en Prihlásenie | Registrácia | Zoznam prispievateľov

« Späť na výpis

Nosánik Orchestes testaceus

Orchestes testaceus

Popis druhu

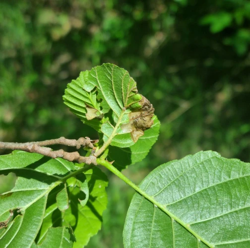
Orchestes testaceus je chrobák z čeľade Curculionidae, patriaci do radu Coleoptera. Zameriava sa predovšetkým na jelše (druhy Alnus spp.). Samičky kladú vajíčka na spodnú stranu strednej žily alebo na hrubú bočnú žilku listov jelše, pričom na mieste zanechávajú nápadnú veľkú jazvu. Larva sa spočiatku vyvíja v žilke a následne vytvára úzku mínu, ktorá sa smerom k okraju listu rozširuje. Na okraji listu neskôr vzniká plošná mína, a často výrazná deformácia listu. Aktivita nosánika Orchestes testaceus vedie k značnému poškodeniu listov. Žranie lariev a tvorba míny vedie k trvalej deformácii listu. Mína sa vytvára na jar, a v priebehu sa okraj listu rozpadá a sfarbuje do hneda. Tvar poškodenia býva nezameniteľný a poskytuje jasný dôkaz o prítomnosti tohto chrobáka z čeľade Curculionidae.

Symptóm

Počas vývoja larva vytvorí mínu - úzku chodbu, ktorá sa postupne rozširuje smerom k okraju alebo špičke listu. Táto mína má červenohnedú farbu.

Ohrozené dreviny: Jelša

Miesto poškodenia: List/ihlica

Významnosť: Málo významný

Kategória škodcov: Hmyz

Zistený na Slovensku: Áno

Invázny druh: Nie

Zistený v EÚ: Áno


Pridaj komentár: Nosánik Orchestes testaceus


Mapa výskytu: Nosánik Orchestes testaceus

Legenda:

1

Body verifikované expertom

3

Neverifikované body


Podobné poškodenie

Nosánik viničový

Nosánik viničový

Krytonos jelšový

Krytonos jelšový

Liskavka jelšová

Liskavka jelšová

Nosánik lieskový

Nosánik lieskový

Návrat hore