en Prihlásenie | Registrácia | Zoznam prispievateľov

« Späť na výpis

Obaľovač trnkový

Hedya pruniana

Popis druhu

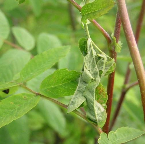
Obaľovač trnkový Hedya pruniana, je druh nočného motýľa z čeľade Tortricidae, ktorý sa vyskytuje v celej palearktickej oblasti vrátane strednej Európy, Anatólie, Iránu, Uralu, Zakaukazska a západného Kazachstanu. Má rozpätie krídel 15–19 mm, s prednými krídlami, ktoré sú biele alebo okrovo sfarbené, s tmavými pásmi a hnedými vzormi, zatiaľ čo zadné krídla sú sivé, u samíc tmavšie. Larvy, ktoré sú jasne zelené s čiernymi škvrnkami a čiernou hlavou, sa živia rôznymi rastlinami, ako je Prunus spinosa (trnka), Crataegus (hloh), Rosa, Sorbus a Corylus avellana (lieska). Dospelce sa objavujú od mája do júla. Larvy obaľovača trnkového (Hedya pruniana) si vytvárajú úkryty zvinutím alebo zložením listov, ktoré zviažu jemným tkanivom. Tieto stočené listy poskytujú ochranné prostredie, kde sa môžu larvy kŕmiť relatívne bezpečne. V týchto listových úkrytoch larvy konzumujú mäkké tkanivá listov a spôsobujú viditeľné poškodenie listov. Tento spôsob života ich tiež chráni pred predátormi a environmentálnym stresom, kde prezimujú a prípadne sa aj zakuklia.

Symptóm

Stočené a spradené listy, larvy nachádzajúce sa vo vnútri.

Ohrozené dreviny: Hloh, Jarabina, Lieska, Ruža, Trnka

Miesto poškodenia: List/ihlica

Významnosť: Málo významný

Kategória škodcov: Hmyz

Zistený na Slovensku: Áno

Invázny druh: Nie

Zistený v EÚ: Áno


Pridaj komentár: Obaľovač trnkový


Mapa výskytu: Obaľovač trnkový

Legenda:

1

Body verifikované expertom

3

Neverifikované body


Podobné poškodenie

Obaľovač jablčný

Obaľovač jablčný

Grmaník slivkový

Grmaník slivkový

Obaľovač dubový

Obaľovač dubový

Priadkovec trnkový

Priadkovec trnkový

Návrat hore