en Prihlásenie | Registrácia | Zoznam prispievateľov

« Späť na výpis

Obaľovač Archips xylosteana

Archips xylosteana

Popis druhu

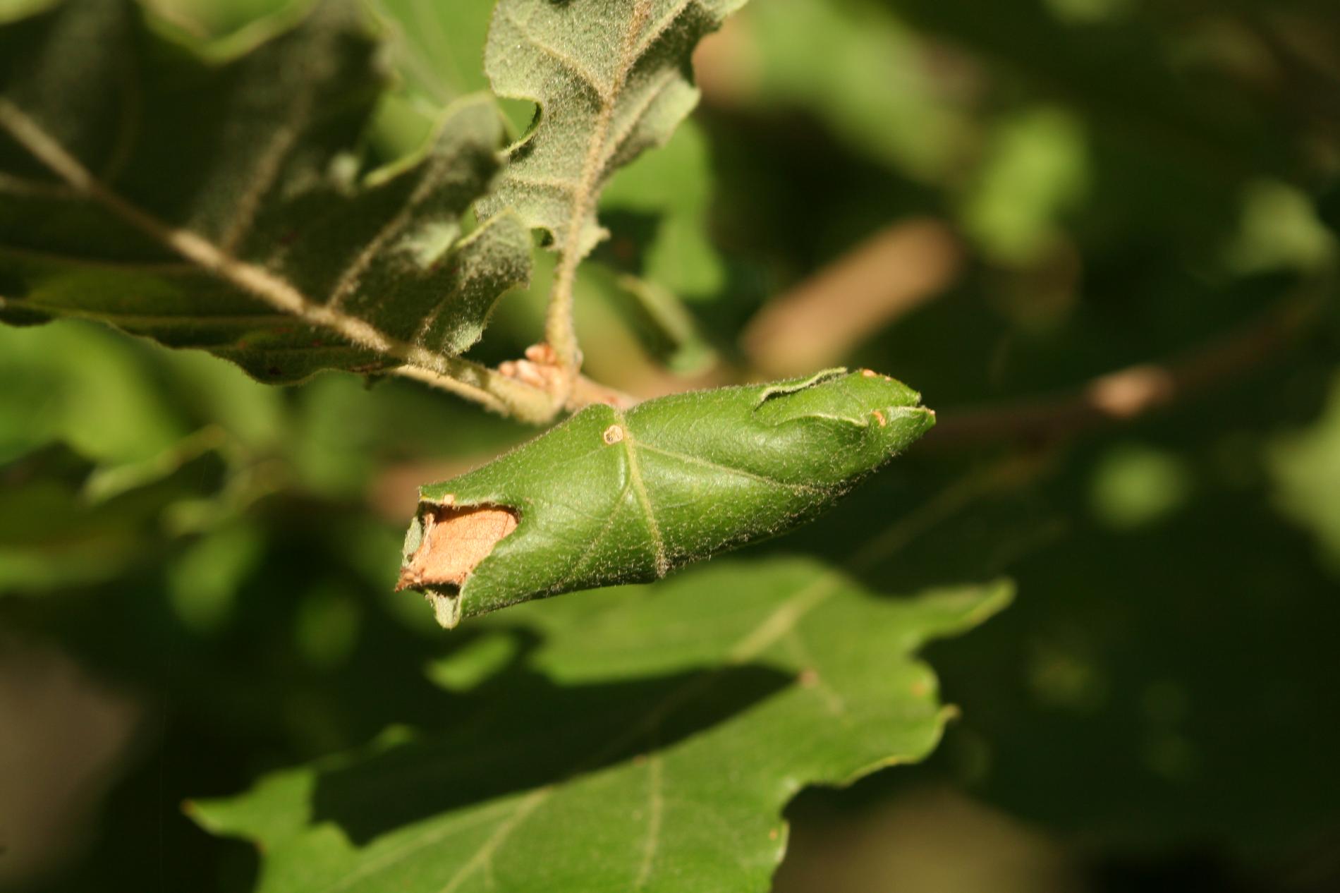
Stáčanie listov dubov spôsobuje viacero druhov obaľovačov. Vo vnútri zvinutého listu žije 1,5 – 2,0 cm veľká húsenica. Archips xylosteana L. je malý, hnedožltý motýlik s rozpätím krídel asi 2 - 2,5 cm. Vyskytuje sa často spoločne s ďalšími druhmi ako napr. obaľovač zelený Tortrix viridana L. či obaľovač dubový Aleimma loeflingiana L. Obaľovače celkovo oslabujú dubové porasty, najmä na suchých stanovištiach a v tvrdých luhoch. Za priaznivého počasia môže dôjsť k premnoženiu a dokonca až k holožerom.

Symptóm

Listy zvinuté do trubičky.

Ohrozené dreviny: Dub

Miesto poškodenia: List/ihlica

Významnosť: Významný

Kategória škodcov: Hmyz

Zistený na Slovensku: Áno

Invázny druh: Nie

Zistený v EÚ: Áno


Pridaj komentár: Obaľovač Archips xylosteana


Mapa výskytu: Obaľovač Archips xylosteana

náhľad mapy pre tlač

Legenda:

1

Body verifikované expertom

3

Neverifikované body

Pozorovaný užívateľmi na týchto drevinách

 

Najviac pozorovaní druhu


Posledné pozorovania

V systéme je celkom 2 pozorovaní druhu Archips xylosteana

zahradkar

Archips xylosteana Obaľovač Archips xylosteana
zahradkar
Počet hlasov: 0
Uverejnené: 18.6.2021
Drevina: Dub

Slavomír Rell

Archips xylosteana Obaľovač Archips xylosteana
Slavomír Rell
Počet hlasov: 0
Uverejnené: 24.5.2021
Drevina: Dub


Podobné poškodenie

Obaľovač zelený

Obaľovač zelený

Obaľovač dubový

Obaľovač dubový

Nosánik brezový

Nosánik brezový

Nosánik topoľový

Nosánik topoľový

Návrat hore