en Prihlásenie | Registrácia | Zoznam prispievateľov

« Späť na výpis

Peniarka vŕbová

Aphrophora salicina

Popis druhu

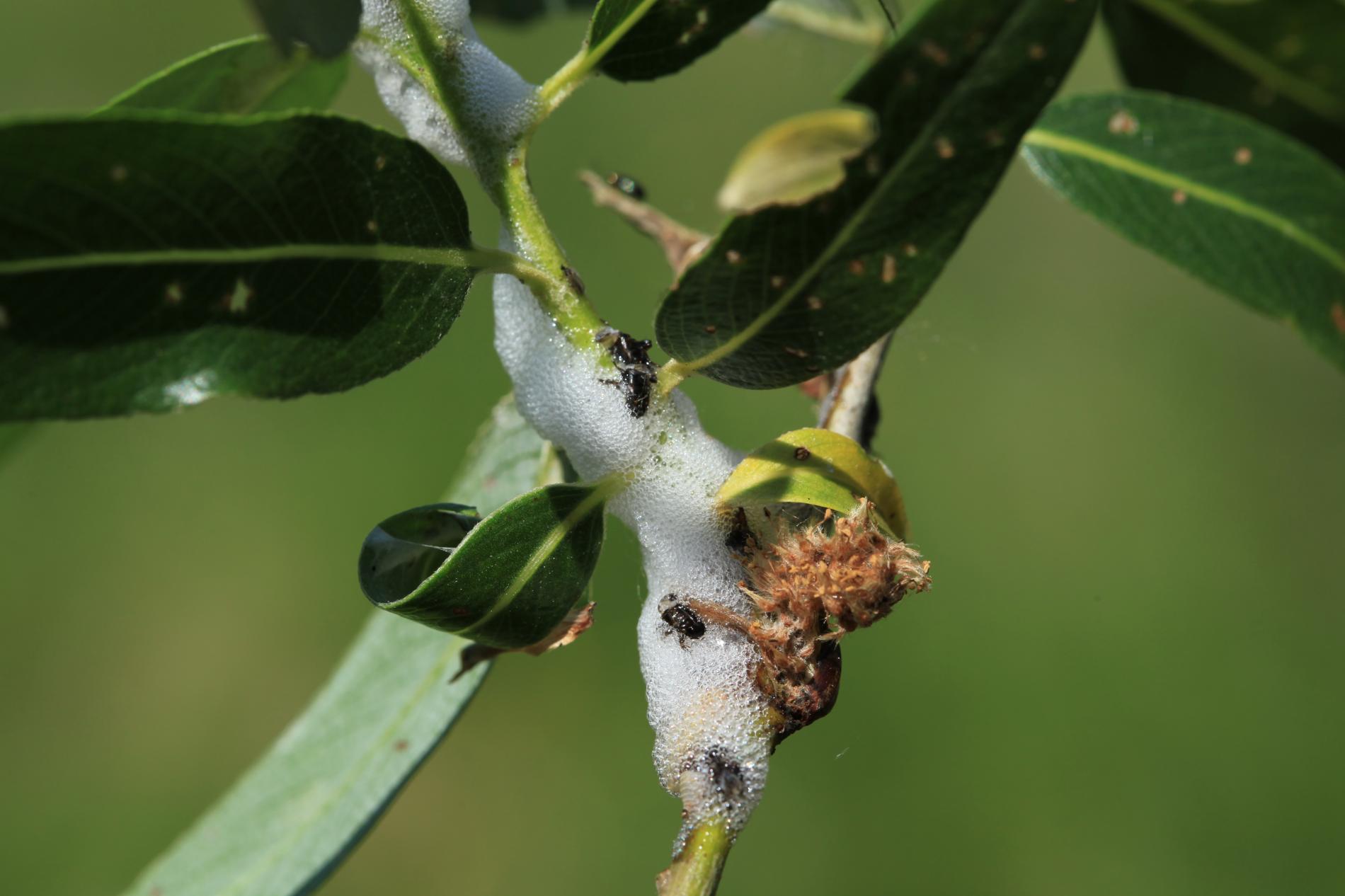
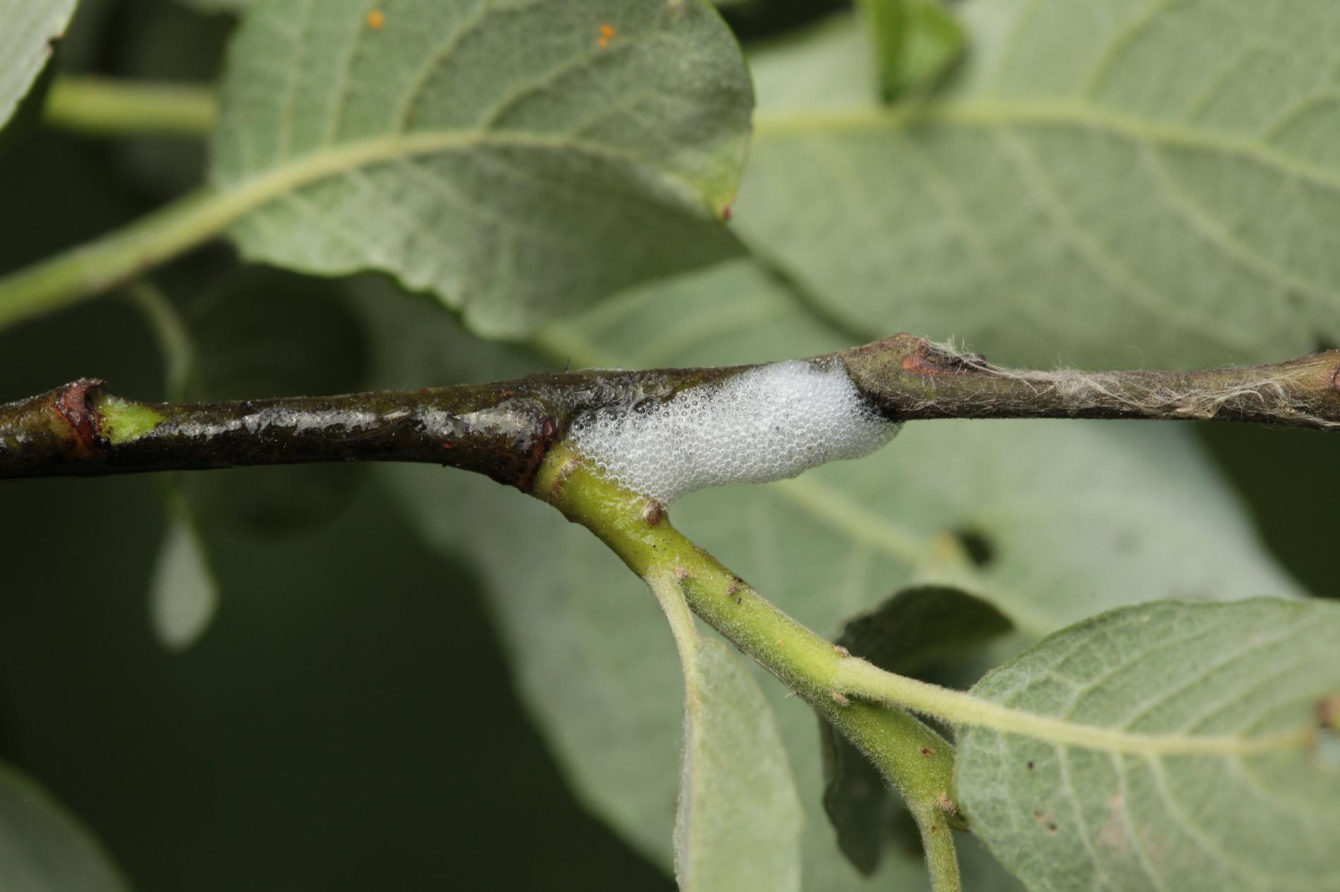
Výskyt peniarok je nápadný podľa slinovitých, penovitých útvarov, ktoré vytvárajú larvy na miestach cicania. Pri silnom výskyte pod napadnutými stromami „prší“ aj počas slnečného počasia. To kvapká tekutina z penovitých útvarov. V nich žijú larvy, ktoré svojou činnosťou môžu oslabovať stromy a spôsobovať škody na košikárskych vŕbach. Dospelá peniarka je asi 1 cm veľký hmyz patriaci medzi cikády.

Symptóm

Larvy a imága pod vrstvou peny. V porastoch s výskytom škodcu často padajú drobné kvapky na zem. 

Ohrozené dreviny: Topoľ, Vŕba

Miesto poškodenia: List/ihlica

Významnosť: Významný

Kategória škodcov: Hmyz

Zistený na Slovensku: Áno

Invázny druh: Nie

Zistený v EÚ: Áno


Pridaj komentár: Peniarka vŕbová


Mapa výskytu: Peniarka vŕbová

náhľad mapy pre tlač

Legenda:

1

Body verifikované expertom

3

Neverifikované body

Pozorovaný užívateľmi na týchto drevinách

 


Posledné pozorovania

V systéme je celkom 10 pozorovaní druhu Aphrophora salicina

milan

Aphrophora salicina Peniarka vŕbová
milan
Počet hlasov: 0
Uverejnené: 19.4.2026
Drevina: Vŕba

Aphrophora salicina Peniarka vŕbová
Anonymný prispievateľ
Počet hlasov: 0
Uverejnené: 18.5.2025

Vladimír Kanaš

Aphrophora salicina Peniarka vŕbová
Vladimír Kanaš
Počet hlasov: 0
Uverejnené: 16.6.2024
Drevina: Vŕba

Danci

Aphrophora salicina Peniarka vŕbová
Danci
Počet hlasov: 0
Uverejnené: 12.5.2024
Drevina: Vŕba

Milan Zubrik

Aphrophora salicina Peniarka vŕbová
Milan Zubrik
Počet hlasov: 0
Uverejnené: 10.5.2024
Drevina: Willow


Podobné poškodenie

Váhavec rakytový

Váhavec rakytový

Liskavka topoľová

Liskavka topoľová

Chrústik záhradný

Chrústik záhradný

Liskavka Chrysomela vigintipunctata

Liskavka Chrysomela vigintipunctata

Návrat hore