Piliarka Pontania gallarum
Pontania gallarum
Popis druhu
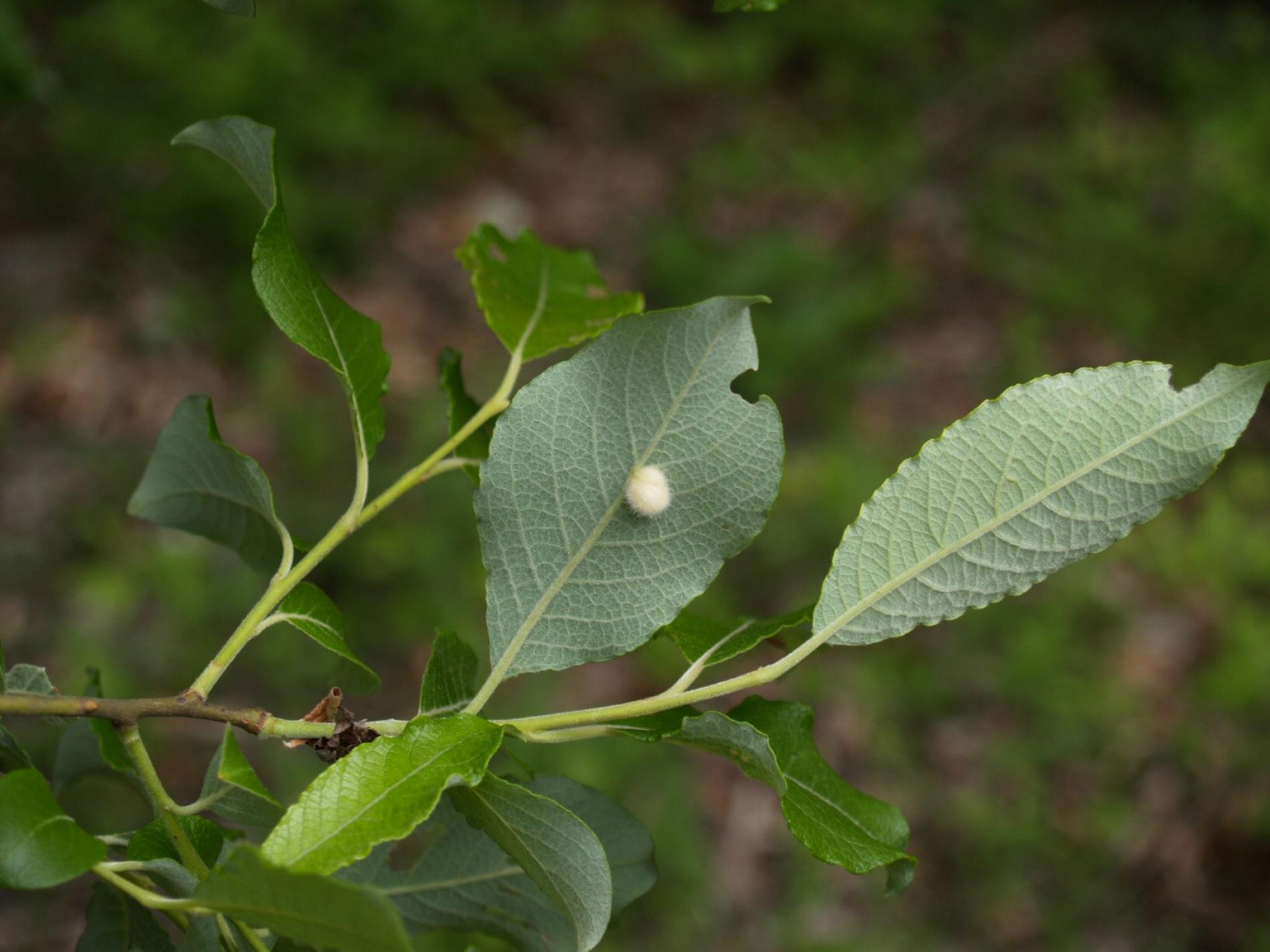
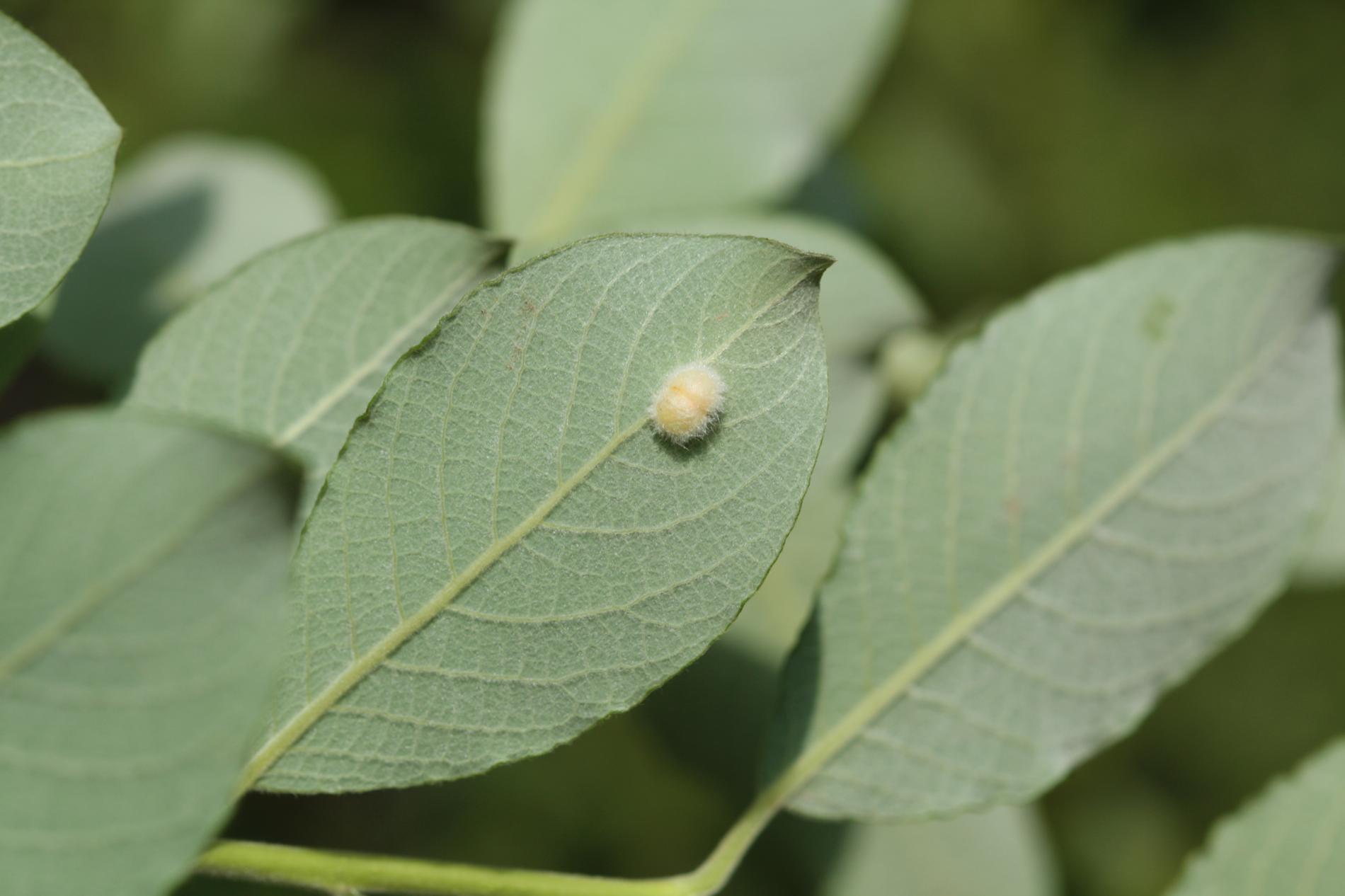
Táto piliarka vytvára hálky veľké cca do 5 mm na spodnej strane listov. Hálky sú zväčša svetlozelené, niekedy zelené alebo červené, inokedy žlté. Obyčajne viac alebo menej ochlpené. Vo vnútri žije jedna larva. Bežná na mnohých druhoch vŕb.
Symptóm
Hálky veľké cca do 5 mm na spodnej strane listov.
Ohrozené dreviny: Vŕba
Miesto poškodenia: List/ihlica
Významnosť: Málo významný
Kategória škodcov: Hmyz
Zistený na Slovensku: Áno
Invázny druh: Nie
Zistený v EÚ: Áno
Pridaj komentár: Piliarka Pontania gallarum
Mapa výskytu: Piliarka Pontania gallarum
náhľad mapy pre tlačLegenda:

Body verifikované expertom

Neverifikované body
Najviac pozorovaní druhu
Posledné pozorovania
V systéme je celkom 1 pozorovaní druhu Pontania gallarum





