Pierkavec šípkový
Cnaemidophorus rhododactyla
Popis druhu
Pierkavec šípkový Cnaemidophorus rhododactyla, je malý motýľ, ktorý patrí do čeľade Pterophoridae v rámci nadčeľade Pterophoroidea. Vyskytuje sa v celej severnej pologuli, okrem Grónska, juhovýchodnej Ázie a väčšiny severnej Afriky. Motýľ má rozpätie krídiel 18–26 mm a je známy svojimi charakteristickými tvarmi krídiel. Larvy sa vyliahnu na jeseň a spočiatku sa živia listami ruží, pričom prezimujú v stonke. V máji začínajú znova kŕmiť na listoch, kvetných pukoch a kvetoch. Motýle sú aktívne v júli a auguste. Žije na ružiach, napríklad na Rosa rugosa, Rosa canina, Rosa dumalis, Rosa spinosissima a Rosa subcanina. Larvy sa kuklia v jemnom pavučinovom kokone na hostiteľskej rastline. Nie sú veľmi bežné a môžu byť len lokálne početnejšie.
Symptóm
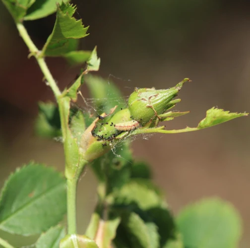
Larvy sú jemne chlpaté, slimákovité a nachádzajú sa na listoch alebo v blízkosti pukov. Vytvárajú jemné pavučinové siete s fragmentami trusu okolo seba.
Ohrozené dreviny: Ruža
Miesto poškodenia: List/ihlica
Významnosť: Málo významný
Kategória škodcov: Hmyz
Zistený na Slovensku: Áno
Invázny druh: Nie
Zistený v EÚ: Áno
Pridaj komentár: Pierkavec šípkový
Mapa výskytu: Pierkavec šípkový
Legenda:

Body verifikované expertom

Neverifikované body




