Piliarka Pontania dolichura
Pontania (= Euura) dolichura
Popis druhu
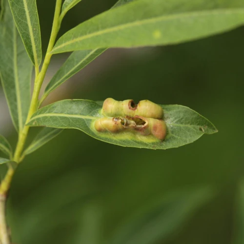
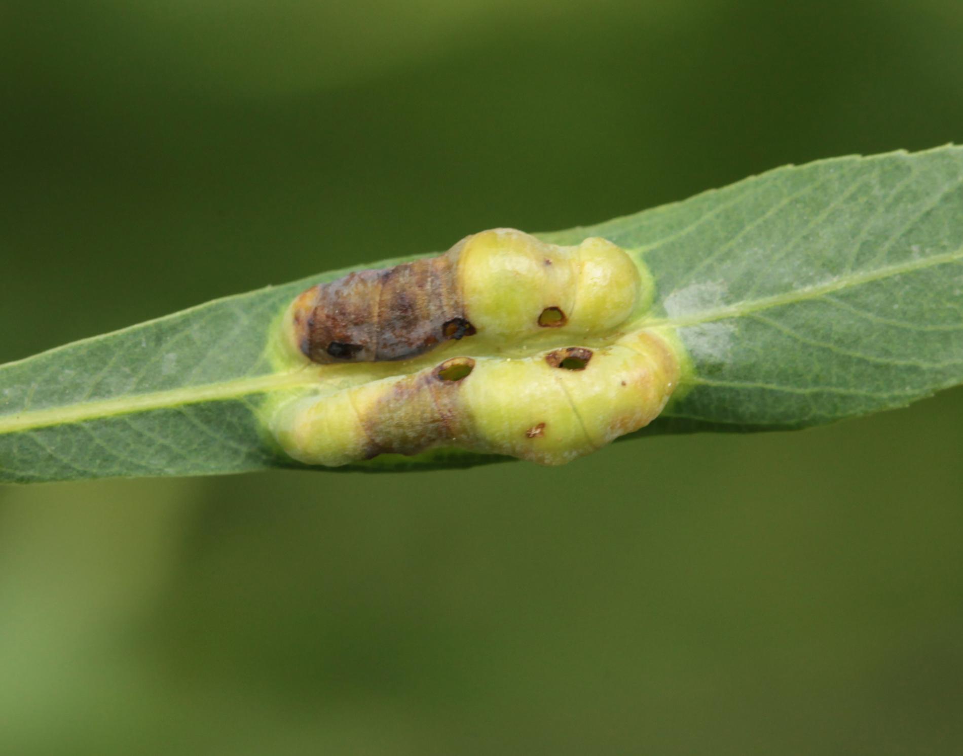
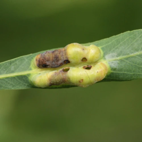
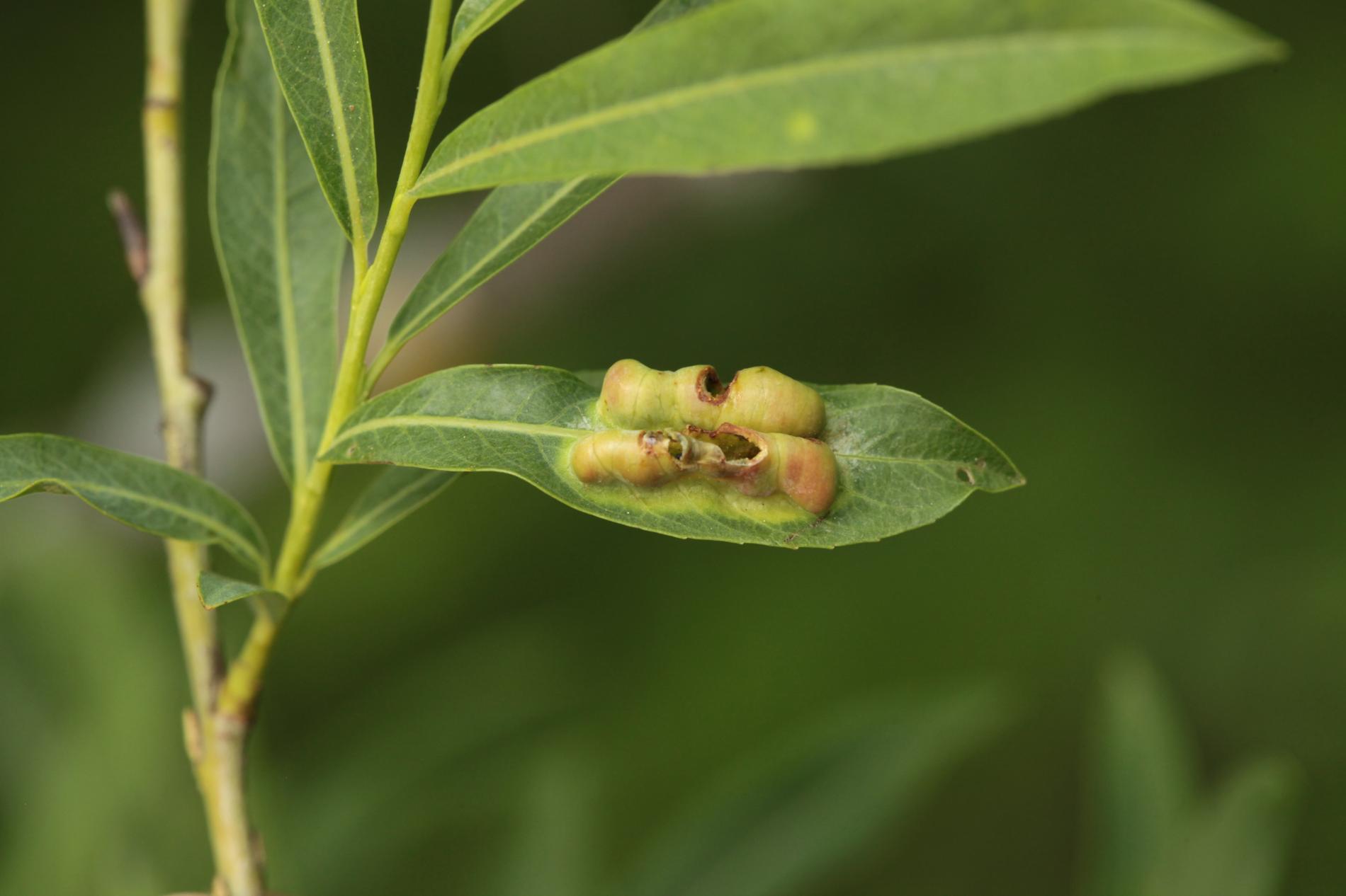
Nápadná, tmavo červená hálka, podlhovastého tvaru na liste vŕb. Dĺžka do 2 cm. Viditeľná na obidvoch stranách listu, ale výraznejšia na vrchnej strane. Vyskytuje sa v mnohých druhoch vŕb. Nikde nie je príliš častá. Hojnejšia v stredných polohách (okolo 500 m n. m.). Systematika týchto druhov je pomerne kompikovaná. Rod Pontania = Euura sa rozdeľuje na niekoľko skupín druhov, pričom skupina "dolichura" je jednou z nich. Z vyššie uvedeného vyplýva, že pokiaľ hovoríme o druhu Pontania = Euura dolichura, v skutočnosti sa viac menej jedná o skupinu druhov a môže sa teda jednať o niektorý druh z tejto skupiny.
Symptóm
Nápadná, tmavo červená hálka, podlhovastého tvaru na liste vŕb. Dĺžka do 2 cm.
Ohrozené dreviny: Vŕba
Miesto poškodenia: List/ihlica
Významnosť: Málo významný
Kategória škodcov: Hmyz
Zistený na Slovensku: Áno
Invázny druh: Nie
Zistený v EÚ: Áno
Pridaj komentár: Piliarka Pontania dolichura
Mapa výskytu: Piliarka Pontania dolichura
Legenda:

Body verifikované expertom

Neverifikované body




