en Prihlásenie | Registrácia | Zoznam prispievateľov

« Späť na výpis

Plodomorka Dasineura fraxini

Dasineura fraxini

Popis druhu

Plodomorka Dasineura fraxini je druh muchy, ktorá vytvára charakteristické hálky na listoch jaseňov (Fraxinus spp.), najmä Fraxinus excelsior, F. angustifolia, F. ornus a F. oxycarpa. Tento druh je rozšírený v celej Európe, kde je bežný v lesoch, parkoch a záhradách. Dasineura fraxini má zvyčajne jednu generáciu ročne v severných oblastiach (univoltínny cyklus) a dve generácie v južnejších oblastiach (bivoltínny cyklus). Larvy sa vyvíjajú v hálkach na listoch, pričom zimujú ako kukly v pôde a na jar sa objavujú dospelé muchy.

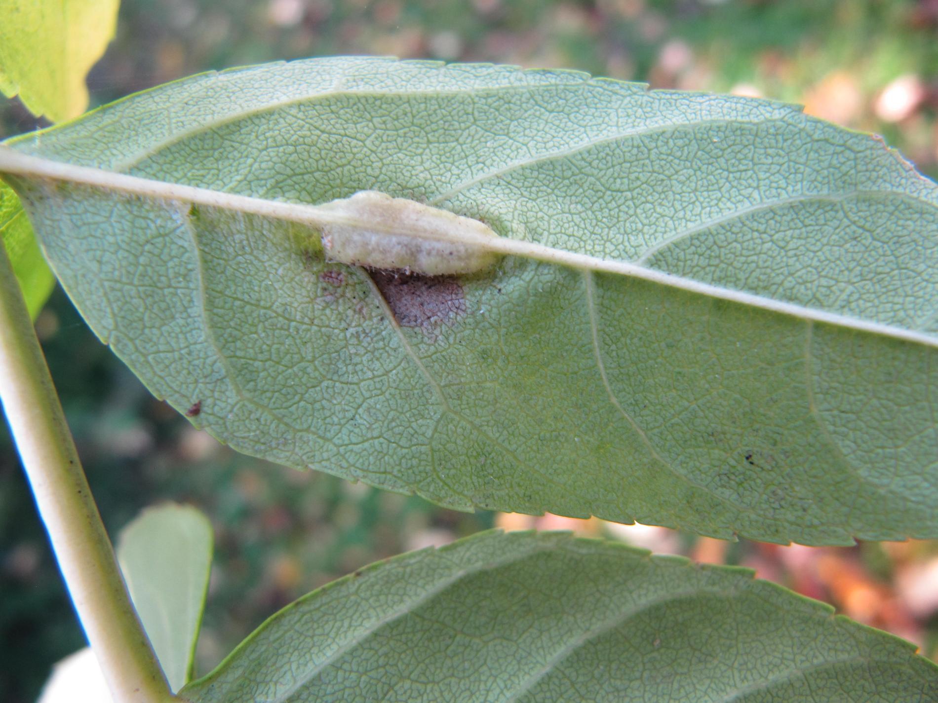
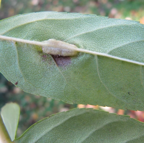
Hálky sa nachádzajú na spodnej strane listov pozdĺž hlavej žilky a tvoria úzke zelené útvary s oranžovými larvami vo vnútri. Na hornej strane listov možno pozorovať štrbinové otvory. Pri vyššej početnosti napadnutia môže dochádzať k deformáciám listov, čo znižuje ich estetickú hodnotu a oslabuje asimiláciu. Zdravé stromy však obvykle zvládajú napadnutie bez dlhodobého poškodenia.

Symptóm

Na spodnej strane listov sa tvoria úzke zelené hálky veľké 5–30 mm. Vo vnútri obsahujú oranžové larvy. Na hornej strane listov sú viditeľné štrbinové otvory. Silne napadnuté listy môžu byť zdeformované.

Ohrozené dreviny: Jaseň

Miesto poškodenia: List/ihlica

Významnosť: Málo významný

Kategória škodcov: Hmyz

Zistený na Slovensku: Áno

Invázny druh: Nie

Zistený v EÚ: Áno


Pridaj komentár: Plodomorka Dasineura fraxini


Mapa výskytu: Plodomorka Dasineura fraxini

Legenda:

1

Body verifikované expertom

3

Neverifikované body


Podobné poškodenie

Plodomorka Contarinia petioli

Plodomorka Contarinia petioli

Plodomorka Contarinia tiliarum

Plodomorka Contarinia tiliarum

Škvrnitosť listov duly

Škvrnitosť listov duly

Plodomorka Contarinia quercicola

Plodomorka Contarinia quercicola

Návrat hore