en Prihlásenie | Registrácia | Zoznam prispievateľov

« Späť na výpis

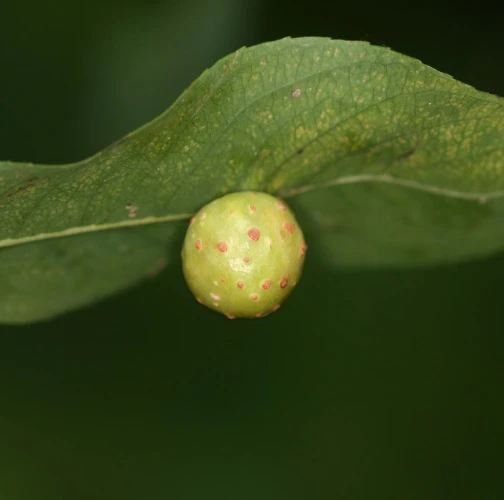
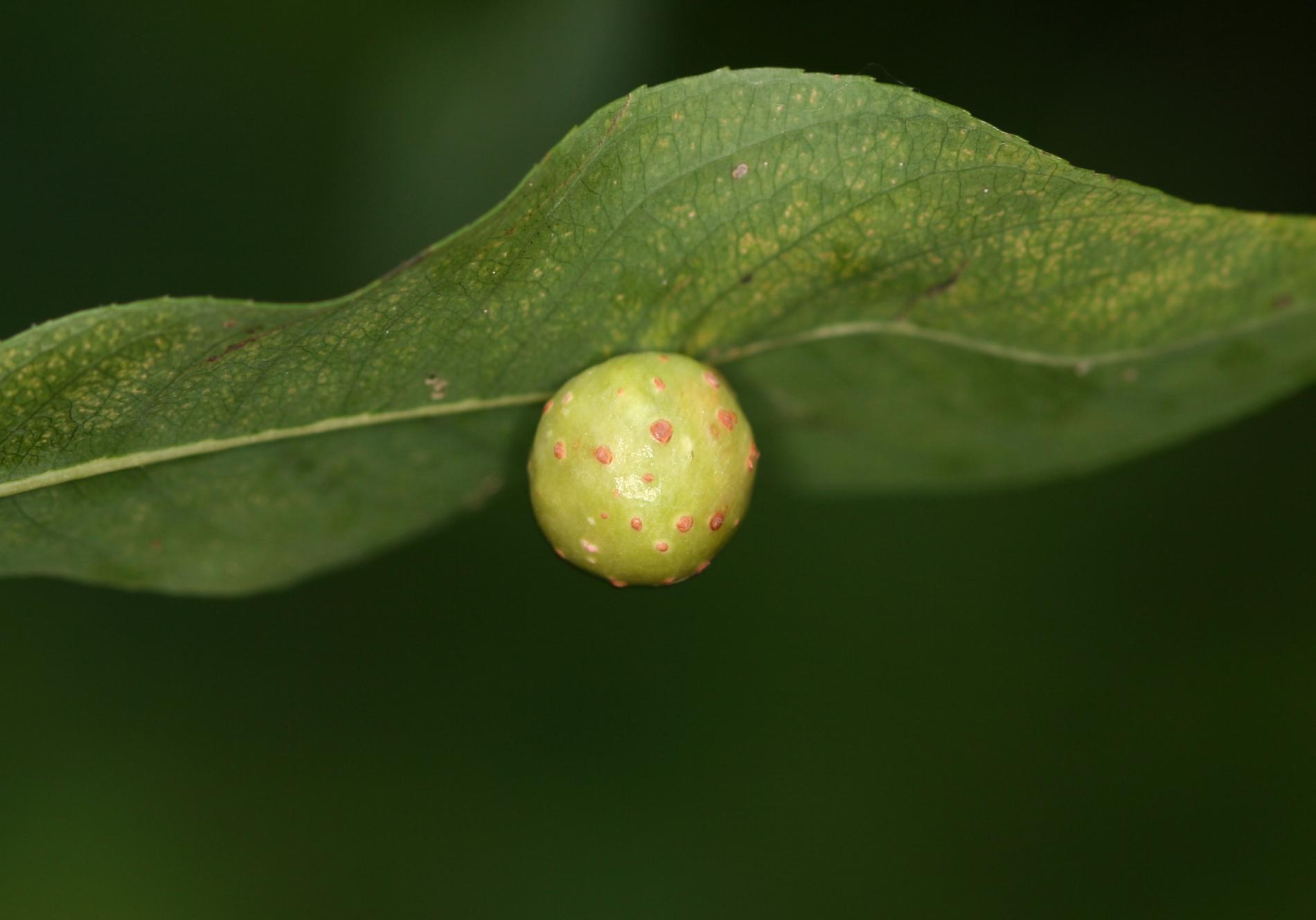
Piliarka hrčková

Pontania viminalis

Popis druhu

Piliarka hrčková vytvára hálky na spodnej strane listov rôznych vŕb. Hálky sú okrúhle, v priemere až 5 – 12 mm, rastú na spodnej strane listov, sú hladké, často bradavičnaté. Na vrchnej strane listu sa nachádza hnedastá kruhovitá priehlbina. V hálke žije jedna belavá larva, ktorá hálku opúšťa okrúhlym otvorom a kuklí sa v hrabanke.

Symptóm

Okrúhle, v priemere až 5 – 12 mm veľké hálky, rastú na spodnej strane listov, sú hladké, často bradavičnaté.

Ohrozené dreviny: Vŕba

Miesto poškodenia: List/ihlica

Kategória škodcov: Hmyz

Zistený na Slovensku: Áno

Invázny druh: Nie

Zistený v EÚ: Áno


Pridaj komentár: Piliarka hrčková


Mapa výskytu: Piliarka hrčková

náhľad mapy pre tlač

Legenda:

1

Body verifikované expertom

3

Neverifikované body

Pozorovaný užívateľmi na týchto drevinách

 

Najviac pozorovaní druhu


Posledné pozorovania

V systéme je celkom 1 pozorovaní druhu Pontania viminalis

Marián Slamka

Pontania viminalisPiliarka hrčková
Marián Slamka
Počet hlasov: 0
Uverejnené: 8.10.2024
Drevina: Vŕba

majo

Pontania viminalisPiliarka hrčková
majo
Počet hlasov: 0
Uverejnené: 8.10.2024
Drevina: Vŕba


Podobné poškodenie

Piliarka Fenusella nana

Piliarka Fenusella nana

Piliarka lipová

Piliarka lipová

Hrčiarka Andricus albipes

Hrčiarka Andricus albipes

Hrdza korunová

Hrdza korunová

Návrat hore