet hlasov: 0
Uverejnené: 22.10.2023
Drevina: Agát


Podobné poškodenie

Drobnomúčka dubová

Drobnomúčka dubová

Byľomor agátový

Byľomor agátový

Ploskáčik lipový

Ploskáčik lipový

Psotka agátová

Psotka agátová

Návrat hore