Piliarka Pontania vesicator
Pontania vesicator
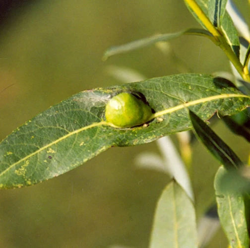
Popis druhu
Pomerne masívna, fazuli podobná hálka, ktorá vypĺňa celý priestor medzi stredovou žilkou a okrajom listu. Na jednom liste sa vyskytuje často viac hálok. Hálka môže byť až 20 – 30 mm dlhá a 15 mm široká. Spočiatku zelená, neskôr s nádychom do červena. Viditeľná na obidvoch stranách listu. Vo vnútri žije jediná, svetložltá larva. Môže mať v južnejších oblastiach až dve generácie do roka.
Symptóm
Pomerne masívna, fazuli podobná hálka, ktorá vypĺňa celý priestor medzi stredovou žilkou a okrajom listu.
Ohrozené dreviny: Vŕba
Miesto poškodenia: List/ihlica
Významnosť: Málo významný
Kategória škodcov: Hmyz
Zistený na Slovensku: Áno
Invázny druh: Nie
Zistený v EÚ: Áno
Pridaj komentár: Piliarka Pontania vesicator
Mapa výskytu: Piliarka Pontania vesicator
náhľad mapy pre tlačLegenda:

Body verifikované expertom

Neverifikované body
Pozorovaný užívateľmi na týchto drevinách
Najviac pozorovaní druhu




